Benvenuto Ospite

Forum Entomologi Italiani

www.entomologiitaliani.net/forum
 
Oggi è 24/10/2025, 7:38

Tutti gli orari sono UTC + 1 ora [ ora legale ]

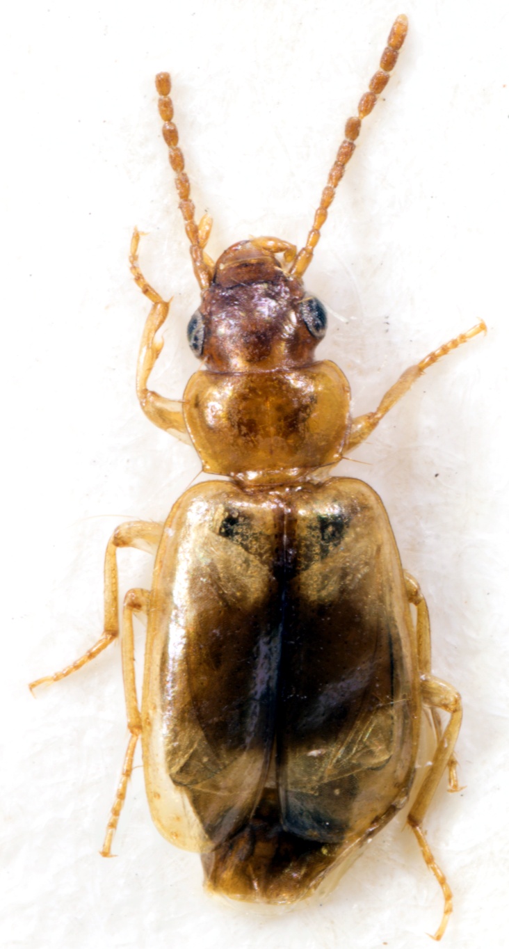
Metadromius arabicus Mateu, 1979 (cf.) - Carabidae

3.VI.2010 - CIPRO - EE, Milou


nuovo argomento
rispondi
Pagina 1 di 1 [ 5 messaggi ]
Autore Messaggio
MessaggioInviato: 01/04/2025, 17:33 
Avatar utente

Iscritto il: 14/03/2009, 12:59
Messaggi: 3230
Località: Milano
Nome: Gabriele Franzini
Circa 2 mm, femmina, leg. Miessen.

Sono un po' arrugginito con i Carabidae, e di questo non riesco nemmeno ad arrivare alla tribù. Un Lebiino?
cipro.jpg


Grazie in anticipo dell'aiuto!
:hi: :hi: G.


Top
profilo
 Oggetto del messaggio: Re: piccolo carabidae da Cipro
MessaggioInviato: 01/04/2025, 18:19 
 

Iscritto il: 10/07/2010, 14:42
Messaggi: 4780
Nome: Giuseppe Pace
Arrivo a
Metadromius sp.

Ciao
Giuseppe


Top
profilo
 Oggetto del messaggio: Re: piccolo carabidae da Cipro
MessaggioInviato: 02/04/2025, 13:10 
Avatar utente

Iscritto il: 14/03/2009, 12:59
Messaggi: 3230
Località: Milano
Nome: Gabriele Franzini
giuseppe55 ha scritto:
Arrivo a
Metadromius sp.
E' già una base di partenza, grazie!
:hi: :hi: G


Top
profilo
 Oggetto del messaggio: Re: Metadromius sp. - Carabidae
MessaggioInviato: 19/10/2025, 13:05 
Avatar utente

Iscritto il: 06/02/2009, 9:03
Messaggi: 6370
Località: Bubano di Mordano (Bologna)
Nome: Augusto Degiovanni
Possibile Metadromius arabicus Mateu, 1979 cf.

_________________
CIAO :hi: Augusto Degiovanni

http://anthicidaeecarabidae.altervista.org


Top
profilo
 Oggetto del messaggio: Re: Metadromius sp. - Carabidae
MessaggioInviato: 19/10/2025, 13:53 
Avatar utente

Iscritto il: 14/03/2009, 12:59
Messaggi: 3230
Località: Milano
Nome: Gabriele Franzini
grazie!
ciao G.


Top
profilo
Visualizza ultimi messaggi:  Ordina per  
nuovo argomento
rispondi
Pagina 1 di 1 [ 5 messaggi ]

Tutti gli orari sono UTC + 1 ora [ ora legale ]


Chi c’è in linea

Visitano il forum: Nessuno e 3 ospiti


Non puoi aprire nuovi argomenti
Non puoi rispondere negli argomenti
Non puoi modificare i tuoi messaggi
Non puoi cancellare i tuoi messaggi
Non puoi inviare allegati

Cerca per:
Vai a: