Benvenuto Ospite

Forum Entomologi Italiani

www.entomologiitaliani.net/forum
 
Oggi è 08/10/2025, 18:54

Tutti gli orari sono UTC + 1 ora [ ora legale ]

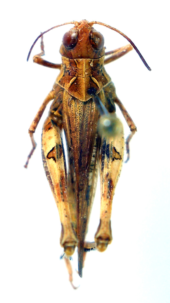
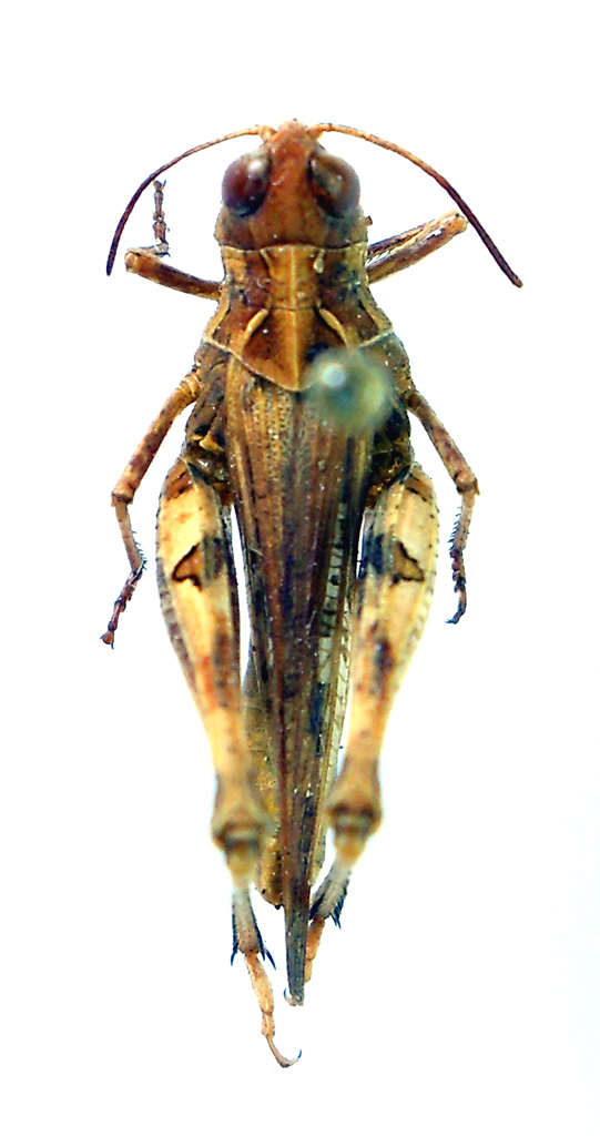
Dociostaurus (Kazakia) jagoi occidentalis Soltani, 1978 - Acrididae Gomphocerinae

12.VII.2015 - ITALIA - Sardegna - OT, Arzachena, Stazzi Sarraiola, Pietro Leo leg.


nuovo argomento
rispondi
Pagina 1 di 1 [ 4 messaggi ]
Autore Messaggio
MessaggioInviato: 13/10/2015, 23:18 
Avatar utente

Iscritto il: 05/02/2009, 17:47
Messaggi: 7252
Località: Cagliari
Nome: Piero Leo
Un altro ortottero, credo possa essere un Dociostaurus.

Lunghezza 19 mm

Ortottero 5a.jpg


Ortottero 5b.jpg


Ortottero 5c.jpg



:) Ciao
Piero


Top
profilo
 Oggetto del messaggio: Re: Ortottero 4 - Dociostaurus?
MessaggioInviato: 14/10/2015, 15:41 
Avatar utente

Iscritto il: 19/06/2012, 14:35
Messaggi: 5626
Località: Alfonsine (RA)
Nome: Marco Villani
Dociostaurus (Kazakia) jagoi occidentalis Soltani, 1978
:hi:


Top
profilo
 Oggetto del messaggio: Re: Ortottero 4 - Dociostaurus?
MessaggioInviato: 14/10/2015, 21:51 
Avatar utente

Iscritto il: 05/02/2009, 17:47
Messaggi: 7252
Località: Cagliari
Nome: Piero Leo
Grazie! Genere e specie nuovi per il forum :birra:

:) Ciao
Piero


Top
profilo
 Oggetto del messaggio: Re: Ortottero 4 - Dociostaurus?
MessaggioInviato: 14/10/2015, 21:53 
Avatar utente

Iscritto il: 19/06/2012, 14:35
Messaggi: 5626
Località: Alfonsine (RA)
Nome: Marco Villani
:ok:
In effetti sul forum mancano un sacco di specie, anche comuni (non che D. jagoi sia comune...).


Top
profilo
Visualizza ultimi messaggi:  Ordina per  
nuovo argomento
rispondi
Pagina 1 di 1 [ 4 messaggi ]

Tutti gli orari sono UTC + 1 ora [ ora legale ]


Chi c’è in linea

Visitano il forum: Nessuno e 3 ospiti


Non puoi aprire nuovi argomenti
Non puoi rispondere negli argomenti
Non puoi modificare i tuoi messaggi
Non puoi cancellare i tuoi messaggi
Non puoi inviare allegati

Cerca per:
Vai a: