Benvenuto Ospite

Forum Entomologi Italiani

www.entomologiitaliani.net/forum
 
Oggi è 16/12/2025, 21:28

Tutti gli orari sono UTC + 1 ora [ ora legale ]

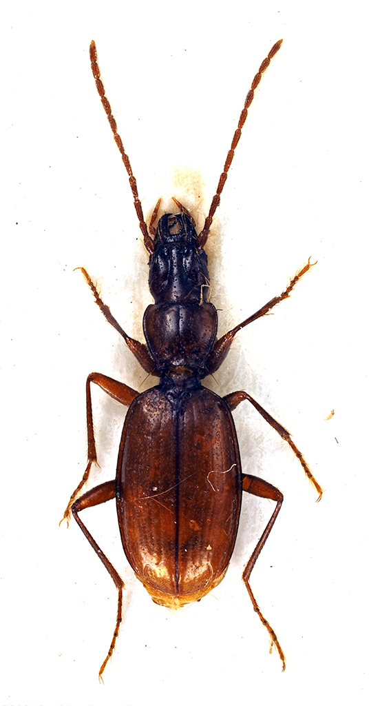
Boldoriella (Boldoriella) humeralis (Dodero, 1924) Dettagli della specie

23.II.2013 - ITALIA - Lombardia - BS, Bus del Gas, Paitone


nuovo argomento
rispondi
Pagina 1 di 1 [ 1 messaggio ]
Autore Messaggio
MessaggioInviato: 03/03/2020, 20:37 
Avatar utente

Iscritto il: 10/05/2009, 15:30
Messaggi: 7182
Località: Ancona
Nome: Giacomo Giovagnoli
Boldoriella humeralis Dodero, 1924.

Bus del Gas, Paitone (Brescia); 23.II.2013; lg. M. Grottolo :lov1:

[grazie zio per le foto!!! :birra: ]

Dimensioni: 6mm
Comb2977-25zL6cr.jpg


Comb2978-44zL6cr.jpg



Ciao :)

_________________
Immagine Giacomo


Top
profilo
Visualizza ultimi messaggi:  Ordina per  
nuovo argomento
rispondi
Pagina 1 di 1 [ 1 messaggio ]

Tutti gli orari sono UTC + 1 ora [ ora legale ]


Chi c’è in linea

Visitano il forum: Nessuno e 3 ospiti


Non puoi aprire nuovi argomenti
Non puoi rispondere negli argomenti
Non puoi modificare i tuoi messaggi
Non puoi cancellare i tuoi messaggi
Non puoi inviare allegati

Cerca per:
Vai a: