| Forum Entomologi Italiani http://www.entomologiitaliani.net/public/forum/phpBB3/ |
|
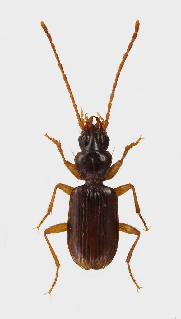
| Thalassophilus longicornis (Sturm, 1825) - Carabidae http://www.entomologiitaliani.net/public/forum/phpBB3/viewtopic.php?f=143&t=61668 |
Pagina 1 di 1 |
| Autore: | magosti [ 20/05/2015, 9:00 ] |
| Oggetto del messaggio: | Thalassophilus longicornis (Sturm, 1825) - Carabidae |
E' la prima volta che mi capita di trovarne più esemplari insieme in un'area di alcuni metri quadrati. Ne ho approfittato per fare una prova con l'obiettivo invertito 3,8 mm |
|
| Autore: | Fabio62 [ 20/05/2015, 10:02 ] |
| Oggetto del messaggio: | Re: Thalassophilus longicornis (Sturm, 1825) - Carabidae |
Bella anche questa foto. Ma cosa intendi per obiettivo invertito ? Io ho 3 esemplari di questa specie, trovati effettivamente tutti e tre in luoghi e tempi diversi
|
|
| Autore: | magosti [ 20/05/2015, 18:42 ] |
| Oggetto del messaggio: | Re: Thalassophilus longicornis (Sturm, 1825) - Carabidae |
Ciao Fabio, vuol dire che ho montato l'obiettivo rovesciato, in questo caso sul soffietto, attraverso un anello di inversione. Ovvero la parte frontale dell'obiettivo rivolta verso il corpo macchina.
|
|
| Autore: | Fabio62 [ 20/05/2015, 22:34 ] |
| Oggetto del messaggio: | Re: Thalassophilus longicornis (Sturm, 1825) - Carabidae |
Ci capisco veramente poco in fotografia... Io ho preso una Coolpix 4500 usata l'anno scorso ma dopo poco ha incominciato ad avere qualche problema ed ora l'ho portata in un centro Nikon. Spero non mi spolpino.. Vorrei veramente cominciare a fare qualche foto anch'io su soggetti preparati. Ho anche preso un adattatore per la Coolpix in modo da agganciarla all'oculare del microscopio. Niente soffietti od altre strumentazioni per il momento, voglio vedere se riesco a fare qualche foto almeno decente tramite il micro, ovviamente solo su soggetti non molto grandi, per me sarebbe già tanto... Ho visto altre tue foto recenti, bellissime...c'è un livello ormai altissimo sul Forum anche a livello fotografico.
|
|
| Pagina 1 di 1 | Tutti gli orari sono UTC + 1 ora [ ora legale ] |
| Powered by phpBB® Forum Software © phpBB Group http://www.phpbb.com/ |
|