Benvenuto Ospite

Forum Entomologi Italiani

www.entomologiitaliani.net/forum
 
Oggi è 23/10/2025, 15:22

Tutti gli orari sono UTC + 1 ora [ ora legale ]

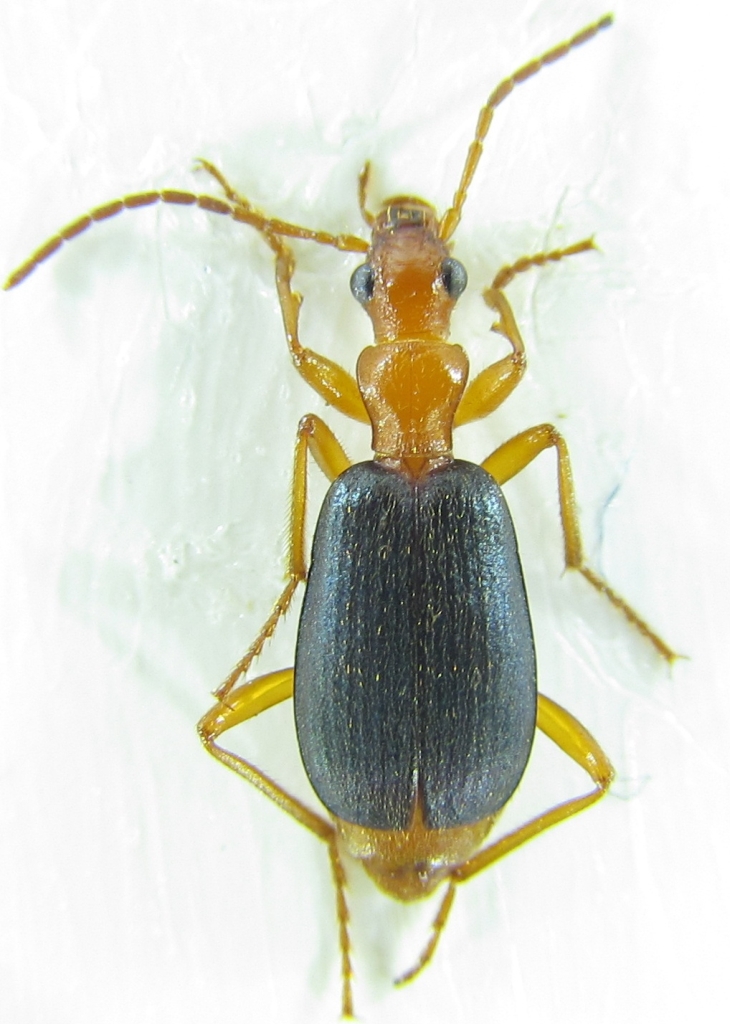
Brachinus (Brachinus) psophia Audinet-Serville, 1821 Dettagli della specie

16.V.2015 - TURCHIA - EE, Esenyurt


nuovo argomento
rispondi
Pagina 1 di 1 [ 7 messaggi ]
Autore Messaggio
MessaggioInviato: 18/05/2015, 10:42 
Avatar utente

Iscritto il: 21/09/2014, 11:55
Messaggi: 1561
Località: Istanbul Turkey
Nome: Barış
??
Size:8 mm


Carabidae sp 8mm 16-05-2015 Ev-2.jpg

Top
profilo
 Oggetto del messaggio: Re: Carabidae? 2
MessaggioInviato: 19/05/2015, 7:29 
Avatar utente

Iscritto il: 21/09/2014, 11:55
Messaggi: 1561
Località: Istanbul Turkey
Nome: Barış
Any ideas?
Brachinus sp?


Top
profilo
 Oggetto del messaggio: Re: Carabidae? 2
MessaggioInviato: 19/05/2015, 8:53 
Avatar utente

Iscritto il: 08/11/2010, 12:40
Messaggi: 1722
Località: Brescia
Nome: Mauro Agosti
Yes, Brachinus sp.
Check if the membranous apical part of the elytrae have a fringe of hairs or not (make a picture if you can) and if this hairs are long and rare or short and dense.
Because it is a male, if you can extract it, it would be great.
:hi:


Top
profilo
 Oggetto del messaggio: Re: Carabidae? 2
MessaggioInviato: 19/05/2015, 10:35 
Avatar utente

Iscritto il: 21/09/2014, 11:55
Messaggi: 1561
Località: Istanbul Turkey
Nome: Barış
I will check at the weekend.
Thank you very much :hp:


Top
profilo
 Oggetto del messaggio: Re: Carabidae? 2
MessaggioInviato: 22/05/2015, 23:39 
Avatar utente

Iscritto il: 21/09/2014, 11:55
Messaggi: 1561
Località: Istanbul Turkey
Nome: Barış
I extracted and it is identical with Brachinus psophia:(You can check it here)
http://www.coleo-net.de/coleo/texte/brachinus.htm


Carabidae sp 8mm 16-05-2015 Ev-(3).jpg

Top
profilo
 Oggetto del messaggio: Re: Carabidae? 2
MessaggioInviato: 23/05/2015, 7:23 
Avatar utente

Iscritto il: 08/11/2010, 12:40
Messaggi: 1722
Località: Brescia
Nome: Mauro Agosti
:ok: It is what I suppose ;)
:hi:


Top
profilo
 Oggetto del messaggio: Re: Carabidae? 2
MessaggioInviato: 23/05/2015, 8:07 
Avatar utente

Iscritto il: 21/09/2014, 11:55
Messaggi: 1561
Località: Istanbul Turkey
Nome: Barış
Thank you very much for help!


Top
profilo
Visualizza ultimi messaggi:  Ordina per  
nuovo argomento
rispondi
Pagina 1 di 1 [ 7 messaggi ]

Tutti gli orari sono UTC + 1 ora [ ora legale ]


Chi c’è in linea

Visitano il forum: Nessuno e 7 ospiti


Non puoi aprire nuovi argomenti
Non puoi rispondere negli argomenti
Non puoi modificare i tuoi messaggi
Non puoi cancellare i tuoi messaggi
Non puoi inviare allegati

Cerca per:
Vai a: