Benvenuto Ospite

Forum Entomologi Italiani

www.entomologiitaliani.net/forum
 
Oggi è 26/10/2025, 8:03

Tutti gli orari sono UTC + 1 ora [ ora legale ]

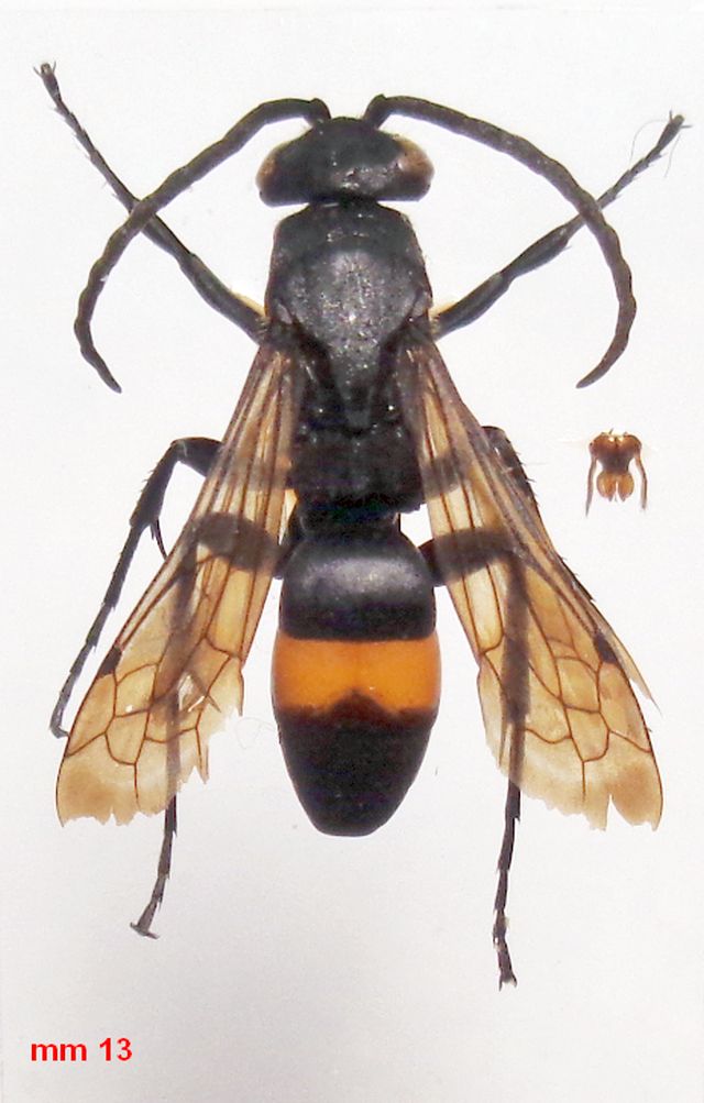
Eoferreola rhombica (Christ, 1791) ♂ (aut E. anatolica Priesner, 1973) - Pompilidae Pompilinae

26.VI.2022 - ITALIA - Puglia - FG, monte Calvo, 1056 m


nuovo argomento
rispondi
Pagina 1 di 1 [ 2 messaggi ]
Autore Messaggio
MessaggioInviato: 18/03/2025, 21:24 
 

Iscritto il: 08/12/2013, 1:52
Messaggi: 7516
Località: Bagnacavallo (RA)
Nome: Giorgio Pezzi
Specie mai trovata, ma non vedo cos'altro possa essere; al genere si arriva con le varie chiavi ed alla specie si arriva con le chiavi qui https://www.researchgate.net/publicatio ... Pompilidae ; in realtà i due AA dichiarano la difficoltà di separare anatolica da rhombica ma stante i "non reperti italici" della seconda e che essa potrebbe essere una forma della prima, ho titolato così, in attesa di altri pareri. L. Landi Leg. Cito alcuni caratteri;
- mandibole con un solo dente interno;
- clipeo bombato e molto corto;
- peli frontali bruni e della parte verticale del propodeo neri;
- unghie tutte bifide (maschio).
:hi:
DSC03897.JPG



DSC03886.JPG

DSC03881.JPG

DSC03887.JPG

DSC03893.JPG

DSC03894.JPG

DSC03896.JPG

Top
profilo
MessaggioInviato: 21/03/2025, 14:40 
Avatar utente

Iscritto il: 08/07/2022, 10:09
Messaggi: 374
Località: Lucca (LU)
Nome: Massimiliano Marchi
Che strana creatura :o
Grazie per avercela mostrata, Giorgio! :ok:


Top
profilo
Visualizza ultimi messaggi:  Ordina per  
nuovo argomento
rispondi
Pagina 1 di 1 [ 2 messaggi ]

Tutti gli orari sono UTC + 1 ora [ ora legale ]


Chi c’è in linea

Visitano il forum: Nessuno e 1 ospite


Non puoi aprire nuovi argomenti
Non puoi rispondere negli argomenti
Non puoi modificare i tuoi messaggi
Non puoi cancellare i tuoi messaggi
Non puoi inviare allegati

Cerca per:
Vai a: