Benvenuto Ospite

Forum Entomologi Italiani

www.entomologiitaliani.net/forum
 
Oggi è 28/10/2025, 4:17

Tutti gli orari sono UTC + 1 ora [ ora legale ]

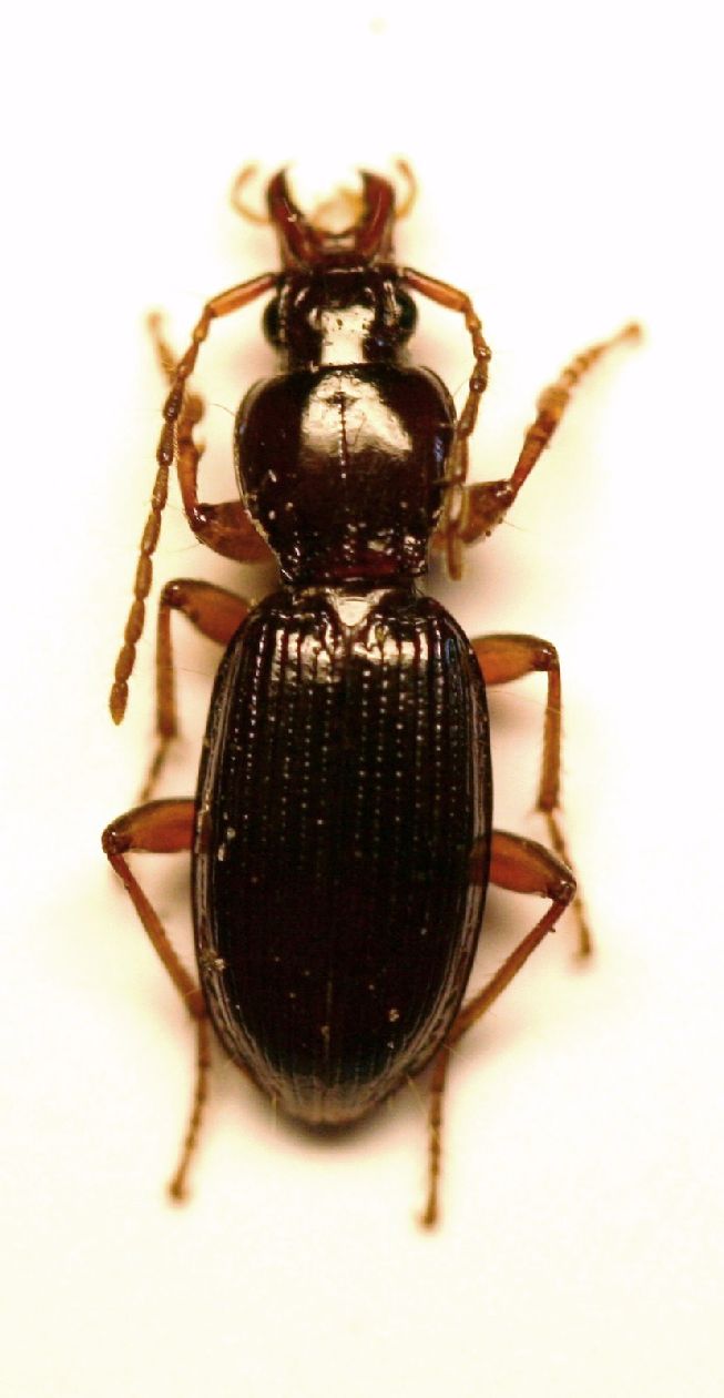
Stomis bucciarellii Pesarini, 1979 - Carabidae

11.III.2012 - ITALIA - Emilia-Romagna - BO, Castel d'Aiano - Mt. 900


nuovo argomento
rispondi
Pagina 1 di 1 [ 3 messaggi ]
Autore Messaggio
MessaggioInviato: 14/03/2012, 22:59 
Avatar utente

Iscritto il: 05/02/2009, 17:25
Messaggi: 4894
Località: Zola Predosa (BO)
Nome: Loris Colacurcio
Sempre a Castel d'Aiano, mentre cercavo batyscini nel letto di un piccolo rio asciutto, sotto l'ennesima pietra (insieme ad un sacco di Trechus.....fairmairei o qualcosa del genere :oops: ) ho raccolto pure questo...Stomis ?

E' sempre un bucciarelli, secondo voi ?

I pochissimi che trovo, li ho raccolti unicamente nel folto del bosco (querco-castagneto), sotto pietre...mai su terreni aperti.

Lunghezza: 6,5 mm. circa

stomis1.JPG


stomis2.JPG



stomis3.JPG


_________________
Loris


Top
profilo
 Oggetto del messaggio: Re: Stomis ? - Carabidae
MessaggioInviato: 14/03/2012, 23:46 
Avatar utente

Iscritto il: 01/11/2010, 21:21
Messaggi: 2106
Località: Brescia
Nome: Mario Grottolo
:ok: Dovrebbe essere lui
ciao
Mario


Top
profilo
 Oggetto del messaggio: Re: Stomis ? - Carabidae
MessaggioInviato: 15/03/2012, 9:10 
Avatar utente

Iscritto il: 05/02/2009, 17:25
Messaggi: 4894
Località: Zola Predosa (BO)
Nome: Loris Colacurcio
Grazie mille :ok:
:hi:

_________________
Loris


Top
profilo
Visualizza ultimi messaggi:  Ordina per  
nuovo argomento
rispondi
Pagina 1 di 1 [ 3 messaggi ]

Tutti gli orari sono UTC + 1 ora [ ora legale ]


Chi c’è in linea

Visitano il forum: Bing [Bot] e 10 ospiti


Non puoi aprire nuovi argomenti
Non puoi rispondere negli argomenti
Non puoi modificare i tuoi messaggi
Non puoi cancellare i tuoi messaggi
Non puoi inviare allegati

Cerca per:
Vai a: