Benvenuto Ospite

Forum Entomologi Italiani

www.entomologiitaliani.net/forum
 
Oggi è 08/10/2025, 11:00

Tutti gli orari sono UTC + 1 ora [ ora legale ]

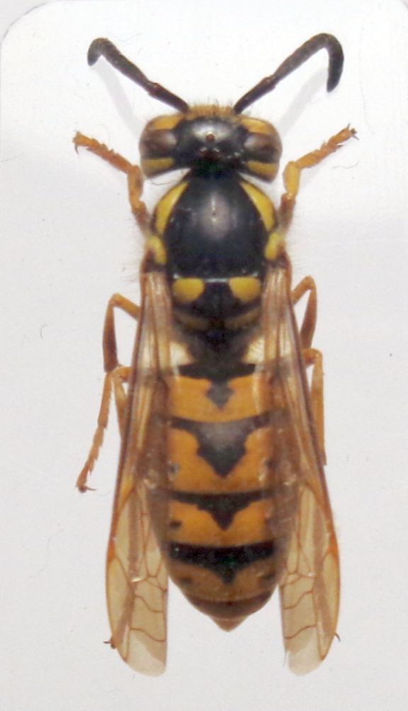
Vespula germanica (Fabricius, 1793) Dettagli della specie

31.XII.1999 - REPUBBLICA ARABA SIRIANA - EE, Aleppo


nuovo argomento
rispondi
Pagina 1 di 1 [ 3 messaggi ]
Autore Messaggio
MessaggioInviato: 19/12/2020, 12:49 
 

Iscritto il: 08/12/2013, 1:52
Messaggi: 7493
Località: Bagnacavallo (RA)
Nome: Giorgio Pezzi
Ritengo che sia una Vespula (Paravespula) germanica (Fabricius, 1793) ma magari una ssp. particolare?
:hi:
DSC04964.JPG



DSC04966.JPG

DSC04965.JPG

Top
profilo
 Oggetto del messaggio: Re: Vespula da ID
MessaggioInviato: 19/12/2020, 12:55 
Avatar utente

Iscritto il: 01/07/2010, 22:26
Messaggi: 5646
Località: Viterbo
Nome: Marco Selis
Vespula germanica, nei Vespinae non è riconosciuta alcuna sottospecie :hi:


Top
profilo
 Oggetto del messaggio: Re: Vespula da ID
MessaggioInviato: 19/12/2020, 21:04 
 

Iscritto il: 08/12/2013, 1:52
Messaggi: 7493
Località: Bagnacavallo (RA)
Nome: Giorgio Pezzi
Meglio, cartellino più semplice. :D
Grazie! :hi:


Top
profilo
Visualizza ultimi messaggi:  Ordina per  
nuovo argomento
rispondi
Pagina 1 di 1 [ 3 messaggi ]

Tutti gli orari sono UTC + 1 ora [ ora legale ]


Chi c’è in linea

Visitano il forum: Nessuno e 2 ospiti


Non puoi aprire nuovi argomenti
Non puoi rispondere negli argomenti
Non puoi modificare i tuoi messaggi
Non puoi cancellare i tuoi messaggi
Non puoi inviare allegati

Cerca per:
Vai a: