Benvenuto Ospite

Forum Entomologi Italiani

www.entomologiitaliani.net/forum
 
Oggi è 27/10/2025, 2:34

Tutti gli orari sono UTC + 1 ora [ ora legale ]

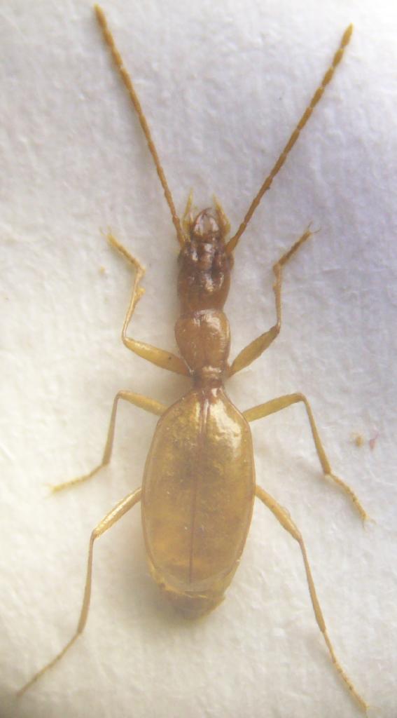
Orotrechus gracilis Meggiolaro, 1961 - Carabidae Trechinae

1.V.2004 - ITALIA - Veneto - TV, Grotta Buco del Dinosauro


nuovo argomento
rispondi
Pagina 1 di 1 [ 2 messaggi ]
Autore Messaggio
MessaggioInviato: 12/06/2012, 18:28 
Avatar utente

Iscritto il: 09/11/2010, 19:52
Messaggi: 4518
Località: Brescia
Nome: Luca Bodei
Nonostante i miei penosi mezzi,posto qusto bellissimo e raro Trechino,preparato con timore di romperlo....ma comunque per me bello....circa 5/6 mm :hi: :hi:


100_1542.JPG


_________________
Tc70
Top
profilo
MessaggioInviato: 12/06/2012, 22:20 
Avatar utente

Iscritto il: 05/02/2009, 17:31
Messaggi: 9527
Località: milano
Nome: maurizio pavesi
ciao luca

bellissimo :p ... che invidia :sma:

p.s. ho tolto la parentesi, che non ci voleva :oops:

_________________
*****************
Immagine maurizio


Top
profilo
Visualizza ultimi messaggi:  Ordina per  
nuovo argomento
rispondi
Pagina 1 di 1 [ 2 messaggi ]

Tutti gli orari sono UTC + 1 ora [ ora legale ]


Chi c’è in linea

Visitano il forum: Nessuno e 18 ospiti


Non puoi aprire nuovi argomenti
Non puoi rispondere negli argomenti
Non puoi modificare i tuoi messaggi
Non puoi cancellare i tuoi messaggi
Non puoi inviare allegati

Cerca per:
Vai a: