Benvenuto Ospite

Forum Entomologi Italiani

www.entomologiitaliani.net/forum
 
Oggi è 10/10/2025, 18:00

Tutti gli orari sono UTC + 1 ora [ ora legale ]

Parodontodynerus ephippium ephippium (Klug, 1817) Dettagli della specie

4.VIII.2016 - ITALIA - Emilia-Romagna - RA, Villanova di Bagnacavallo


nuovo argomento
rispondi
Pagina 1 di 1 [ 6 messaggi ]
Autore Messaggio
MessaggioInviato: 04/09/2016, 12:06 
 

Iscritto il: 08/12/2013, 1:52
Messaggi: 7497
Località: Bagnacavallo (RA)
Nome: Giorgio Pezzi
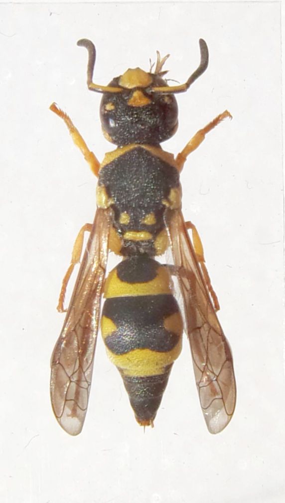
Non so se sarà possibile arrivare alla specie ma forse il genere sì: posto anche l'astuccio di terra da cui è sfarfallato, lungo ca. 12 mm (con uno, forse due setti nelle strozzature visibili, una reincollata dopo un distacco per urto). Grazie per ogni info. :hi:
103_0842.JPG



103_0877.JPG

Top
profilo
 Oggetto del messaggio: Re: Eumenino da ID
MessaggioInviato: 04/09/2016, 19:03 
Avatar utente

Iscritto il: 01/07/2010, 22:26
Messaggi: 5647
Località: Viterbo
Nome: Marco Selis
Ciao Giorgio, puoi confermare (o smentire) questi tre caratteri?
1) Carena pretegulare sul pronoto assente;
2) Clipeo striato longitudinalmente;
3) Due piccolissimi denti ai lati del metanoto.


Top
profilo
 Oggetto del messaggio: Re: Eumenino da ID
MessaggioInviato: 05/09/2016, 19:12 
 

Iscritto il: 08/12/2013, 1:52
Messaggi: 7497
Località: Bagnacavallo (RA)
Nome: Giorgio Pezzi
Ciao Marco, confermo i tre caratteri; alcuni denticoli sono anche presenti nei bordi lateroinferiori del propodeo, visibili in foto. L'esemplare è lungo 10,5 mm.
:hi:


Top
profilo
 Oggetto del messaggio: Re: Eumenino da ID
MessaggioInviato: 05/09/2016, 19:24 
Avatar utente

Iscritto il: 01/07/2010, 22:26
Messaggi: 5647
Località: Viterbo
Nome: Marco Selis
Come immaginavo è un Parodontodynerus ephippium, unica specie del genere presente in Italia :ok:


Top
profilo
MessaggioInviato: 05/09/2016, 19:53 
 

Iscritto il: 08/12/2013, 1:52
Messaggi: 7497
Località: Bagnacavallo (RA)
Nome: Giorgio Pezzi
Grazie mille!
:hi:


Top
profilo
MessaggioInviato: 30/09/2016, 20:29 
 

Iscritto il: 08/12/2013, 1:52
Messaggi: 7497
Località: Bagnacavallo (RA)
Nome: Giorgio Pezzi
Posto due foto del nido (incollato su cartellino) dopo la fuoriuscita dell'adulto in cui si intravede una strozzatura nel punto in cui ritenevo vi fosse un secondo opercolo (il primo è incollato). :hi:
103_0934.JPG



103_0932.JPG

Top
profilo
Visualizza ultimi messaggi:  Ordina per  
nuovo argomento
rispondi
Pagina 1 di 1 [ 6 messaggi ]

Tutti gli orari sono UTC + 1 ora [ ora legale ]


Chi c’è in linea

Visitano il forum: Nessuno e 2 ospiti


Non puoi aprire nuovi argomenti
Non puoi rispondere negli argomenti
Non puoi modificare i tuoi messaggi
Non puoi cancellare i tuoi messaggi
Non puoi inviare allegati

Cerca per:
Vai a: