Benvenuto Ospite

Forum Entomologi Italiani

www.entomologiitaliani.net/forum
 
Oggi è 10/12/2025, 10:51

Tutti gli orari sono UTC + 1 ora [ ora legale ]

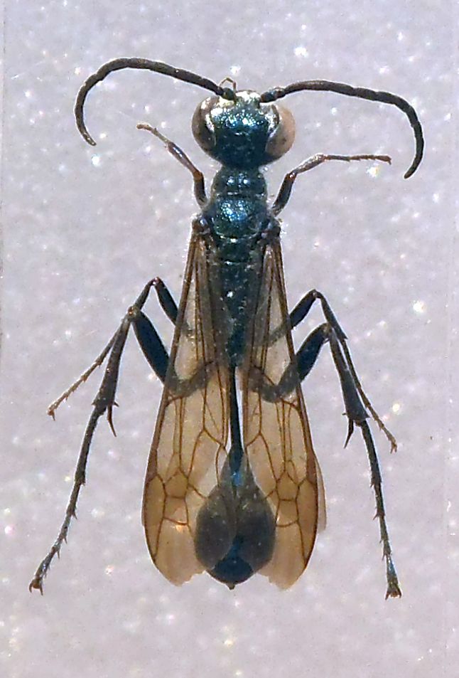
Chalybion bengalense (Dahlbom, 1845) - Sphecidae

1.IX.2015 - ITALIA - Emilia-Romagna - RA, Mezzano (RA) ZPS "Vasche ex Zuccherificio"


nuovo argomento
rispondi
Pagina 1 di 1 [ 1 messaggio ]
Autore Messaggio
MessaggioInviato: 11/09/2015, 10:37 
 

Iscritto il: 08/12/2013, 1:52
Messaggi: 7579
Località: Bagnacavallo (RA)
Nome: Giorgio Pezzi
Siamo ai minimi termini per questo maschio: mm 10 !
:hi:
DSCF1948.JPG



Top
profilo
Visualizza ultimi messaggi:  Ordina per  
nuovo argomento
rispondi
Pagina 1 di 1 [ 1 messaggio ]

Tutti gli orari sono UTC + 1 ora [ ora legale ]


Chi c’è in linea

Visitano il forum: Nessuno e 1 ospite


Non puoi aprire nuovi argomenti
Non puoi rispondere negli argomenti
Non puoi modificare i tuoi messaggi
Non puoi cancellare i tuoi messaggi
Non puoi inviare allegati

Cerca per:
Vai a: