Benvenuto Ospite

Forum Entomologi Italiani

www.entomologiitaliani.net/forum
 
Oggi è 21/10/2025, 12:13

Tutti gli orari sono UTC + 1 ora [ ora legale ]

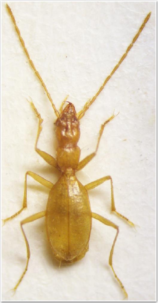
Orotrechus stephani prenottoi Daffner, 1986 Dettagli della specie

1.V.2004 - ITALIA - Veneto - TV, Possagno,Grotta Buco del Dinosauro. Leg. Luca Bodei.


nuovo argomento
rispondi
Pagina 1 di 1 [ 11 messaggi ]
Autore Messaggio
MessaggioInviato: 07/01/2015, 23:45 
Avatar utente

Iscritto il: 09/11/2010, 19:52
Messaggi: 4518
Località: Brescia
Nome: Luca Bodei
E con il ''metodo Bodei'' :D eccovi un'altra foto di un Trechino particolarmente difficile da catturare visto la non banale grotta,con dei bei pozzi da 35/45 mt...circa 4,2 mm ;) :hi:


100_2704.JPG


_________________
Tc70
Top
profilo
MessaggioInviato: 08/01/2015, 1:10 
Avatar utente

Iscritto il: 22/05/2009, 21:00
Messaggi: 2773
Località: Pergine Valsugana (TN)
Nome: Andrea Carlin
:lov3: :lov3: :lov3: :lov3: :lov3:
:p :p :p :p :p :p :p :p :p :p :p
:birra: :birra: :birra: :birra: :birra:

_________________
Andrea Carlin, Pergine Valsugana (TN) carlin.andrea(AT)gmail.com

Nota: tutti gli esemplari inseriti nelle discussioni aperte da me sono da ritenere "Andrea Carlin legit" se non diversamente specificato.


Top
profilo
MessaggioInviato: 08/01/2015, 4:19 
Avatar utente

Iscritto il: 19/09/2009, 22:25
Messaggi: 5912
Località: Brescia
Nome: Vinicio Salami
unica ssp rimasta di stephani...


Top
profilo
MessaggioInviato: 08/01/2015, 12:55 
Avatar utente

Iscritto il: 22/05/2009, 21:00
Messaggi: 2773
Località: Pergine Valsugana (TN)
Nome: Andrea Carlin
:bln: ... Ciao Vinicio, tu li hai già messi tutti assieme gli stephani della grotta della Bigonda, quelli di Serrada e quelli della grotta di Costalta? :?
Non ci credo! :bln:
:birra:

_________________
Andrea Carlin, Pergine Valsugana (TN) carlin.andrea(AT)gmail.com

Nota: tutti gli esemplari inseriti nelle discussioni aperte da me sono da ritenere "Andrea Carlin legit" se non diversamente specificato.


Top
profilo
MessaggioInviato: 08/01/2015, 19:01 
Avatar utente

Iscritto il: 01/11/2010, 21:21
Messaggi: 2106
Località: Brescia
Nome: Mario Grottolo
Io per ora li tengo separati. Sarebbe interessante catturarli vivi e metterli in alcool assoluo per il DNA. L'amico Faille è disponibile a ricercarlo.
Mario


Top
profilo
MessaggioInviato: 08/01/2015, 20:41 
Avatar utente

Iscritto il: 19/09/2009, 22:25
Messaggi: 5912
Località: Brescia
Nome: Vinicio Salami
Andrea Pergine ha scritto:
:bln: ... Ciao Vinicio, tu li hai già messi tutti assieme gli stephani della grotta della Bigonda, quelli di Serrada e quelli della grotta di Costalta? :?
Non ci credo! :bln:
:birra:


piuttosto mi faccio tagliare i gioielli di famiglia!!! :lol1: :lol1:
in collezione tengo col LORO NOME tutte la natio, le morpha, le forme individuali, le aberrazioni, etc, etc...visto che qualcuno le ha descritte sono convinto che abbiano comunque un valore storico, che vada mantenuto.

:ok: :ok:

p.s. ha in ogni caso ragione Mario: per essere assolutamente certi servirebbe uno studio sul DNA.


Top
profilo
MessaggioInviato: 08/01/2015, 22:27 
Avatar utente

Iscritto il: 09/11/2010, 19:52
Messaggi: 4518
Località: Brescia
Nome: Luca Bodei
eurinomio ha scritto:
p.s. ha in ogni caso ragione Mario: per essere assolutamente certi servirebbe uno studio sul DNA.




Il problema è già trovarli 'morti'...figuriamoci vivi... :D :hi:

_________________
Tc70


Top
profilo
MessaggioInviato: 09/01/2015, 11:01 
Avatar utente

Iscritto il: 22/05/2009, 21:00
Messaggi: 2773
Località: Pergine Valsugana (TN)
Nome: Andrea Carlin
:gh: ...per provarci (a recuperarli vivi) ci vorrebbe una carica di entusiasmo non indifferente... :cry:
Comunque ho dei forti dubbi sulle sinonimie proposte soprattutto fra la forma tipica (grotta di Costalta a circa 1800 m) e gli altri... :oops:
:birra: :birra: :birra:

_________________
Andrea Carlin, Pergine Valsugana (TN) carlin.andrea(AT)gmail.com

Nota: tutti gli esemplari inseriti nelle discussioni aperte da me sono da ritenere "Andrea Carlin legit" se non diversamente specificato.


Top
profilo
MessaggioInviato: 09/01/2015, 18:18 
Avatar utente

Iscritto il: 01/11/2010, 21:21
Messaggi: 2106
Località: Brescia
Nome: Mario Grottolo
Tu Andrea sei inzona quindi potresti cercarle di prenderli vivi e l'entusiasmo non ti manca.
Ciao
Mario


Top
profilo
MessaggioInviato: 09/01/2015, 19:54 
Avatar utente

Iscritto il: 09/11/2010, 19:52
Messaggi: 4518
Località: Brescia
Nome: Luca Bodei
Potrebbe fare,come si faceva una volta...spargere delle esche a terra e tener con costanza monitorata la grotta,prima o poi,se non le mangiano topi,potrebbe anche aver fortuna... ;) :hi:

_________________
Tc70


Top
profilo
MessaggioInviato: 09/01/2015, 20:08 
Avatar utente

Iscritto il: 19/09/2009, 22:25
Messaggi: 5912
Località: Brescia
Nome: Vinicio Salami
Andrea Pergine ha scritto:
...Comunque ho dei forti dubbi sulle sinonimie proposte soprattutto fra la forma tipica (grotta di Costalta a circa 1800 m) e gli altri... :oops:
:birra: :birra: :birra:


mi sono letto quello che ha scritto Piva sull'argomento e, controllando i disegni degli edeagi, credo che in Francia non solo non avrebbero sinonimizzato due sottospecie, ma ne avrebbero create delle altre.

:to: :to:


Top
profilo
Visualizza ultimi messaggi:  Ordina per  
nuovo argomento
rispondi
Pagina 1 di 1 [ 11 messaggi ]

Tutti gli orari sono UTC + 1 ora [ ora legale ]


Chi c’è in linea

Visitano il forum: Nessuno e 11 ospiti


Non puoi aprire nuovi argomenti
Non puoi rispondere negli argomenti
Non puoi modificare i tuoi messaggi
Non puoi cancellare i tuoi messaggi
Non puoi inviare allegati

Cerca per:
Vai a: