Forum Entomologi Italiani
http://www.entomologiitaliani.net/public/forum/phpBB3/

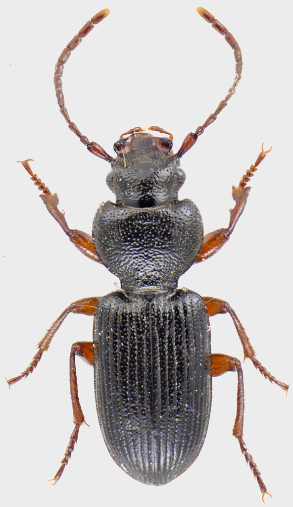
Carterus (Carterus) dama (P. Rossi, 1792) - Carabidae
http://www.entomologiitaliani.net/public/forum/phpBB3/viewtopic.php?f=143&t=34150
Pagina 1 di 1

Autore:  Maurizio Bollino [ 14/05/2012, 17:23 ]
Oggetto del messaggio:  Carterus (Carterus) dama (P. Rossi, 1792) - Carabidae

Grazie a Enrico Ruzzier ho chiarito che questa bestiola, atterrata sull'asciugamano di mia moglie mentre prendeva il sole in spiaggia, è un Carabidae. Quei processi cefalici mi avevano mandato in crisi, e per .... pudore non dico a che famiglia avevo pensato :oops: :oops: :oops:

Dimensioni: 8 mm
Carabidae-Torre-Mozza.jpg


Autore:  Lucanus tetraodon [ 14/05/2012, 18:12 ]
Oggetto del messaggio:  Re: Carabidae

Ciao Maurizio! Mi sembra un Ditomus... :roll:

Autore:  Daniele Sechi [ 14/05/2012, 18:14 ]
Oggetto del messaggio:  Re: Carabidae

Maurizio Bollino ha scritto:
Quei processi cefalici mi avevano mandato in crisi, e per .... pudore non dico a che famiglia avevo pensato :oops: :oops: :oops:


Bovidae? :lol:

Autore:  Maurizio Bollino [ 14/05/2012, 18:17 ]
Oggetto del messaggio:  Re: Carabidae

Daniele Sechi ha scritto:
Maurizio Bollino ha scritto:
Quei processi cefalici mi avevano mandato in crisi, e per .... pudore non dico a che famiglia avevo pensato :oops: :oops: :oops:


Bovidae? :lol:


:gun: :gun: :gun: :gun:

Autore:  Lucanus tetraodon [ 14/05/2012, 18:18 ]
Oggetto del messaggio:  Re: Carabidae

Daniele Sechi ha scritto:
Maurizio Bollino ha scritto:
Quei processi cefalici mi avevano mandato in crisi, e per .... pudore non dico a che famiglia avevo pensato :oops: :oops: :oops:


Bovidae? :lol:

Ho appena controllato nell' archivio del forum e non mi sembra nè il clypeatus nè lo sphaerocephalus: quindi, o è una specie nuova per il forum o ho sbagluiato il genere! :to:

Autore:  Daniele Sechi [ 14/05/2012, 18:21 ]
Oggetto del messaggio:  Re: Carabidae

Giovanni prova a controllare tra i Carterus ;)

Autore:  Enrico Ruzzier [ 14/05/2012, 19:16 ]
Oggetto del messaggio:  Re: Carabidae

Maurizio Bollino ha scritto:
Grazie a Enrico Ruzzier ho chiarito che questa bestiola, atterrata sull'asciugamano di mia moglie mentre prendeva il sole in spiaggia, è un Carabidae. Quei processi cefalici mi avevano mandato in crisi, e per .... pudore non dico a che famiglia avevo pensato :oops: :oops: :oops:

Dimensioni: 8 mm
Carabidae-Torre-Mozza.jpg


Il dettaglio del metodo di cattura me lo avevi omesso :gh: :gh: :gh: :gh:


:hi:

Autore:  Effe Esse [ 15/05/2012, 1:13 ]
Oggetto del messaggio:  Re: Carabidae

Daniele Sechi ha scritto:
Giovanni prova a controllare tra i Carterus ;)


Sembrerebbe il Carterus dama,
ma meglio aspettare qualche specialista.

Autore:  Maura [ 21/10/2012, 19:04 ]
Oggetto del messaggio:  Re: Carabidae

Visto che siamo ancora in attesa di una conferma, ne approfitto per chiedere un chiarimento: il margine anteriore del clipeo è quello indicato dalla freccia?

285_6515d828c39baf2578e93d66443ca42f.jpg


Autore:  Notoxus59 [ 21/10/2012, 22:31 ]
Oggetto del messaggio:  Re: Carabidae

Ciao Maura,
quello che tu indichi in giallo è proprio il bordo o margine anteriore del Clypeo :ok: :ok:

Per la determinazione anche io propendo per il dama, visto il primo articolo antennale molto lungo e le escrescenze sulle mandibole, lo confermerei ;)

Autore:  Maura [ 21/10/2012, 22:46 ]
Oggetto del messaggio:  Re: Carabidae

Grazie!

Pagina 1 di 1 Tutti gli orari sono UTC + 1 ora [ ora legale ]
Powered by phpBB® Forum Software © phpBB Group
http://www.phpbb.com/