Benvenuto Ospite

Forum Entomologi Italiani

www.entomologiitaliani.net/forum
 
Oggi è 09/10/2025, 3:04

Tutti gli orari sono UTC + 1 ora [ ora legale ]

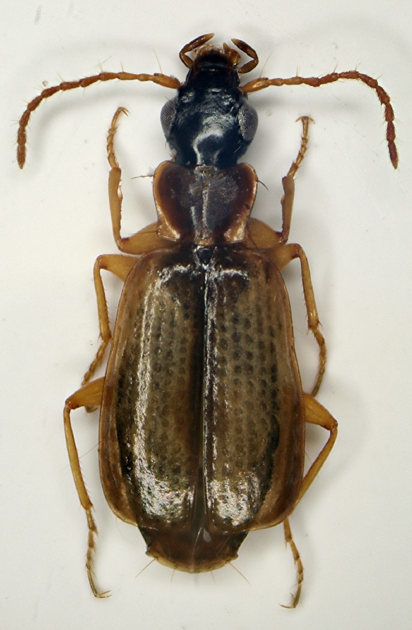
Philorhizus melanocephalus (Dejean, 1825) Dettagli della specie

16.X.2012 - ITALIA - Emilia-Romagna - BO, Bubano


nuovo argomento
rispondi
Pagina 1 di 1 [ 4 messaggi ]
Autore Messaggio
MessaggioInviato: 25/10/2012, 22:36 
Avatar utente

Iscritto il: 05/02/2009, 17:25
Messaggi: 4894
Località: Zola Predosa (BO)
Nome: Loris Colacurcio
Con questi carabidi "molli" non ho mai nessuna idea...neanche sul genere.
Raccolto nell'amata località di Augusto ;) , vagliando tra i canneti.

Lunghezza: 3.6mm. circa

carabide 3.6mm bubano.JPG


_________________
Loris


Top
profilo
 Oggetto del messaggio: Re: Carabide - Carabidae
MessaggioInviato: 25/10/2012, 23:34 
Avatar utente

Iscritto il: 05/02/2009, 17:31
Messaggi: 9527
Località: milano
Nome: maurizio pavesi
ciao loris

Philorhizus melanocephalus (Dejean, 1825)

_________________
*****************
Immagine maurizio


Top
profilo
MessaggioInviato: 26/10/2012, 8:18 
Avatar utente

Iscritto il: 05/02/2009, 17:25
Messaggi: 4894
Località: Zola Predosa (BO)
Nome: Loris Colacurcio
...e ne avevo già postato un altro :oops: .
Grazie mille :hi:

_________________
Loris


Top
profilo
MessaggioInviato: 27/10/2012, 9:40 
Avatar utente

Iscritto il: 06/02/2009, 9:03
Messaggi: 6363
Località: Bubano di Mordano (Bologna)
Nome: Augusto Degiovanni
Ottimo questa è la 97° ma specie presente nel laghetto :hp: , fino ad ora non l'avevo ancora rinvenuta :hp: bravo Loris :ok:

_________________
CIAO :hi: Augusto Degiovanni

http://anthicidaeecarabidae.altervista.org


Top
profilo
Visualizza ultimi messaggi:  Ordina per  
nuovo argomento
rispondi
Pagina 1 di 1 [ 4 messaggi ]

Tutti gli orari sono UTC + 1 ora [ ora legale ]


Chi c’è in linea

Visitano il forum: Nessuno e 8 ospiti


Non puoi aprire nuovi argomenti
Non puoi rispondere negli argomenti
Non puoi modificare i tuoi messaggi
Non puoi cancellare i tuoi messaggi
Non puoi inviare allegati

Cerca per:
Vai a: