Benvenuto Ospite

Forum Entomologi Italiani

www.entomologiitaliani.net/forum
 
Oggi è 19/10/2025, 8:15

Tutti gli orari sono UTC + 1 ora [ ora legale ]

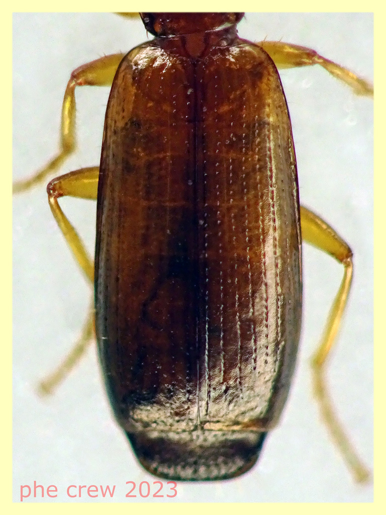
Paradromius linearis (Olivier, 1795) - Carabidae Dromiini

26.I.2023 - ITALIA - Lazio - RM, Ariccia


nuovo argomento
rispondi
Pagina 1 di 1 [ 1 messaggio ]
Autore Messaggio
MessaggioInviato: 29/01/2023, 20:31 
Avatar utente

Iscritto il: 05/07/2009, 12:23
Messaggi: 6818
Località: Anzio (RM)
Nome: Vittorio Risoldi
...Paradromius linearis...5,2 mm.

Paradromius linearis 5,2 mm. - Ariccia 26.1.2023 - (5).JPG

Paradromius linearis 5,2 mm. - Ariccia 26.1.2023 - (15).JPG

Paradromius linearis 5,2 mm. - Ariccia 26.1.2023 - (10).JPG


_________________
°°°°°°°°°°°°°°°°°°°°°°°°°°°°°°°°°°°°°°°°
Ciao
Vittorio


Flickr

Phe Immagini

Facebook


Top
profilo
Visualizza ultimi messaggi:  Ordina per  
nuovo argomento
rispondi
Pagina 1 di 1 [ 1 messaggio ]

Tutti gli orari sono UTC + 1 ora [ ora legale ]


Chi c’è in linea

Visitano il forum: Nessuno e 1 ospite


Non puoi aprire nuovi argomenti
Non puoi rispondere negli argomenti
Non puoi modificare i tuoi messaggi
Non puoi cancellare i tuoi messaggi
Non puoi inviare allegati

Cerca per:
Vai a: