Benvenuto Ospite

Forum Entomologi Italiani

www.entomologiitaliani.net/forum
 
Oggi è 26/10/2025, 13:46

Tutti gli orari sono UTC + 1 ora [ ora legale ]

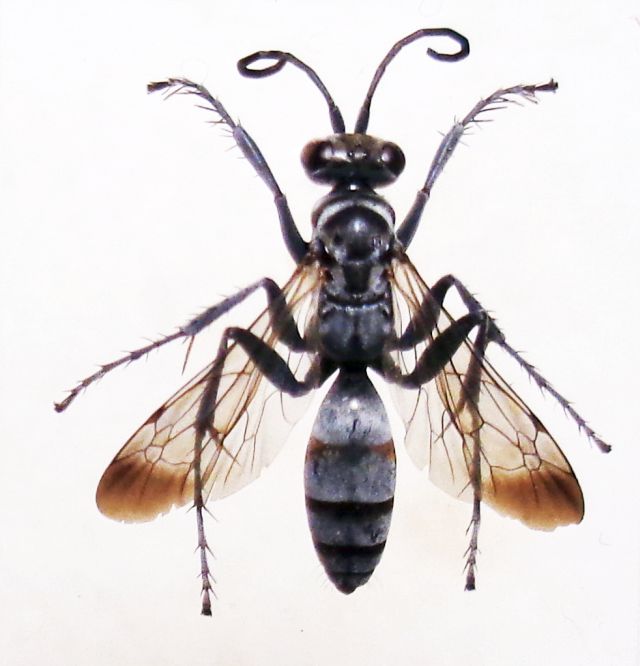
Pompilus cinereus (Fabricius, 1775) - Pompilidae

14.X.2018 - ITALIA - Emilia-Romagna - FE, Lido degli Estensi


nuovo argomento
rispondi
Pagina 1 di 1 [ 6 messaggi ]
Autore Messaggio
MessaggioInviato: 02/11/2018, 19:39 
 

Iscritto il: 08/12/2013, 1:52
Messaggi: 7516
Località: Bagnacavallo (RA)
Nome: Giorgio Pezzi
Di questi sono a completo digiuno ma mi pare caratterizzato abbastanza da sperare bene. mm 9 ca. Sulle dune marine.
Grazie per le proposte.
Giorgio. :hi:
DSC00145.JPG



Top
profilo
 Oggetto del messaggio: Re: Pompilide da ID
MessaggioInviato: 02/11/2018, 23:44 
 

Iscritto il: 06/02/2009, 9:05
Messaggi: 2588
Località: Alghero
Nome: Pietro Niolu
Propongo Pompilus cinereus.

_________________
Ciao
Pietro


Top
profilo
 Oggetto del messaggio: Re: Pompilide da ID
MessaggioInviato: 03/11/2018, 14:18 
 

Iscritto il: 08/12/2013, 1:52
Messaggi: 7516
Località: Bagnacavallo (RA)
Nome: Giorgio Pezzi
Più che una proposta mi sembra una sentenza visto il genere monospecifico in Europa e la caratterizzazione. :lov2:
Io non ci ho nemmeno provato visto il numero elevato di generi e specie della famiglia e la mia inettitudine per la stessa.
Ho casi più complessi se ti interessano!! :D
:hi:


Top
profilo
 Oggetto del messaggio: Re: Pompilide da ID
MessaggioInviato: 04/11/2018, 0:15 
Avatar utente

Iscritto il: 28/05/2009, 16:38
Messaggi: 5020
Nome: luigi lenzini
Non dovrebbe essere più piccolo?


Top
profilo
 Oggetto del messaggio: Re: Pompilide da ID
MessaggioInviato: 04/11/2018, 11:22 
 

Iscritto il: 06/02/2009, 9:05
Messaggi: 2588
Località: Alghero
Nome: Pietro Niolu
La femmina dovrebbe arrivare a 10 mm., io ne ho catturato una di 11 mm.
Il maschio è decisamente più piccolo: 4 - 6 mm.
Per la derminazione utilizzo un piccolo libbro regalatomi da uno degli autori: "LES POMPILES" Gros-Durand e
le chiavi del Royal Entomological Society scaricabili da questo indirizzo:
https://www.google.com/url?sa=t&rct=j&q=&esrc=s&source=web&cd=1&ved=2ahUKEwiqy_DGsrreAhUMKBoKHWhyCt4QFjAAegQIBxAC&url=http%3A%2F%2Fciteseerx.ist.psu.edu%2Fviewdoc%2Fdownload%3Fdoi%3D10.1.1.459.6232%26rep%3Drep1%26type%3Dpdf&usg=AOvVaw2o86btczu7KkJ9DOG3LoYo
Provo a determinare anche i più complessi ma non sempre ho successo.

_________________
Ciao
Pietro


Top
profilo
 Oggetto del messaggio: Re: Pompilide da ID
MessaggioInviato: 05/11/2018, 23:42 
Avatar utente

Iscritto il: 28/05/2009, 16:38
Messaggi: 5020
Nome: luigi lenzini
Io ho osservato femmine molto piccole: 5-7mm.
Erano femmine perché avevano predato delle giovani Arctosa sulle rive di uno stagno.
Non avendole catturate, può darsi che abbia valutato male le dimensioni.


Top
profilo
Visualizza ultimi messaggi:  Ordina per  
nuovo argomento
rispondi
Pagina 1 di 1 [ 6 messaggi ]

Tutti gli orari sono UTC + 1 ora [ ora legale ]


Chi c’è in linea

Visitano il forum: Nessuno e 1 ospite


Non puoi aprire nuovi argomenti
Non puoi rispondere negli argomenti
Non puoi modificare i tuoi messaggi
Non puoi cancellare i tuoi messaggi
Non puoi inviare allegati

Cerca per:
Vai a: