Forum Entomologi Italiani
http://www.entomologiitaliani.net/public/forum/phpBB3/

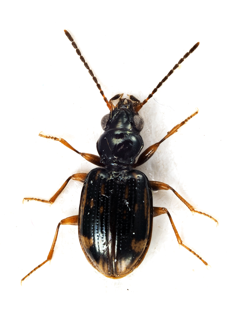
Bembidion (Trepanes) octomaculatum (Goeze, 1777) - Carabidae
http://www.entomologiitaliani.net/public/forum/phpBB3/viewtopic.php?f=143&t=88405
Pagina 1 di 1

Autore:  StagBeetle [ 11/02/2020, 23:33 ]
Oggetto del messaggio:  Bembidion (Trepanes) octomaculatum (Goeze, 1777) - Carabidae

Trepanes (Trepanes) octomaculatus (Goeze, 1777).

Lago di Doberdò (Gorizia); 23.VIII.2018; lg. Magredi

[grazie zio per le foto!!! :birra: ]

Esemplare 1; dimensioni: 3mm
Comb2951-25zL3cr.jpg


Comb2952-85zL3cr.jpg



Esemplare 2; dimensioni: 3mm
Comb2965-26zL3cr.jpg


Comb2966-45zL3cr.jpg



Ciao :)

Pagina 1 di 1 Tutti gli orari sono UTC + 1 ora [ ora legale ]
Powered by phpBB® Forum Software © phpBB Group
http://www.phpbb.com/