Benvenuto Ospite

Forum Entomologi Italiani

www.entomologiitaliani.net/forum
 
Oggi è 07/11/2025, 16:07

Tutti gli orari sono UTC + 1 ora [ ora legale ]

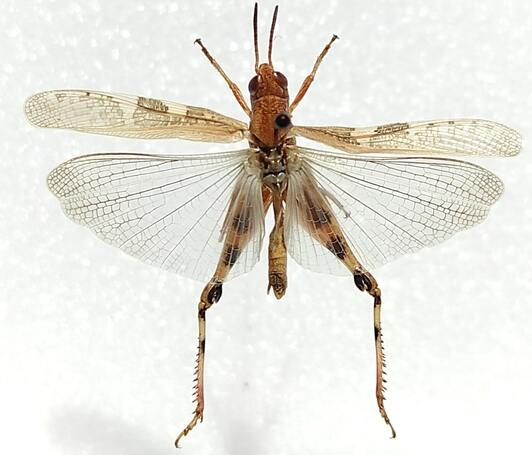
Aiolopus strepens (Latreille, 1804) - Acrididae

23.VII.2022 - ITALIA - Toscana - LU, Lucca, 19m s.l.m., campo, giornata di sole, vicino al fiume Serchio


nuovo argomento
rispondi
Pagina 1 di 1 [ 5 messaggi ]
Autore Messaggio
MessaggioInviato: 10/08/2022, 10:52 
Avatar utente

Iscritto il: 08/07/2022, 10:09
Messaggi: 374
Località: Lucca (LU)
Nome: Massimiliano Marchi
Argomento sdoppiato. Qui le foto degli esemplari 1 e 3.

Buongiorno FEI! :hi:

Guardiamo se ho imparato qualcosa :lol:

So che non bisogna postare più esemplari nella stessa discussione ma il regolamento dice, cito: "si possono mostrare esemplari diversi, ma solo se si è certi della conspecificità degli esemplari"... guardiamo se ho fatto bene o mi becco un cazziatone :lol:

Dunque...questi 3 esemplari dovrebbero appartenere alla specie Aiolopus thalassinus (Fabricius, 1781)...è corretto?
Il dubbio era con Aloiopus strepens (Latreille, 1804), per l'ID mi sono focalizzato sull'apice antero-laterale delle ali posteriori che:
- in A.strepens: dovrebbe essere marcatamente nero
- in A.thalassinus: dovrebbe essere sì più scuro rispetto al resto dell'ala ma non nero e comunque meno marcato

Dimensioni:
- Esemplare 1: 24 mm / apertura alare: 46 mm
- Esemplare 2: 26 mm / apertura alare: 50 mm
- Esemplare 3: 18 mm / apertura alare: 40 mm

Spero di non aver detto castronerie :lol: nel mentre che attendo conferme o smentite, auguro a tutti una buona giornata! :hi:

Esemplare 1a
Schermata 2022-08-10 a 10.39.18.jpg


Esemplare 1b
Schermata 2022-08-10 a 10.39.26.jpg




Esemplare 3a
Schermata 2022-08-10 a 10.39.47.jpg


Esemplare 3b
Schermata 2022-08-10 a 10.39.55.jpg



Top
profilo
MessaggioInviato: 10/08/2022, 12:58 
Avatar utente

Iscritto il: 19/06/2012, 14:35
Messaggi: 5636
Località: Alfonsine (RA)
Nome: Marco Villani
Non conoscevo il carattere delle ali, che mi sembra poco affidabile...
Meglio basarsi sulla robustezza dei femori posteriori. Sulla base di questi, mi sembrano degli Aiolopus strepens. Ho qualche dubbio sul secondo esemplare però, che forse è un thalassinus. Dovresti fotografare i femori posteriori in vista laterale.
:hi:


Top
profilo
MessaggioInviato: 10/08/2022, 14:18 
Avatar utente

Iscritto il: 08/07/2022, 10:09
Messaggi: 374
Località: Lucca (LU)
Nome: Massimiliano Marchi
marco villa ha scritto:
Non conoscevo il carattere delle ali, che mi sembra poco affidabile...
Meglio basarsi sulla robustezza dei femori posteriori. Sulla base di questi, mi sembrano degli Aiolopus strepens. Ho qualche dubbio sul secondo esemplare però, che forse è un thalassinus. Dovresti fotografare i femori posteriori in vista laterale.
:hi:

Grazie ancora Marco per la tua risposta! :ok:

In realtà la visione laterale dei femori la puoi apprezzare dalle foto ventrali, in quanto ho montato le zampe con la faccia laterale verso il basso... per intendersi, se facessi adesso delle foto laterali dei femori potresti apprezzarne il solo margine superiore (che ruotando si è venuto a trovare lateralmente, appunto)... spero di essere stato chiaro :D


Top
profilo
MessaggioInviato: 11/08/2022, 21:51 
Avatar utente

Iscritto il: 19/06/2012, 14:35
Messaggi: 5636
Località: Alfonsine (RA)
Nome: Marco Villani
Purtroppo risultano comunque leggermente inclinati nella visione ventrale, quindi le proporzioni potrebbero essere falsate.
Comunque più li guardo e più mi convinco che il secondo sia un thalassinus e gli altri strepens.
:hi: :hi:


Top
profilo
MessaggioInviato: 12/08/2022, 9:30 
Avatar utente

Iscritto il: 08/07/2022, 10:09
Messaggi: 374
Località: Lucca (LU)
Nome: Massimiliano Marchi
marco villa ha scritto:
...più li guardo e più mi convinco che il secondo sia un thalassinus e gli altri strepens...

Grazie ancora, Marco! :ok: :ok: :ok:

Max :hi:


Top
profilo
Visualizza ultimi messaggi:  Ordina per  
nuovo argomento
rispondi
Pagina 1 di 1 [ 5 messaggi ]

Tutti gli orari sono UTC + 1 ora [ ora legale ]


Chi c’è in linea

Visitano il forum: Nessuno e 3 ospiti


Non puoi aprire nuovi argomenti
Non puoi rispondere negli argomenti
Non puoi modificare i tuoi messaggi
Non puoi cancellare i tuoi messaggi
Non puoi inviare allegati

Cerca per:
Vai a: