Benvenuto Ospite

Forum Entomologi Italiani

www.entomologiitaliani.net/forum
 
Oggi è 21/12/2025, 15:04

Tutti gli orari sono UTC + 1 ora [ ora legale ]

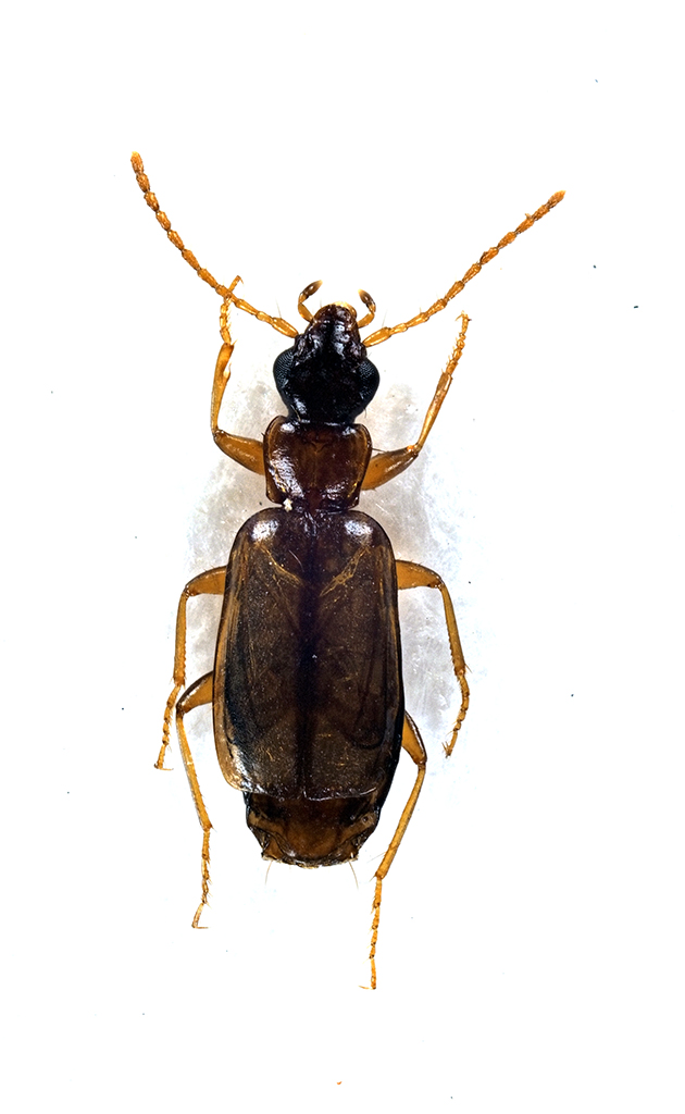
Philorhizus melanocephalus (Dejean, 1825) Dettagli della specie

3.VII.2021 - ITALIA - Marche - MC, Torricchio


nuovo argomento
rispondi
Pagina 1 di 1 [ 1 messaggio ]
Autore Messaggio
MessaggioInviato: 03/12/2021, 23:09 
Avatar utente

Iscritto il: 10/05/2009, 15:30
Messaggi: 7182
Località: Ancona
Nome: Giacomo Giovagnoli
Philorhizus melanocephalus (Dejean, 1825)

Torricchio (Macerata); 03.VII.2021; sotto fascia su albero isolato in pascolo

[grazie zio per le foto!!! :birra: ]

Dimensioni: 3mm
Comb3381cr-23zL3.jpg


Comb3382cr-96zL3.jpg



Ciao :)

_________________
Immagine Giacomo


Top
profilo
Visualizza ultimi messaggi:  Ordina per  
nuovo argomento
rispondi
Pagina 1 di 1 [ 1 messaggio ]

Tutti gli orari sono UTC + 1 ora [ ora legale ]


Chi c’è in linea

Visitano il forum: Nessuno e 1 ospite


Non puoi aprire nuovi argomenti
Non puoi rispondere negli argomenti
Non puoi modificare i tuoi messaggi
Non puoi cancellare i tuoi messaggi
Non puoi inviare allegati

Cerca per:
Vai a: