Benvenuto Ospite

Forum Entomologi Italiani

www.entomologiitaliani.net/forum
 
Oggi è 08/11/2025, 22:04

Tutti gli orari sono UTC + 1 ora [ ora legale ]

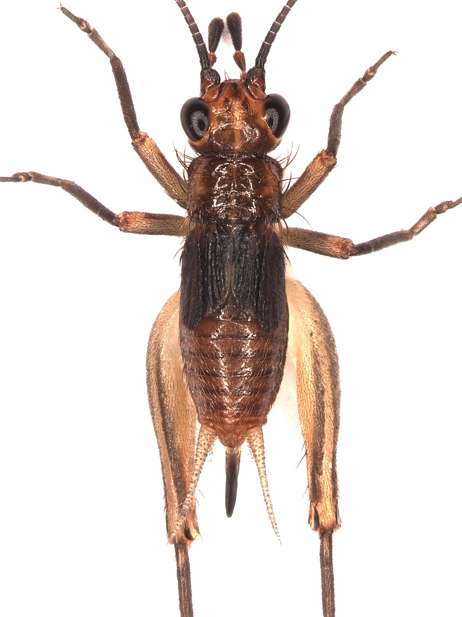
Trigonidium cicindeloides (Rambur, 1839), Ninfa - Gryllidae - Sardegna

19.X.2009 - ITALIA - Sardegna - SS, Olmedo


nuovo argomento
rispondi
Pagina 1 di 1 [ 9 messaggi ]
Autore Messaggio
MessaggioInviato: 19/10/2009, 12:23 
Avatar utente

Iscritto il: 02/02/2009, 23:32
Messaggi: 5645
Località: da Ferrara ad Alghero
Nome: Roberto A. Pantaleoni
Mai visto prima, sicuramente un Grillidae. Nel libro di Fontana trovo un possibile Pteronemobius lineolatus che dovrebbe però essere più grande di questo. Raccolto a sfalcio su erbe basse.

Olmedo: Pupalzos; 19 ottobre 2009; 5 mm dal capo all'apice dell'ovopositore
Olmedo_19ott2009_5mm_NE.jpg


Olmedo_19ott2009_5mm_1.jpg


Olmedo_19ott2009_5mm_2.jpg



Ciao Roberto :to:

_________________
verum stabile cetera fumus


Top
profilo
 Oggetto del messaggio: Re: piccolo grillo sardo
MessaggioInviato: 19/10/2009, 21:50 
Avatar utente

Iscritto il: 02/02/2009, 23:32
Messaggi: 5645
Località: da Ferrara ad Alghero
Nome: Roberto A. Pantaleoni
Dopo qualche ricerca in rete devo dire che Pteronemobius resisticchia.
Ma io invoco i nostri ortotterologi, dove siete Mantis e Bruno Massa, dove siete ?

Roberto :to:

_________________
verum stabile cetera fumus


Top
profilo
 Oggetto del messaggio: Re: piccolo grillo sardo
MessaggioInviato: 19/10/2009, 23:00 
Amministratore
Avatar utente

Iscritto il: 02/02/2009, 23:30
Messaggi: 7102
Località: Capaci (Pa)
Nome: Marcello Romano
In attesa dei big, sarei tentato di dire un'eresia...la dico o non la dico?
Più lo guardo e più mi convinco possa avere qualcosa a che fare con Trigonidium cicindeloides
Ecco, ormai l'ho detta ;)

P.S. - E rilancio: ninfa di Trigonidium cicindeloides Rambur 1839 (e ci scommetto il solito caffè :D )

_________________
:hi: Marcello Romano


Top
profilo
 Oggetto del messaggio: Re: piccolo grillo sardo
MessaggioInviato: 20/10/2009, 6:23 
Avatar utente

Iscritto il: 02/02/2009, 23:32
Messaggi: 5645
Località: da Ferrara ad Alghero
Nome: Roberto A. Pantaleoni
Mentre Marcello trovava la soluzione, io non ci dormivo su la notte ed ... arrivavo alla stessa conclusione. Qui c'è una bella foto di Stefano Faggioli su FNM. Quella testa l'avevo già vista, nello stesso posto Trigonidium cicindeloides è comune! Il bello dell'entomologia è che mi fa capire sempre come io sia ignorante (direi che è socratica :) ).

Ciao Roberto :to:

PS: mi consolo col fatto che non sono l'unico ad esserci cascato :gh: .

_________________
verum stabile cetera fumus


Top
profilo
MessaggioInviato: 20/10/2009, 8:47 
Avatar utente

Iscritto il: 28/05/2009, 16:38
Messaggi: 5028
Nome: luigi lenzini
A Roma li incontro spesso; il difficile e vederli! (e, nel mio caso, riuscire a fotografarli bene! :lol: )
:hi: luigi


grillino.JPG

Top
profilo
 Oggetto del messaggio: Re: piccolo grillo sardo
MessaggioInviato: 20/10/2009, 9:39 
Avatar utente

Iscritto il: 25/02/2009, 20:08
Messaggi: 1469
Località: Paceco - Trapani
Nome: Luigi Barraco
Hemerobius ha scritto:
Il bello dell'entomologia è che mi fa capire sempre come io sia ignorante (direi che è socratica :) ).

PS: mi consolo col fatto che non sono l'unico ad esserci cascato :gh: .


Della serie anche gli angeli mangiano fagioli :mrgreen: :gh:
ciao mostro

_________________
:D Gigi


Top
profilo
MessaggioInviato: 20/10/2009, 9:52 
Avatar utente

Iscritto il: 05/07/2009, 12:23
Messaggi: 6832
Località: Anzio (RM)
Nome: Vittorio Risoldi
onestamente, io che me ne vado a cercare di soggetti piccoli, questa ninfa non l' ho mai incontrata...

_________________
°°°°°°°°°°°°°°°°°°°°°°°°°°°°°°°°°°°°°°°°
Ciao
Vittorio


Flickr

Phe Immagini

Facebook


Top
profilo
MessaggioInviato: 20/10/2009, 11:27 
Avatar utente

Iscritto il: 25/02/2009, 20:08
Messaggi: 1469
Località: Paceco - Trapani
Nome: Luigi Barraco
soken ha scritto:
onestamente, io che me ne vado a cercare di soggetti piccoli, questa ninfa non l' ho mai incontrata...

cerca tra l'erba verde alta, sono abbastanza comuni

_________________
:D Gigi


Top
profilo
MessaggioInviato: 22/10/2009, 18:08 
Avatar utente

Iscritto il: 28/05/2009, 16:38
Messaggi: 5028
Nome: luigi lenzini
La mia foto è di metà aprile, al parco della caffarella, quando l'erba è molto alta e piena di insettini e ragni.
:hi: luigi


Top
profilo
Visualizza ultimi messaggi:  Ordina per  
nuovo argomento
rispondi
Pagina 1 di 1 [ 9 messaggi ]

Tutti gli orari sono UTC + 1 ora [ ora legale ]


Chi c’è in linea

Visitano il forum: Nessuno e 0 ospiti


Non puoi aprire nuovi argomenti
Non puoi rispondere negli argomenti
Non puoi modificare i tuoi messaggi
Non puoi cancellare i tuoi messaggi
Non puoi inviare allegati

Cerca per:
Vai a: