Benvenuto Ospite

Forum Entomologi Italiani

www.entomologiitaliani.net/forum
 
Oggi è 27/10/2025, 15:41

Tutti gli orari sono UTC + 1 ora [ ora legale ]

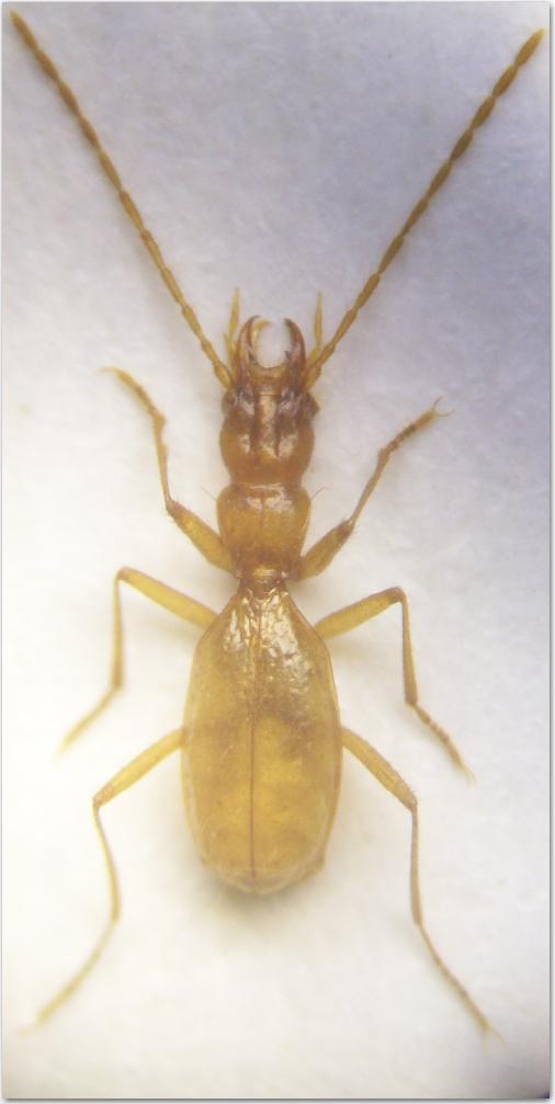
Orotrechus stephani ssp.roboretanus G.Muller,1933 - Carabidae Trechinae

26.I.2008 - ITALIA - Trentino-Alto Adige - TN, Serrada,n.207 VT/TN Bus del Gobo Onzera Bodei Luca Leg.


nuovo argomento
rispondi
Pagina 1 di 1 [ 3 messaggi ]
Autore Messaggio
MessaggioInviato: 12/02/2012, 16:44 
Avatar utente

Iscritto il: 09/11/2010, 19:52
Messaggi: 4518
Località: Brescia
Nome: Luca Bodei
Visto che piacciono quei cosini piccolini rossicci anoftalmi...... :D....sui 5/6 mm la foto è quella che è....di più per me è impossible.... :hi:


100_1364.JPG


_________________
Tc70


Ultima modifica di Tc70 il 12/02/2012, 17:40, modificato 1 volta in totale.
Top
profilo
MessaggioInviato: 12/02/2012, 16:59 
Avatar utente

Iscritto il: 10/05/2010, 22:31
Messaggi: 4371
Località: Gavorrano (GR)
Nome: marco bastianini
Sicuramente la bestiola è moooooooolto meglio della foto :D :D :D

_________________
:to: Marco
"Le foreste a precedere le civiltà, i deserti a seguire."
François-René de Chateaubriand


Top
profilo
MessaggioInviato: 12/02/2012, 17:50 
Avatar utente

Iscritto il: 16/02/2009, 23:39
Messaggi: 1368
Località: Mirano (Venezia)
Nome: Enrico Ruzzier
:ok: :ok:

_________________
«Discendiamo da scimmie evolute, non da angeli caduti» Robert Ardrey


Top
profilo
Visualizza ultimi messaggi:  Ordina per  
nuovo argomento
rispondi
Pagina 1 di 1 [ 3 messaggi ]

Tutti gli orari sono UTC + 1 ora [ ora legale ]


Chi c’è in linea

Visitano il forum: Nessuno e 18 ospiti


Non puoi aprire nuovi argomenti
Non puoi rispondere negli argomenti
Non puoi modificare i tuoi messaggi
Non puoi cancellare i tuoi messaggi
Non puoi inviare allegati

Cerca per:
Vai a: