| Autore |
Messaggio |
|
ruzzpa
|
Inviato: 08/07/2012, 23:32 |
|
Iscritto il: 23/06/2010, 11:11 Messaggi: 2784 Località: Cagliari
Nome: Gianpaolo Ruzzante
|
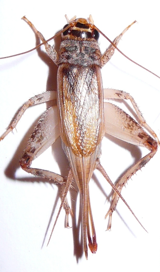
mi sembra una femmina di Eumodicogryllus bordigalensis (Latreille, 1804) non credo sia comune in Sardegna... magari mi sbaglio 
|
|
| Top |
|
 |
|
storm
|
Inviato: 09/07/2012, 6:36 |
|
Iscritto il: 25/04/2011, 23:01 Messaggi: 526
Nome: Mirko
|
|
E' lui, comune.. Beh dipende molto... Diciamo che è localmente comune, è una di quelle specie che può formare popolazioni molto molto numerose nello spazio di poche centinaia di metri quadrati. Comunque è un animale molto carino. Io personalmente lo trovo spesso negli alvei in secca dei torrenti.
_________________ Qualcuno si accorgerà mai che gli struzzi di Fantasia della Disney sono tutti maschi?
L'aspetto più deplorevole dell'essere entomologo è il cinismo che emani dalle ghiandole repugnatorie sotto le ascelle dopo una giornata di sfalci
|
|
| Top |
|
 |
|
ruzzpa
|
Inviato: 23/07/2012, 16:37 |
|
Iscritto il: 23/06/2010, 11:11 Messaggi: 2784 Località: Cagliari
Nome: Gianpaolo Ruzzante
|
credo che anche questo si possa nominare... ma visto che abbiamo Carmine di passaggio non guasterebbe un'ulteriore sua conferma 
|
|
| Top |
|
 |
|
storm
|
Inviato: 23/07/2012, 18:36 |
|
Iscritto il: 25/04/2011, 23:01 Messaggi: 526
Nome: Mirko
|
ruzzpa ha scritto: credo che anche questo si possa nominare... ma visto che abbiamo Carmine di passaggio non guasterebbe un'ulteriore sua conferma  Da come lo dici sembra quasi che non ti fidi della mia determinazione 
_________________ Qualcuno si accorgerà mai che gli struzzi di Fantasia della Disney sono tutti maschi?
L'aspetto più deplorevole dell'essere entomologo è il cinismo che emani dalle ghiandole repugnatorie sotto le ascelle dopo una giornata di sfalci
|
|
| Top |
|
 |
|
ruzzpa
|
Inviato: 23/07/2012, 18:44 |
|
Iscritto il: 23/06/2010, 11:11 Messaggi: 2784 Località: Cagliari
Nome: Gianpaolo Ruzzante
|
storm ha scritto: ruzzpa ha scritto: credo che anche questo si possa nominare... ma visto che abbiamo Carmine di passaggio non guasterebbe un'ulteriore sua conferma  Da come lo dici sembra quasi che non ti fidi della mia determinazione  Un pochino permalosetto il giovane ventiduenne sicuramente ne sai più di me... ed ogni tuo intervento è sicuramente gradito; diciamo che Carmine ha solamente qualche anno di esperienza in più 
|
|
| Top |
|
 |
|
storm
|
Inviato: 23/07/2012, 18:49 |
|
Iscritto il: 25/04/2011, 23:01 Messaggi: 526
Nome: Mirko
|
ruzzpa ha scritto: storm ha scritto: ruzzpa ha scritto: credo che anche questo si possa nominare... ma visto che abbiamo Carmine di passaggio non guasterebbe un'ulteriore sua conferma  Da come lo dici sembra quasi che non ti fidi della mia determinazione  Un pochino permalosetto il giovane ventiduenne sicuramente ne sai più di me... ed ogni tuo intervento è sicuramente gradito; diciamo che Carmine ha solamente qualche anno di esperienza in più  Ho aperto apposta un topic in proposito, non sono permaloso io scherzo molto  ho chiesto io a Carmine via MP su NM di intervenire per risolvere la discussione sulla Gryllomorpha, se fossi davvero permaloso farei di tutto per evitare l'intervento di chi ne sa ben più di me.
_________________ Qualcuno si accorgerà mai che gli struzzi di Fantasia della Disney sono tutti maschi?
L'aspetto più deplorevole dell'essere entomologo è il cinismo che emani dalle ghiandole repugnatorie sotto le ascelle dopo una giornata di sfalci
|
|
| Top |
|
 |
|
ruzzpa
|
Inviato: 23/07/2012, 19:06 |
|
Iscritto il: 23/06/2010, 11:11 Messaggi: 2784 Località: Cagliari
Nome: Gianpaolo Ruzzante
|
allora... 
|
|
| Top |
|
 |
|
Mantis
|
Inviato: 23/07/2012, 21:07 |
|
Iscritto il: 05/02/2009, 19:36 Messaggi: 139 Località: Bologna
Nome: Carmine Iorio
|
|
Un abbraccio a entrambi e concordo anch'io sull'E. bordigalensis.
Ciao Carmine
_________________ Ciao Carmine
|
|
| Top |
|
 |
|