Benvenuto Ospite

Forum Entomologi Italiani

www.entomologiitaliani.net/forum
 
Oggi è 09/10/2025, 3:04

Tutti gli orari sono UTC + 1 ora [ ora legale ]

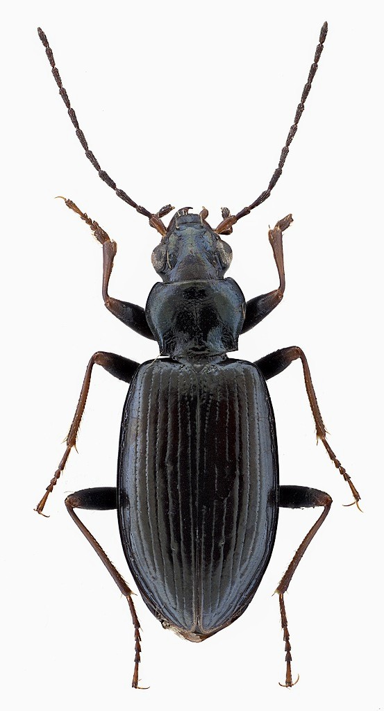
Bembidion (Bembidionetolitzkya) complanatum Heer, 1837 Dettagli della specie

23.VIII.2001 - ITALIA - Trentino-Alto Adige - TN, Val di Breguzzo 1200 m/slm (com. Breguzzo)


nuovo argomento
rispondi
Pagina 1 di 1 [ 7 messaggi ]
Autore Messaggio
MessaggioInviato: 25/01/2025, 18:48 
Avatar utente

Iscritto il: 22/05/2009, 21:00
Messaggi: 2773
Località: Pergine Valsugana (TN)
Nome: Andrea Carlin
Ciao, oggi chiedo gentilmente conferma per questo Bembidion cf coeruleum ;)

Lunghezza: 6 mm

Bembidion-cf-coeruleum.jpg


edeago Bembidion cf coeruleum.jpg



Grazie mille :lov2:

_________________
Andrea Carlin, Pergine Valsugana (TN) carlin.andrea(AT)gmail.com

Nota: tutti gli esemplari inseriti nelle discussioni aperte da me sono da ritenere "Andrea Carlin legit" se non diversamente specificato.


Top
profilo
 Oggetto del messaggio: Re: Bembidion trentino
MessaggioInviato: 25/01/2025, 20:50 
Avatar utente

Iscritto il: 06/02/2009, 9:07
Messaggi: 1483
Località: Val Camonica (BS)
Nome: Davide Pedersoli
B. complanatum :roll:

_________________
Pedux Camuno


Top
profilo
 Oggetto del messaggio: Re: Bembidion trentino
MessaggioInviato: 26/01/2025, 10:55 
Avatar utente

Iscritto il: 22/05/2009, 21:00
Messaggi: 2773
Località: Pergine Valsugana (TN)
Nome: Andrea Carlin
Ciao Davide :birra:
Grazie mille della dritta :lov2:
Effettivamente è anche lui un candidato, non lo avevo considerato :oops:
Non riesco a capire se l' edeago possa aiutare o no...
Altri dettagli sarebbero nelle tempie, negli angoli posteriori del pronoto, forse dalla lunghezza delle antenne... Appena riesco provo a confrontare tutti i dettagli.
Grazie ancora :birra:

_________________
Andrea Carlin, Pergine Valsugana (TN) carlin.andrea(AT)gmail.com

Nota: tutti gli esemplari inseriti nelle discussioni aperte da me sono da ritenere "Andrea Carlin legit" se non diversamente specificato.


Top
profilo
 Oggetto del messaggio: Re: Bembidion trentino
MessaggioInviato: 26/01/2025, 20:19 
Avatar utente

Iscritto il: 22/05/2009, 21:00
Messaggi: 2773
Località: Pergine Valsugana (TN)
Nome: Andrea Carlin
Questo il dettaglio della parte capo-pronoto.
Mah, attendo vostre opinioni.... :?
Grazie :birra:
dettaglio-capo-pronoto-Bembidion-val-di-Breguzzo-TN~2.jpg


_________________
Andrea Carlin, Pergine Valsugana (TN) carlin.andrea(AT)gmail.com

Nota: tutti gli esemplari inseriti nelle discussioni aperte da me sono da ritenere "Andrea Carlin legit" se non diversamente specificato.


Top
profilo
 Oggetto del messaggio: Re: Bembidion trentino
MessaggioInviato: 27/01/2025, 18:44 
Avatar utente

Iscritto il: 22/05/2009, 21:00
Messaggi: 2773
Località: Pergine Valsugana (TN)
Nome: Andrea Carlin
:birra: che dire, mi risulta difficile "leggere" bene i dettagli ma forse il B. complanatum (suggerito da Davide :lov2: ) si rispecchia meglio. Osservando bene i dettagli del sacco interno dell' edeago e confrontandoli con i disegni che ho trovato mi verrebbe però da optare per il coeruleum. :cry:
:oops:
Mettiamo un Bembidion cf complanatum :ok: (grazie a chi può modificare il titolo) :birra:

Metto anche l'immagine dell'habitus un po' più schiarita.
Bembidion-cf-coeruleum~2.jpg


_________________
Andrea Carlin, Pergine Valsugana (TN) carlin.andrea(AT)gmail.com

Nota: tutti gli esemplari inseriti nelle discussioni aperte da me sono da ritenere "Andrea Carlin legit" se non diversamente specificato.


Top
profilo
MessaggioInviato: 30/01/2025, 12:05 
Avatar utente

Iscritto il: 06/02/2009, 9:03
Messaggi: 6363
Località: Bubano di Mordano (Bologna)
Nome: Augusto Degiovanni
E' un Bembidion (Bembidionetolitzkya) complanatum Heer, 1837

La base del pronoto è riferibile a lui, poi le antenne non sono lunghe come nel longipes, l'altra specie con cui potresti confonderlo.

_________________
CIAO :hi: Augusto Degiovanni

http://anthicidaeecarabidae.altervista.org


Top
profilo
MessaggioInviato: 30/01/2025, 12:34 
Avatar utente

Iscritto il: 22/05/2009, 21:00
Messaggi: 2773
Località: Pergine Valsugana (TN)
Nome: Andrea Carlin
:birra: Grazie mille Augusto! :hp:

_________________
Andrea Carlin, Pergine Valsugana (TN) carlin.andrea(AT)gmail.com

Nota: tutti gli esemplari inseriti nelle discussioni aperte da me sono da ritenere "Andrea Carlin legit" se non diversamente specificato.


Top
profilo
Visualizza ultimi messaggi:  Ordina per  
nuovo argomento
rispondi
Pagina 1 di 1 [ 7 messaggi ]

Tutti gli orari sono UTC + 1 ora [ ora legale ]


Chi c’è in linea

Visitano il forum: Nessuno e 8 ospiti


Non puoi aprire nuovi argomenti
Non puoi rispondere negli argomenti
Non puoi modificare i tuoi messaggi
Non puoi cancellare i tuoi messaggi
Non puoi inviare allegati

Cerca per:
Vai a: