Benvenuto Ospite

Forum Entomologi Italiani

www.entomologiitaliani.net/forum
 
Oggi è 27/10/2025, 3:14

Tutti gli orari sono UTC + 1 ora [ ora legale ]

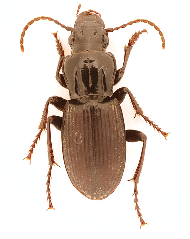
Percus bilineatus Dejean, 1828 - Carabidae

26.X.2011 - ITALIA - Puglia - BA, Gravina


nuovo argomento
rispondi
Pagina 1 di 1 [ 11 messaggi ]
Autore Messaggio
MessaggioInviato: 30/10/2011, 20:47 
Avatar utente

Iscritto il: 08/07/2010, 10:53
Messaggi: 3171
Località: Matera
Nome: Domenico Cardinale
Ciao a tutti :)

Questo è il più grande che ho trovato!!

19 mm


IMG_0950 for.jpg


_________________
Saluti :hi: Mimmo


Top
profilo
MessaggioInviato: 30/10/2011, 20:54 
Avatar utente

Iscritto il: 25/11/2009, 9:31
Messaggi: 8157
Località: Lecce
Nome: Maurizio Bollino
Caro Mimmo,
di Carabidae non ne capisco nulla, ma un consiglio fotografico mi sento di dartelo: con specie così lucide devi diffondere molto la luce, altrimenti è un dramma. Ne so qualche cosa io che ogni giorno mi devo confrontare con i Chrysomelidae. Carta lucida, bicchiere di plastica, portanegativi bianco, qualunque cosa, ma diffondi e .... sottoesponi un pò, tanto con Photoshop poi recuperi facilmente ;) ;) ;) ;)


Top
profilo
MessaggioInviato: 30/10/2011, 21:13 
Avatar utente

Iscritto il: 05/02/2009, 17:44
Messaggi: 2682
Località: Garbagnate Milanese
Nome: Augusto Franzini
Il riflesso lucido imbroglia, ma direi che si tratta di un Percus bilineatus Dejean. Aspetta che venga confermato.

_________________
Augusto (aug)
Prediction is very difficult, especially about the future (Niels Bohr, fisico)


Top
profilo
MessaggioInviato: 30/10/2011, 21:24 
Avatar utente

Iscritto il: 30/12/2009, 22:20
Messaggi: 31564
Località: Roma
Nome: Maurizio Gigli
Secondo me l'illuminazione va bene. Il problema è solo nel bilanciamento del bianco.

Così dovrebbe essere di un colore più corrispondente alla realtà.

IMG_095.jpg


_________________
Maurizio Gigli
http://utenti.romascuola.net/bups
http://bup.xoom.it/


Top
profilo
MessaggioInviato: 30/10/2011, 21:38 
Avatar utente

Iscritto il: 19/09/2009, 22:25
Messaggi: 5912
Località: Brescia
Nome: Vinicio Salami
aug ha scritto:
Il riflesso lucido imbroglia, ma direi che si tratta di un Percus bilineatus Dejean. Aspetta che venga confermato.


anche per me Percus bilineatus Dejean, 1828.

:birra:


Top
profilo
MessaggioInviato: 30/10/2011, 22:29 
Avatar utente

Iscritto il: 08/07/2010, 10:53
Messaggi: 3171
Località: Matera
Nome: Domenico Cardinale
Grazie mille a tutti!! :birra:

Una domanda per i carabidologi, leggo da Faunaeur che questa specie, come il Brachinus italicus, sono presenti solo in Iitalia, sono io che ho avuto gran c....o oppure è comune tra i Carabidae avere molti endemismi??

Maurizio Bollino ha scritto:
Caro Mimmo,
di Carabidae non ne capisco nulla, ma un consiglio fotografico mi sento di dartelo: con specie così lucide devi diffondere molto la luce, altrimenti è un dramma. Ne so qualche cosa io che ogni giorno mi devo confrontare con i Chrysomelidae. Carta lucida, bicchiere di plastica, portanegativi bianco, qualunque cosa, ma diffondi e .... sottoesponi un pò, tanto con Photoshop poi recuperi facilmente ;) ;) ;) ;)


Maurizio per diffondere la luce ho usasto della carta velina bianca, seondo me riflessi veri e propri non ce ne sono, il problema è il sistema di illuminazione un pò "rudimentale" :D Uso da un lato la lampada della scrivania, e dall'altro la rifletto con del cartoncino argentato che si usa per coprire le vaschette di alluminio!! :D Mi sto attrezzando per i led, ma costicchiano un pò!
Un'altra cosa importante è un piano d'appoggio che si alza e abbassa per lo stacking, queste sono tutte foto singole!

_________________
Saluti :hi: Mimmo


Top
profilo
MessaggioInviato: 30/10/2011, 23:28 
Avatar utente

Iscritto il: 08/05/2010, 22:25
Messaggi: 1462
Località: Milano
Nome: Riccardo Sciaky
Mimmo011 ha scritto:
Una domanda per i carabidologi, leggo da Faunaeur che questa specie, come il Brachinus italicus, sono presenti solo in Iitalia, sono io che ho avuto gran c....o oppure è comune tra i Carabidae avere molti endemismi??


