Benvenuto Ospite

Forum Entomologi Italiani

www.entomologiitaliani.net/forum
 
Oggi è 26/10/2025, 14:26

Tutti gli orari sono UTC + 1 ora [ ora legale ]

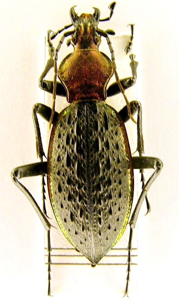
Carabus (Coptolabrus) nankotaizanus Kano, 1932 - Carabidae

6.VI.1973 - TAIWAN, CINA PROVINCIA DI - EE, Taipe


nuovo argomento
rispondi
Pagina 1 di 1 [ 4 messaggi ]
Autore Messaggio
MessaggioInviato: 19/01/2011, 16:08 
Avatar utente

Iscritto il: 09/12/2010, 15:21
Messaggi: 1430
Località: San Giovanni in Marignano (RN)
Nome: Fabio Talamelli
un carabus di Taiwan


carabus 7.doc [171.5 KiB]
Scaricato 172 volte

_________________
Fabio Talamelli
Centro Studi Naturalistici Valconca
talamellif@libero.it
http://www.csnvalconca.it
Tel. 3384150775
Top
profilo
 Oggetto del messaggio: Re: Carabus di Formosa
MessaggioInviato: 13/10/2016, 15:57 
Avatar utente

Iscritto il: 05/02/2009, 17:44
Messaggi: 2682
Località: Garbagnate Milanese
Nome: Augusto Franzini
O è Coptolabrus nankotaizanus Kano, 1932 o...non è di Formosa.
:hi:

_________________
Augusto (aug)
Prediction is very difficult, especially about the future (Niels Bohr, fisico)


Top
profilo
 Oggetto del messaggio: Re: Carabus di Formosa
MessaggioInviato: 14/10/2016, 7:32 
Avatar utente

Iscritto il: 30/12/2009, 22:20
Messaggi: 31564
Località: Roma
Nome: Maurizio Gigli
Trasferisco la foto dal file doc ad immagine jpg, per renderla visibile nel messaggio.

Coptolabrus.jpg



E tolgo la discussione dal limbo dei messaggi senza risposta.

_________________
Maurizio Gigli
http://utenti.romascuola.net/bups
http://bup.xoom.it/


Top
profilo
MessaggioInviato: 14/10/2016, 8:56 
Avatar utente

Iscritto il: 05/02/2009, 17:44
Messaggi: 2682
Località: Garbagnate Milanese
Nome: Augusto Franzini
Beh, questo era facile :to: :to: :to:
:hi:

_________________
Augusto (aug)
Prediction is very difficult, especially about the future (Niels Bohr, fisico)


Top
profilo
Visualizza ultimi messaggi:  Ordina per  
nuovo argomento
rispondi
Pagina 1 di 1 [ 4 messaggi ]

Tutti gli orari sono UTC + 1 ora [ ora legale ]


Chi c’è in linea

Visitano il forum: Nessuno e 8 ospiti


Non puoi aprire nuovi argomenti
Non puoi rispondere negli argomenti
Non puoi modificare i tuoi messaggi
Non puoi cancellare i tuoi messaggi
Non puoi inviare allegati

Cerca per:
Vai a:  
cron