Benvenuto Ospite

Forum Entomologi Italiani

www.entomologiitaliani.net/forum
 
Oggi è 08/10/2025, 15:54

Tutti gli orari sono UTC + 1 ora [ ora legale ]

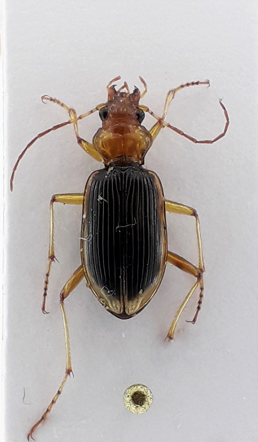
Nebria (Eunebria) psammodes (P. Rossi, 1792) - Carabidae

26.IV.2019 - ITALIA - Toscana - MS, Lungo Frigido


nuovo argomento
rispondi
Pagina 1 di 1 [ 3 messaggi ]
Autore Messaggio
MessaggioInviato: 02/12/2019, 19:23 
Avatar utente

Iscritto il: 22/01/2019, 15:55
Messaggi: 312
Località: Massa (MS)
Nome: Francesco Adamo
Buonasera a tutti! E' possibile determinare la specie di questo carabide? Lunghezza circa 14. Trovato sotto una pietra vicino all'argine del fiume. Grazie.


1.jpg


_________________
Francesco
Top
profilo
 Oggetto del messaggio: Re: Carabidae da identificare
MessaggioInviato: 02/12/2019, 19:27 
Avatar utente

Iscritto il: 09/11/2010, 19:52
Messaggi: 4518
Località: Brescia
Nome: Luca Bodei
Nebria psammodes ;)

_________________
Tc70


Ultima modifica di Tc70 il 02/12/2019, 19:30, modificato 1 volta in totale.

Top
profilo
 Oggetto del messaggio: Re: Carabidae da identificare
MessaggioInviato: 02/12/2019, 19:29 
Avatar utente

Iscritto il: 22/01/2019, 15:55
Messaggi: 312
Località: Massa (MS)
Nome: Francesco Adamo
Che velocita! Grazie mille! :D

_________________
Francesco


Top
profilo
Visualizza ultimi messaggi:  Ordina per  
nuovo argomento
rispondi
Pagina 1 di 1 [ 3 messaggi ]

Tutti gli orari sono UTC + 1 ora [ ora legale ]


Chi c’è in linea

Visitano il forum: Nessuno e 6 ospiti


Non puoi aprire nuovi argomenti
Non puoi rispondere negli argomenti
Non puoi modificare i tuoi messaggi
Non puoi cancellare i tuoi messaggi
Non puoi inviare allegati

Cerca per:
Vai a: