Benvenuto Ospite

Forum Entomologi Italiani

www.entomologiitaliani.net/forum
 
Oggi è 04/11/2025, 16:51

Tutti gli orari sono UTC + 1 ora [ ora legale ]

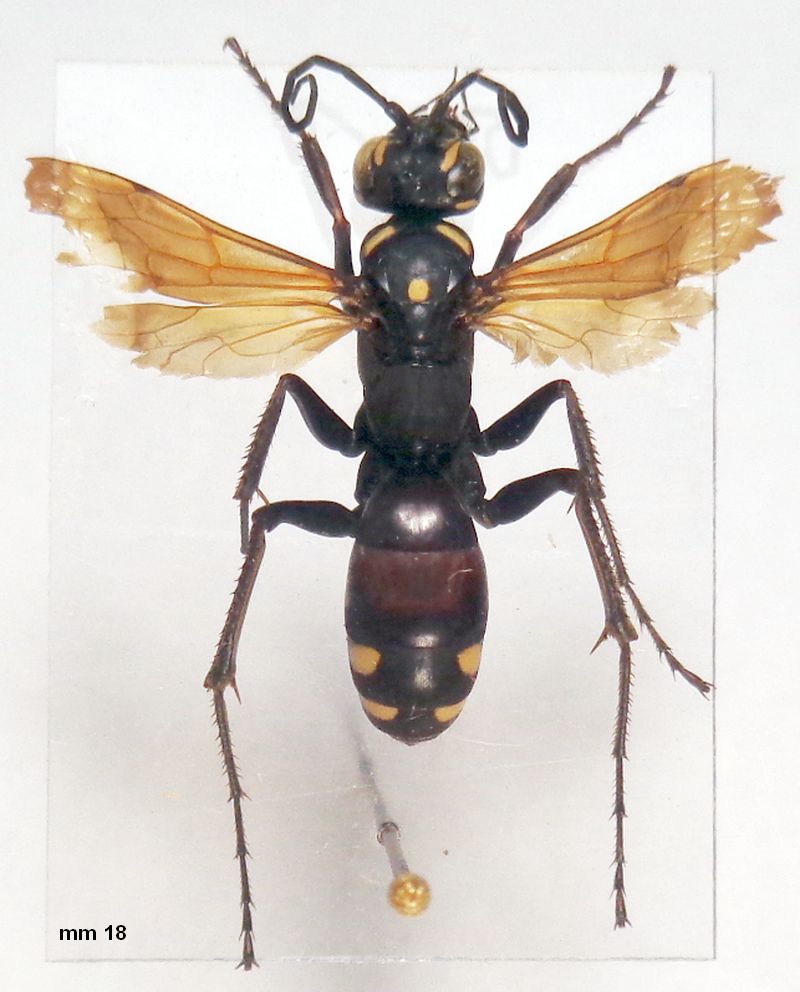
Cryptocheilus (Adonta) egregius Lepeletier, 1845 ♀ - Pompilidae Pepsinae

24.VI.2005 - ITALIA - Puglia - FG, Foce del Varano


nuovo argomento
rispondi
Pagina 1 di 1 [ 4 messaggi ]
Autore Messaggio
MessaggioInviato: 28/10/2024, 21:43 
 

Iscritto il: 08/12/2013, 1:52
Messaggi: 7530
Località: Bagnacavallo (RA)
Nome: Giorgio Pezzi
La ricerca sul FEI non mi aveva dato presenza di tale bella specie. Leg. L. Landi.
:hi:
DSC03210.JPG



DSC03212.JPG

DSC03211.JPG

Top
profilo
MessaggioInviato: 29/10/2024, 13:22 
Avatar utente

Iscritto il: 28/05/2009, 16:38
Messaggi: 5024
Nome: luigi lenzini
La mia foto fu scattata a Palau (OT) il 9/8/2015.


cryptocheilus egregius 1c.jpg

Top
profilo
MessaggioInviato: 29/10/2024, 13:33 
Avatar utente

Iscritto il: 28/05/2009, 16:38
Messaggi: 5024
Nome: luigi lenzini
Anche questo che ha predato una Lycosa munieri mi pare lui.
Santu Antine - Torralba (SS), 6-9-2016.


Criptocheilus egregius preda Lycosa munieri c.jpg

Top
profilo
MessaggioInviato: 29/10/2024, 16:48 
 

Iscritto il: 08/12/2013, 1:52
Messaggi: 7530
Località: Bagnacavallo (RA)
Nome: Giorgio Pezzi
elleelle ha scritto:
La mia foto fu scattata a Palau (OT) il 9/8/2015.

La ricordo come comparsa su FNM. :hi:


Top
profilo
Visualizza ultimi messaggi:  Ordina per  
nuovo argomento
rispondi
Pagina 1 di 1 [ 4 messaggi ]

Tutti gli orari sono UTC + 1 ora [ ora legale ]


Chi c’è in linea

Visitano il forum: Nessuno e 1 ospite


Non puoi aprire nuovi argomenti
Non puoi rispondere negli argomenti
Non puoi modificare i tuoi messaggi
Non puoi cancellare i tuoi messaggi
Non puoi inviare allegati

Cerca per:
Vai a: