Forum Entomologi Italiani
http://www.entomologiitaliani.net/public/forum/phpBB3/

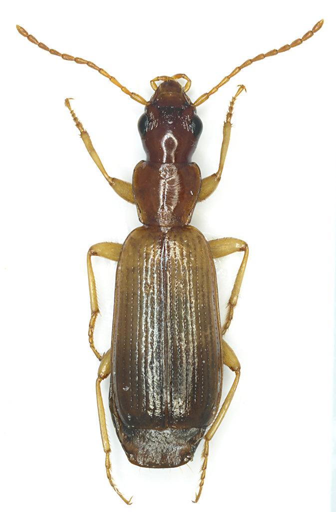
Paradromius (Manodromius) linearis (Olivier, 1795) - Carabidae
http://www.entomologiitaliani.net/public/forum/phpBB3/viewtopic.php?f=143&t=5352
Pagina 1 di 1

Autore:  Julodis [ 12/02/2010, 1:19 ]
Oggetto del messaggio:  Paradromius (Manodromius) linearis (Olivier, 1795) - Carabidae

Ecco un piccolo Carabidae che ho preso l'altro giorno sui Monti della Tolfa, sotto un pezzo di corteccia al suolo (7.II.2010)
lunghezza: 5,5 mm

Carabidae_Tolfa_7-II-2010.jpg



Eccolo anche in natura, piuttosto infreddolito.

Carabidae_Tolfa_7-II-2010_2.jpg


Autore:  Andrea Pergine [ 12/02/2010, 1:30 ]
Oggetto del messaggio:  Re: Carabidae Lazio (Tolfa)

Potrebbe essere il Paradromius linearis..... :? vedi qui: viewtopic.php?f=143&t=2593&hilit=paradromius

:hi: :hi: :hi:

Autore:  Julodis [ 12/02/2010, 1:35 ]
Oggetto del messaggio:  Re: Carabidae Lazio (Tolfa)

In effetti sembrerebbe lui.
Grazie.

Autore:  aug [ 12/02/2010, 8:18 ]
Oggetto del messaggio:  Re: Carabidae Lazio (Tolfa)

E' lui!

Autore:  Julodis [ 12/02/2010, 18:10 ]
Oggetto del messaggio:  Re: Paradromius (Manodromius) linearis (Olivier, 1795). Lazio (Tolfa)

Grazie a tutti. Altro esemplare da togliere dal mucchio degli indeterminati :)

Pagina 1 di 1 Tutti gli orari sono UTC + 1 ora [ ora legale ]
Powered by phpBB® Forum Software © phpBB Group
http://www.phpbb.com/