Benvenuto Ospite

Forum Entomologi Italiani

www.entomologiitaliani.net/forum
 
Oggi è 11/11/2025, 17:01

Tutti gli orari sono UTC + 1 ora [ ora legale ]

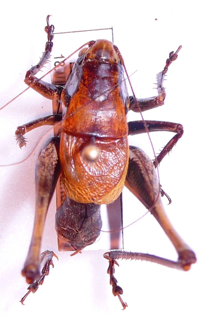
Pholidoptera aptera aptera (Fabricius, 1793) - Tettigoniinae

18.VIII.2013 - ITALIA - Piemonte - CN, Entracque - Lago della Rovina m 1550 - G.Ruzzante leg.


nuovo argomento
rispondi
Pagina 1 di 1 [ 3 messaggi ]
Autore Messaggio
MessaggioInviato: 18/10/2015, 20:47 
Avatar utente

Iscritto il: 23/06/2010, 11:11
Messaggi: 2784
Località: Cagliari
Nome: Gianpaolo Ruzzante
non sono preparate come quelle di Piero ma accontentatevi....
forse la Pholidoptera aptera ?? :hi:


P1080401.JPG

P1080400.JPG

Top
profilo
 Oggetto del messaggio: Re: Tettigoniidae 1
MessaggioInviato: 19/10/2015, 15:12 
Avatar utente

Iscritto il: 19/06/2012, 14:35
Messaggi: 5637
Località: Alfonsine (RA)
Nome: Marco Villani
Esatto, è l'unica con tale colorazione ai lati del pronoto.
:hi:


Top
profilo
 Oggetto del messaggio: Re: Tettigoniidae 1
MessaggioInviato: 19/10/2015, 18:20 
Avatar utente

Iscritto il: 23/06/2010, 11:11
Messaggi: 2784
Località: Cagliari
Nome: Gianpaolo Ruzzante
marco villa ha scritto:
Esatto, è l'unica con tale colorazione ai lati del pronoto.
:hi:


allora possiamo nominare come Pholidoptera aptera aptera (Fabricius, 1793) penso che possiamo escludere la P.a.goidanichi Baccetti, 1963 che ha una distribuzione più a sud. :hi:


Top
profilo
Visualizza ultimi messaggi:  Ordina per  
nuovo argomento
rispondi
Pagina 1 di 1 [ 3 messaggi ]

Tutti gli orari sono UTC + 1 ora [ ora legale ]


Chi c’è in linea

Visitano il forum: Nessuno e 1 ospite


Non puoi aprire nuovi argomenti
Non puoi rispondere negli argomenti
Non puoi modificare i tuoi messaggi
Non puoi cancellare i tuoi messaggi
Non puoi inviare allegati

Cerca per:
Vai a: