Benvenuto Ospite

Forum Entomologi Italiani

www.entomologiitaliani.net/forum
 
Oggi è 24/10/2025, 19:13

Tutti gli orari sono UTC + 1 ora [ ora legale ]

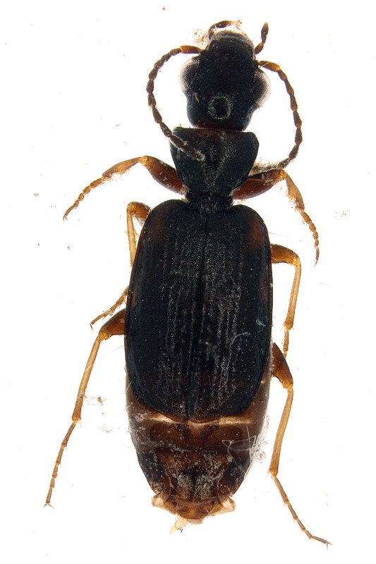
Syntomus impressus (Dejean, 1825) - Carabidae

26.IV.2007 - ITALIA - Sardegna - NU, Belvì


nuovo argomento
rispondi
Pagina 1 di 1 [ 4 messaggi ]
Autore Messaggio
MessaggioInviato: 17/08/2009, 21:52 
Avatar utente

Iscritto il: 02/02/2009, 23:32
Messaggi: 5645
Località: da Ferrara ad Alghero
Nome: Roberto A. Pantaleoni
Riprendo a postare un po' di materiale raccolto negli anni scorsi durante ricerche ecologiche sulle pendici del Gennargentu, in particolare nella Barbagia di Belvì. Nelle trappole a caduta posizionate in ciliegeti e noceti (assolutamente biologici) c'era un altro (ultimo) carabide:
Belvì - ciliegeto (nostro codice C2B1)
S1_C2B1_Z-1367 Montage.jpg


Purtroppo ho dimenticato al lavoro data di cattura e misura, domattina aggiungerò questi dati. Scusate :oops: !
NB: il materiale è in alcool ed i colori possono essere falsati sia dalla conservazione in liquido che dalla rifrazione durante la foto.

Ciao Roberto :to:

_________________
verum stabile cetera fumus


Top
profilo
 Oggetto del messaggio: Re: Carabide della Barbagia di Belvì
MessaggioInviato: 18/08/2009, 0:51 
Avatar utente

Iscritto il: 05/02/2009, 17:31
Messaggi: 9527
Località: milano
Nome: maurizio pavesi
ciao roberto

in attesa delle dimensioni... diciamo provvisoriamente Syntomus impressus

_________________
*****************
Immagine maurizio


Top
profilo
 Oggetto del messaggio: Re: Carabide della Barbagia di Belvì
MessaggioInviato: 18/08/2009, 9:06 
Avatar utente

Iscritto il: 02/02/2009, 23:32
Messaggi: 5645
Località: da Ferrara ad Alghero
Nome: Roberto A. Pantaleoni
Provvedo a completare le informazioni:
data raccolta 26 aprile 2007
dimensioni 3,5-4 mm

Ciao Roberto :to:

_________________
verum stabile cetera fumus


Top
profilo
 Oggetto del messaggio: Re: Carabide della Barbagia di Belvì
MessaggioInviato: 18/08/2009, 10:31 
Avatar utente

Iscritto il: 05/02/2009, 17:31
Messaggi: 9527
Località: milano
Nome: maurizio pavesi
Syntomus impressus (Dejean, 1825) :hp:

_________________
*****************
Immagine maurizio


Top
profilo
Visualizza ultimi messaggi:  Ordina per  
nuovo argomento
rispondi
Pagina 1 di 1 [ 4 messaggi ]

Tutti gli orari sono UTC + 1 ora [ ora legale ]


Chi c’è in linea

Visitano il forum: FORBIX e 8 ospiti


Non puoi aprire nuovi argomenti
Non puoi rispondere negli argomenti
Non puoi modificare i tuoi messaggi
Non puoi cancellare i tuoi messaggi
Non puoi inviare allegati

Cerca per:
Vai a: