Benvenuto Ospite

Forum Entomologi Italiani

www.entomologiitaliani.net/forum
 
Oggi è 09/10/2025, 22:15

Tutti gli orari sono UTC + 1 ora [ ora legale ]

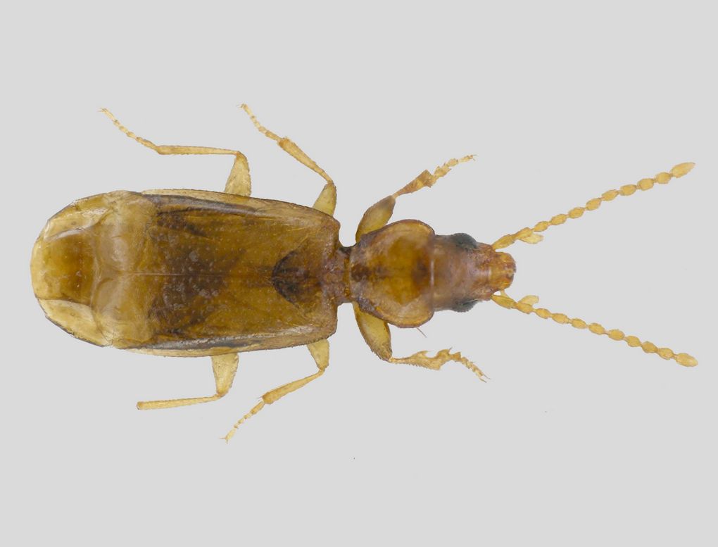
Lymnastis galilaeus Piochard de la Brûlerie, 1876 Dettagli della specie

4.XI.2010 - ITALIA - Toscana - PI, Gombo, San Rossore (Pisa)


nuovo argomento
rispondi
Pagina 1 di 1 [ 3 messaggi ]
Autore Messaggio
MessaggioInviato: 09/11/2010, 22:13 
Avatar utente

Iscritto il: 06/02/2009, 9:03
Messaggi: 6363
Località: Bubano di Mordano (Bologna)
Nome: Augusto Degiovanni
Ecco la chicca, anche se era un'altra specie quella che cercavo

TOSCANA: Gombo, San Rossore (Pisa), 04.XI.2010, leg. A. Degiovanni

Lunghezza: 2 mm

11.jpg


_________________
CIAO :hi: Augusto Degiovanni

http://anthicidaeecarabidae.altervista.org


Top
profilo
MessaggioInviato: 10/11/2010, 9:42 
Avatar utente

Iscritto il: 05/02/2009, 17:44
Messaggi: 2681
Località: Garbagnate Milanese
Nome: Augusto Franzini
Wow :shock: :shock: :p :hp:

_________________
Augusto (aug)
Prediction is very difficult, especially about the future (Niels Bohr, fisico)


Top
profilo
MessaggioInviato: 17/02/2011, 13:03 
Avatar utente

Iscritto il: 12/07/2010, 15:33
Messaggi: 2311
Località: Casale Marittimo (PI)
Nome: Stefano Cosimi
Augusto quando vieni a cercare queste chicche fai un fischio che ti accompagno!!!! ;)

_________________
Stefano Cosimi


Top
profilo
Visualizza ultimi messaggi:  Ordina per  
nuovo argomento
rispondi
Pagina 1 di 1 [ 3 messaggi ]

Tutti gli orari sono UTC + 1 ora [ ora legale ]


Chi c’è in linea

Visitano il forum: Nessuno e 4 ospiti


Non puoi aprire nuovi argomenti
Non puoi rispondere negli argomenti
Non puoi modificare i tuoi messaggi
Non puoi cancellare i tuoi messaggi
Non puoi inviare allegati

Cerca per:
Vai a: