Benvenuto Ospite

Forum Entomologi Italiani

www.entomologiitaliani.net/forum
 
Oggi è 24/10/2025, 10:57

Tutti gli orari sono UTC + 1 ora [ ora legale ]

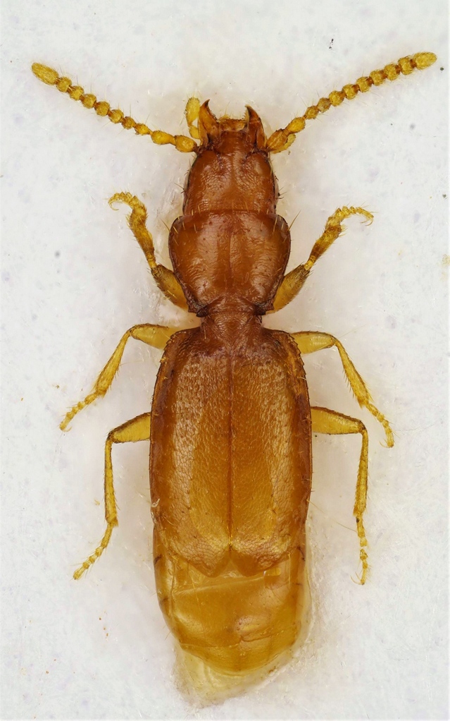
Rhegmatobius fiorii (Ganglbauer, 1900) Dettagli della specie

22.V.2018 - ITALIA - Basilicata - MT, Dint. Accettura (MT) 850 m.,


nuovo argomento
rispondi
Pagina 1 di 1 [ 4 messaggi ]
Autore Messaggio
MessaggioInviato: 27/05/2018, 20:39 
Avatar utente

Iscritto il: 06/02/2009, 9:03
Messaggi: 6370
Località: Bubano di Mordano (Bologna)
Nome: Augusto Degiovanni
Mentre questa è una di quelle specie che mi interessava trovare maggiormente :p , naturalmente versando anche sangue, e dopo molti tentativi è stata trovata :hp:

Lunghezza: 1,45 mm

tn_Rhegm..jpg


_________________
CIAO :hi: Augusto Degiovanni

http://anthicidaeecarabidae.altervista.org


Top
profilo
MessaggioInviato: 27/05/2018, 23:35 
Avatar utente

Iscritto il: 09/11/2010, 19:52
Messaggi: 4518
Località: Brescia
Nome: Luca Bodei
Notoxus59 ha scritto:
Mentre questa è una di quelle specie che mi interessava trovare maggiormente :p , naturalmente versando anche sangue, e dopo molti tentativi è stata trovata :hp:

Lunghezza: 1,45 mm

tn_Rhegm..jpg



Augusto...chapeau...che beeeeelllaaa... :ok:

_________________
Tc70


Top
profilo
MessaggioInviato: 28/05/2018, 19:42 
Avatar utente

Iscritto il: 22/12/2009, 13:31
Messaggi: 9646
Località: Napoli
Nome: Francesco Izzillo
Augusto, siamo stati praticamente nello stesso posto (anche l'altitudine collima) a 10 gg di distanza (io intorno al 10 u.s.).

_________________
Francesco Izzillo


Top
profilo
MessaggioInviato: 29/05/2018, 20:45 
Avatar utente

Iscritto il: 06/02/2009, 9:03
Messaggi: 6370
Località: Bubano di Mordano (Bologna)
Nome: Augusto Degiovanni
Tc70 ha scritto:
Notoxus59 ha scritto:
Mentre questa è una di quelle specie che mi interessava trovare maggiormente :p , naturalmente versando anche sangue, e dopo molti tentativi è stata trovata :hp:

Lunghezza: 1,45 mm

tn_Rhegm..jpg



Augusto...chapeau...che beeeeelllaaa... :ok:


è si questa è veramente una bella bestia, perché se ne conoscevano solo 6 esemplari ;)

f.izzillo ha scritto:
Augusto, siamo stati praticamente nello stesso posto (anche l'altitudine collima) a 10 gg di distanza (io intorno al 10 u.s.).


Ciao Francesco, ma pensa :D però tu sicuramente a scrutare alberi o a sfalciare, io a sollevare massi :mrgreen: la mia è un poco più faticosa :lol:

_________________
CIAO :hi: Augusto Degiovanni

http://anthicidaeecarabidae.altervista.org


Top
profilo
Visualizza ultimi messaggi:  Ordina per  
nuovo argomento
rispondi
Pagina 1 di 1 [ 4 messaggi ]

Tutti gli orari sono UTC + 1 ora [ ora legale ]


Chi c’è in linea

Visitano il forum: Nessuno e 6 ospiti


Non puoi aprire nuovi argomenti
Non puoi rispondere negli argomenti
Non puoi modificare i tuoi messaggi
Non puoi cancellare i tuoi messaggi
Non puoi inviare allegati

Cerca per:
Vai a: