| Autore |
Messaggio |
|
Andrea Pergine
|
Inviato: 24/11/2011, 23:38 |
|
Iscritto il: 22/05/2009, 21:00 Messaggi: 2774 Località: Pergine Valsugana (TN)
Nome: Andrea Carlin
|
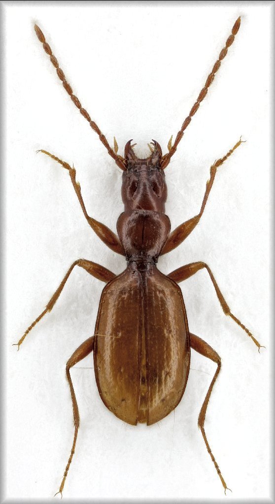
 Per continuare la discussione proposta da Vinicio qui riportata inserisco un'immagine di questa interessante sottospecie. lunghezza: 3,95 mm (seguiranno altri dettagli)
_________________ Andrea Carlin, Pergine Valsugana (TN) carlin.andrea(AT)gmail.com
Nota: tutti gli esemplari inseriti nelle discussioni aperte da me sono da ritenere "Andrea Carlin legit" se non diversamente specificato.
|
|
| Top |
|
 |
|
hypotyphlus
|
Inviato: 24/11/2011, 23:46 |
|
Iscritto il: 10/05/2010, 22:31 Messaggi: 4371 Località: Gavorrano (GR)
Nome: marco bastianini
|
_________________ Marco"Le foreste a precedere le civiltà, i deserti a seguire."François-René de Chateaubriand
|
|
| Top |
|
 |
|
Andrea Pergine
|
Inviato: 24/11/2011, 23:57 |
|
Iscritto il: 22/05/2009, 21:00 Messaggi: 2774 Località: Pergine Valsugana (TN)
Nome: Andrea Carlin
|
...per facilitare il confronto degli "habitus" inserisco questa tavola. 
_________________ Andrea Carlin, Pergine Valsugana (TN) carlin.andrea(AT)gmail.com
Nota: tutti gli esemplari inseriti nelle discussioni aperte da me sono da ritenere "Andrea Carlin legit" se non diversamente specificato.
|
|
| Top |
|
 |
|
eurinomio
|
Inviato: 25/11/2011, 0:39 |
|
Iscritto il: 19/09/2009, 22:25 Messaggi: 5912 Località: Brescia
Nome: Vinicio Salami
|
una differenza occhiometrica che ho potuto individuare tra le due ssp. è la disposizione (credo abbastanza costante) dei primi 3 pori setigeri...nella foto si vede bene.
|
|
| Top |
|
 |
|
Andrea Pergine
|
Inviato: 25/11/2011, 1:00 |
|
Iscritto il: 22/05/2009, 21:00 Messaggi: 2774 Località: Pergine Valsugana (TN)
Nome: Andrea Carlin
|
|
_________________ Andrea Carlin, Pergine Valsugana (TN) carlin.andrea(AT)gmail.com
Nota: tutti gli esemplari inseriti nelle discussioni aperte da me sono da ritenere "Andrea Carlin legit" se non diversamente specificato.
|
|
| Top |
|
 |
|
eurinomio
|
Inviato: 25/11/2011, 1:18 |
|
Iscritto il: 19/09/2009, 22:25 Messaggi: 5912 Località: Brescia
Nome: Vinicio Salami
|
questa differenza l'ho riscontrata su tutti i pochi (purtroppo) esemplari che ho potuto visionare...magari può anche essere che sia casuale. 
|
|
| Top |
|
 |
|
Orotrechus
|
Inviato: 25/11/2011, 10:56 |
|
Iscritto il: 01/11/2010, 21:21 Messaggi: 2106 Località: Brescia
Nome: Mario Grottolo
|
|
Andrea dovresti essere più preciso sulla località di raccolta perchè secondo me l'Orotrechus targioni concii l'hai raccolto in grotta. Come mi sembra di aver già detto precedentemente le differenze andrebbero verificate su più esemplari possibilmente provenienti da altre località tipiche e quindi ti consiglierei di confrontarli con gli esemplari provenienti dal Bus dei Fortini. Qui le differenze sono ben visibili. Secondo punto: siamo tutti convinti che si tratti di due sottospecie del targioni? A quanto mi risulta non c'è una pubblicazione in merito e le sinonimie compaiono improvvisamente sulla chek list. Se così fosse Orotrechus targioni concii, Orotrechus targioni alticola, Orotrechus targioni ganglbaueri risulterebbero simpatrici il che mi lascia molto ma molto perplesso. Ciao Mario
|
|
| Top |
|
 |
|
Andrea Pergine
|
Inviato: 25/11/2011, 11:43 |
|
Iscritto il: 22/05/2009, 21:00 Messaggi: 2774 Località: Pergine Valsugana (TN)
Nome: Andrea Carlin
|
|
_________________ Andrea Carlin, Pergine Valsugana (TN) carlin.andrea(AT)gmail.com
Nota: tutti gli esemplari inseriti nelle discussioni aperte da me sono da ritenere "Andrea Carlin legit" se non diversamente specificato.
|
|
| Top |
|
 |
|
eurinomio
|
Inviato: 25/11/2011, 16:02 |
|
Iscritto il: 19/09/2009, 22:25 Messaggi: 5912 Località: Brescia
Nome: Vinicio Salami
|
Andrea Pergine ha scritto: :ok: Grazie Mario, come dicevo anch'io precedentemente in qualche altra discussione, i "lavori sono ancora in corso"... ma probabilmente non li sta portando avanti nessuno seriamente. dopo un accurato controllo sulle checklist che conosco, su faunaeur ed Apat, ho potuto riscontrare che tutto è rimasto immutato (a parte il dallarmii che dovrebbe essere ssp di gigas e che sulla checklist non viene modificato)...niente sinonimie...tutto come prima.
|
|
| Top |
|
 |
|
Andrea Pergine
|
Inviato: 25/11/2011, 17:10 |
|
Iscritto il: 22/05/2009, 21:00 Messaggi: 2774 Località: Pergine Valsugana (TN)
Nome: Andrea Carlin
|
|
_________________ Andrea Carlin, Pergine Valsugana (TN) carlin.andrea(AT)gmail.com
Nota: tutti gli esemplari inseriti nelle discussioni aperte da me sono da ritenere "Andrea Carlin legit" se non diversamente specificato.
|
|
| Top |
|
 |
|