Benvenuto Ospite

Forum Entomologi Italiani

www.entomologiitaliani.net/forum
 
Oggi è 23/10/2025, 7:40

Tutti gli orari sono UTC + 1 ora [ ora legale ]

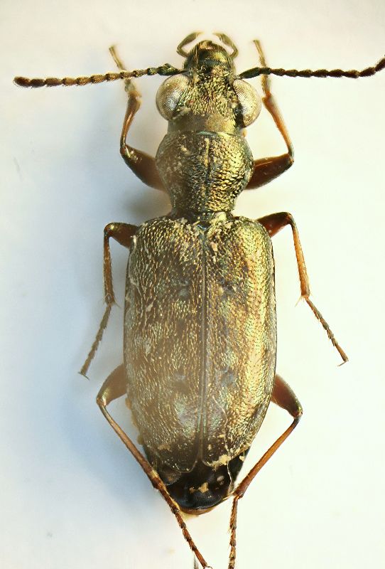
Asaphidion cyanicorne (Pandellé in Grenier, 1867) Dettagli della specie

2008 - ITALIA - Emilia-Romagna - BO, Sasso Marconi, fiume Reno


nuovo argomento
rispondi
Pagina 1 di 1 [ 2 messaggi ]
Autore Messaggio
MessaggioInviato: 21/04/2009, 21:02 
Avatar utente

Iscritto il: 05/02/2009, 17:25
Messaggi: 4894
Località: Zola Predosa (BO)
Nome: Loris Colacurcio
Rinvenuto lo scorso autunno, suuna piccola zona semi-paludosa lungo il fiume Reno. E' interessante segnalare che questa specie la raccolgo solo sull'altra sponda del fiume, che riesco a raggiungere solo in periodo di magra....ovvero quando riesco ad attraversare il fiume a piedi :shock:

Sasso Marconi (BO) - P.zzo Rossi

(Carabidi) Asaphidion cyanicorne.JPG



Loris

_________________
Loris


Top
profilo
MessaggioInviato: 21/04/2009, 22:19 
Avatar utente

Iscritto il: 06/02/2009, 9:03
Messaggi: 6370
Località: Bubano di Mordano (Bologna)
Nome: Augusto Degiovanni
Bello e interessante reperto ;) :ok:

Ciao

_________________
CIAO :hi: Augusto Degiovanni

http://anthicidaeecarabidae.altervista.org


Top
profilo
Visualizza ultimi messaggi:  Ordina per  
nuovo argomento
rispondi
Pagina 1 di 1 [ 2 messaggi ]

Tutti gli orari sono UTC + 1 ora [ ora legale ]


Chi c’è in linea

Visitano il forum: Nessuno e 5 ospiti


Non puoi aprire nuovi argomenti
Non puoi rispondere negli argomenti
Non puoi modificare i tuoi messaggi
Non puoi cancellare i tuoi messaggi
Non puoi inviare allegati

Cerca per:
Vai a:  
cron