Benvenuto Ospite

Forum Entomologi Italiani

www.entomologiitaliani.net/forum
 
Oggi è 22/10/2025, 16:39

Tutti gli orari sono UTC + 1 ora [ ora legale ]

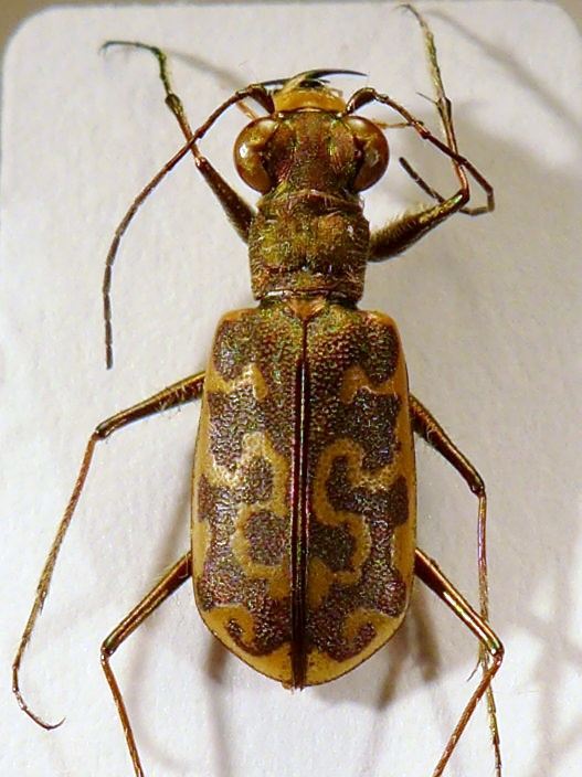
Cicindelidia trifasciata (Fabricius, 1781) - Carabidae

II.1987 - CILE - EE, Coquimbo - Rio Limari


nuovo argomento
rispondi
Pagina 1 di 1 [ 5 messaggi ]
Autore Messaggio
MessaggioInviato: 11/01/2015, 10:22 
Avatar utente

Iscritto il: 23/06/2010, 11:11
Messaggi: 2784
Località: Cagliari
Nome: Gianpaolo Ruzzante
mm 11
Questa può essere la C.trifasciata australis?
aspetto la sentenza :D


L1000023.JPG

Top
profilo
MessaggioInviato: 02/02/2015, 19:49 
Avatar utente

Iscritto il: 23/06/2010, 11:11
Messaggi: 2784
Località: Cagliari
Nome: Gianpaolo Ruzzante
Un parere su questa bestiola...


Top
profilo
MessaggioInviato: 03/02/2015, 19:27 
 

Iscritto il: 24/12/2014, 11:35
Messaggi: 30
Nome: Enrico Strada
Sai la provenienza? So com'è fatta la trifasciata , ma questa mi pare diversa, i disegni sono più regolari nella trifasciata e meno numerosi , penso che anche il colore sia diverso....


Top
profilo
MessaggioInviato: 03/02/2015, 19:29 
 

Iscritto il: 24/12/2014, 11:35
Messaggi: 30
Nome: Enrico Strada
Ho capito cos'è ! Credo si tratti di una "cicindela trisignara trisignata".


Top
profilo
MessaggioInviato: 03/02/2015, 19:36 
Avatar utente

Iscritto il: 01/07/2010, 22:26
Messaggi: 5647
Località: Viterbo
Nome: Marco Selis
BugFan ha scritto:
Ho capito cos'è ! Credo si tratti di una "cicindela trisignara trisignata".


Dubito che una specie mediterranea si trovi in Cile.

Secondo me è proprio la trifasciata, ma di Cicindele non me ne intendo granchè!


Top
profilo
Visualizza ultimi messaggi:  Ordina per  
nuovo argomento
rispondi
Pagina 1 di 1 [ 5 messaggi ]

Tutti gli orari sono UTC + 1 ora [ ora legale ]


Chi c’è in linea

Visitano il forum: Nessuno e 1 ospite


Non puoi aprire nuovi argomenti
Non puoi rispondere negli argomenti
Non puoi modificare i tuoi messaggi
Non puoi cancellare i tuoi messaggi
Non puoi inviare allegati

Cerca per:
Vai a: