Benvenuto Ospite

Forum Entomologi Italiani

www.entomologiitaliani.net/forum
 
Oggi è 26/10/2025, 1:54

Tutti gli orari sono UTC + 1 ora [ ora legale ]

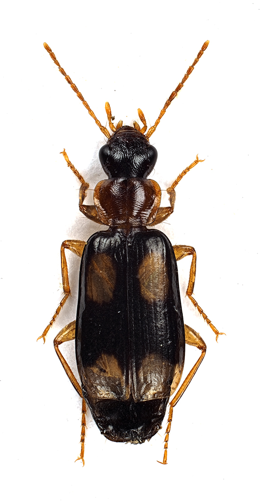
Dromius (Dromius) quadrimaculatus (Linnaeus, 1758) Dettagli della specie

3.VII.2021 - ITALIA - Marche - MC, Torricchio


nuovo argomento
rispondi
Pagina 1 di 1 [ 1 messaggio ]
Autore Messaggio
MessaggioInviato: 08/12/2021, 23:05 
Avatar utente

Iscritto il: 10/05/2009, 15:30
Messaggi: 7182
Località: Ancona
Nome: Giacomo Giovagnoli
Dromius quadrimaculatus (Linnaeus, 1758)

Torricchio (Macerata); 03.VII.2021; numerosi esemplari sotto fasce a margini prato gestito a sfalcio

[grazie zio per le foto!!! :birra: ]

Esemplare1; dimensioni: 6mm
Comb3455cr-35zL6.jpg


Comb3456cr-66zL6.jpg



Esemplare2; dimensioni: 6mm
Comb3582cr-70zL6.jpg



Ciao :)

_________________
Immagine Giacomo


Top
profilo
Visualizza ultimi messaggi:  Ordina per  
nuovo argomento
rispondi
Pagina 1 di 1 [ 1 messaggio ]

Tutti gli orari sono UTC + 1 ora [ ora legale ]


Chi c’è in linea

Visitano il forum: Nessuno e 5 ospiti


Non puoi aprire nuovi argomenti
Non puoi rispondere negli argomenti
Non puoi modificare i tuoi messaggi
Non puoi cancellare i tuoi messaggi
Non puoi inviare allegati

Cerca per:
Vai a: