Benvenuto Ospite

Forum Entomologi Italiani

www.entomologiitaliani.net/forum
 
Oggi è 05/11/2025, 23:23

Tutti gli orari sono UTC + 1 ora [ ora legale ]

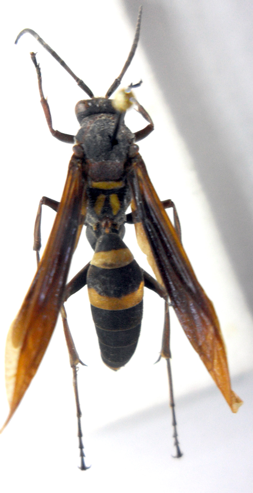
Polistes (Polistella) strigosus mimus Bequaert, 1940 - Vespidae Polistinae Polistini

VII.2013 - FILIPPINE - EE, North Luzon, Ifugao


nuovo argomento
rispondi
Pagina 1 di 1 [ 1 messaggio ]
Autore Messaggio
MessaggioInviato: 25/09/2013, 22:11 
Avatar utente

Iscritto il: 01/07/2010, 22:26
Messaggi: 5650
Località: Viterbo
Nome: Marco Selis
Oggi mi sono arrivati 7 insetti filippini(2 Silfidi e 5 Vespidi) e tra essi c'era questo bel maschio di Polistes strigosus mimus, specie di cui sul forum è già presente una femmina.

SAM_6085.JPG



SAM_6086.JPG



SAM_6091.JPG



SAM_6090.JPG



SAM_6093.JPG



Top
profilo
Visualizza ultimi messaggi:  Ordina per  
nuovo argomento
rispondi
Pagina 1 di 1 [ 1 messaggio ]

Tutti gli orari sono UTC + 1 ora [ ora legale ]


Chi c’è in linea

Visitano il forum: Nessuno e 4 ospiti


Non puoi aprire nuovi argomenti
Non puoi rispondere negli argomenti
Non puoi modificare i tuoi messaggi
Non puoi cancellare i tuoi messaggi
Non puoi inviare allegati

Cerca per:
Vai a: