Benvenuto Ospite

Forum Entomologi Italiani

www.entomologiitaliani.net/forum
 
Oggi è 05/11/2025, 10:10

Tutti gli orari sono UTC + 1 ora [ ora legale ]

Eumenes (Eumenes) sareptanus André, 1884 Dettagli della specie

4.VII.2024 - ITALIA - Emilia-Romagna - RA, Villanova di Bagnacavallo


nuovo argomento
rispondi
Pagina 1 di 1 [ 3 messaggi ]
Autore Messaggio
MessaggioInviato: 14/07/2024, 19:10 
 

Iscritto il: 08/12/2013, 1:52
Messaggi: 7530
Località: Bagnacavallo (RA)
Nome: Giorgio Pezzi
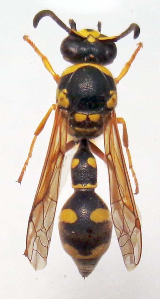
Spero sia Eumenes sareptanus André, 1884, specie mai incontrata.
:hi:
DSC02556.JPG



DSC02551.JPG

DSC02554.JPG

DSC02548.JPG

DSC02549.JPG

Top
profilo
MessaggioInviato: 25/07/2024, 0:32 
Avatar utente

Iscritto il: 01/07/2010, 22:26
Messaggi: 5650
Località: Viterbo
Nome: Marco Selis
Per il momento si può identificare come E. sareptanus, ma il gruppo dubius è tutto da rivedere visto che i nomi vengono utilizzati in maniera completamente casuale: il vero dubius (ho visto i sintipi raccolti in Francia meridionale) è quello che chiamiamo cyrenaicus pseudogermanicus, quello che chiamiamo dubius chissa come va chiamato e anche su sareptanus ho più di un dubbio...


Top
profilo
MessaggioInviato: 29/07/2024, 16:54 
 

Iscritto il: 08/12/2013, 1:52
Messaggi: 7530
Località: Bagnacavallo (RA)
Nome: Giorgio Pezzi
Mi ritengo soddisfatto ugualmente! :D


Top
profilo
Visualizza ultimi messaggi:  Ordina per  
nuovo argomento
rispondi
Pagina 1 di 1 [ 3 messaggi ]

Tutti gli orari sono UTC + 1 ora [ ora legale ]


Chi c’è in linea

Visitano il forum: Nessuno e 1 ospite


Non puoi aprire nuovi argomenti
Non puoi rispondere negli argomenti
Non puoi modificare i tuoi messaggi
Non puoi cancellare i tuoi messaggi
Non puoi inviare allegati

Cerca per:
Vai a:  
cron