Bé, tieni conto del fatto che "endemico" non significa automaticamente raro. L'Italia è ricchissima di endemismi, ma questo non significa che siano specie poco frequenti. I Trechus culminicoli, che a volte stanno solo sulla cima di una singola montagna, nel momento in cui si vanno a cercare spesso si trovano anche in abbondanza. Per quanto riguarda i Percus, svariate specie sono endemiche italiane, ma quasi tutte sono abbastanza frequenti. Idem dicasi per il Brachinus: anche le specie di questo sottogenere sono piuttosto localizzate, ma comuni quando ci si "capita" sopra. Diciamo che l'aspetto più interessante delle specie endemiche è che... si potrebbero scambiare bene con collezionisti extra-italiani :lol: :lol: :lol:

Buona serata ;)

_________________
Riccardo


Top
profilo
MessaggioInviato: 30/10/2011, 23:41 
Avatar utente

Iscritto il: 08/07/2010, 10:53
Messaggi: 3171
Località: Matera
Nome: Domenico Cardinale
Grazie Riccardo! :) Rileggendomi mi rendo conto che non mi sono espresso al meglio!

Volevo chiedere se nei Carabidae la localizzazione in una determinata zona è più accentuata (forse perchè hanno una bassa dispersione??) rispetto ad altre famiglie di coleotteri o insetti in generale. Per esempio nelle farfalle, che hanno una capacità di dispersione molto grande, la localizzazione è meno spinta.

:hi:

_________________
Saluti :hi: Mimmo


Top
profilo
MessaggioInviato: 30/10/2011, 23:49 
Avatar utente

Iscritto il: 05/02/2009, 17:31
Messaggi: 9527
Località: milano
Nome: maurizio pavesi
ciao mimmo

agli esempi fatti da riccardo, aggiungo due esempi banali... nel senso che due specie sostanzialmente endemiche italiane (sconfinano per un tratto limitato in territori politicamente non italiani) sono Cychrus italicus e Abax continuus, il primo diffuso nei territori collinari e montani di tutta l'italia continentale, anche se generalmente non abbondante numericamente, il secondo spesso dominante in cenosi di bassa e media quota in nord italia

oops :oops: ... bene, in attesa di riccardo, posso aggiungere che i carabidi in partenza, rispetto ad altre famiglie, presentano un elevata percentuale di elementi brachitteri, che divengono dominanti in alcune tribù/sottotribù (Carabini escl. Calosomatina, Nebriini, Trechini, Pterostichini, Sphodrina), il che ovviamente favorisce una localizzazione più o meno spinta, nonché una tendenza alla differenziazione, soprattutto quando si tratta di elementi orofili, cioè che nel clima attuale non possono scendere sotto una data quota, e quindi si trovano isolati lì dove si trovano

_________________
*****************
Immagine maurizio


Top
profilo
MessaggioInviato: 30/10/2011, 23:55 
Avatar utente

Iscritto il: 30/12/2009, 22:20
Messaggi: 31564
Località: Roma
Nome: Maurizio Gigli
Mimmo011 ha scritto:
Grazie Riccardo! :) Rileggendomi mi rendo conto che non mi sono espresso al meglio!

Volevo chiedere se nei Carabidae la localizzazione in una determinata zona è più accentuata (forse perchè hanno una bassa dispersione??) rispetto ad altre famiglie di coleotteri o insetti in generale. Per esempio nelle farfalle, che hanno una capacità di dispersione molto grande, la localizzazione è meno spinta.

:hi:

Rispetto a certe famiglie, sicuramente i carabidae endemizzano di più. Per esempio rispetto ai Cerambycidae e ai Buprestidae (che caso strano!). Invece se li confrontiamo con certi gruppi di Tenebrionidae o Curculionidae, mi sa che non ci sono grosse differenze.

_________________
Maurizio Gigli
http://utenti.romascuola.net/bups
http://bup.xoom.it/


Top
profilo
MessaggioInviato: 18/11/2011, 15:05 
Avatar utente

Iscritto il: 08/07/2010, 10:53
Messaggi: 3171
Località: Matera
Nome: Domenico Cardinale
Grazie a tutti per le interessanti spiegazioni! :)

PS: qualcuno potrebbe rinominare la discussione??? :ok:

_________________
Saluti :hi: Mimmo


Top
profilo
Visualizza ultimi messaggi:  Ordina per  
nuovo argomento
rispondi
Pagina 1 di 1 [ 11 messaggi ]

Tutti gli orari sono UTC + 1 ora [ ora legale ]


Chi c’è in linea

Visitano il forum: Google [Bot] e 11 ospiti


Non puoi aprire nuovi argomenti
Non puoi rispondere negli argomenti
Non puoi modificare i tuoi messaggi
Non puoi cancellare i tuoi messaggi
Non puoi inviare allegati

Cerca per:
Vai a: