Benvenuto Ospite

Forum Entomologi Italiani

www.entomologiitaliani.net/forum
 
Oggi è 08/10/2025, 11:13

Tutti gli orari sono UTC + 1 ora [ ora legale ]

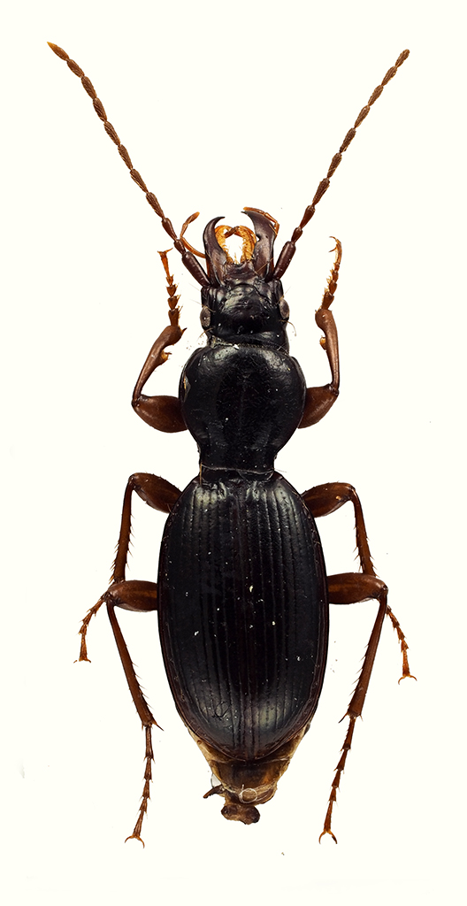
Stomis (Stomis) rostratus ceresae Schatzmayr, 1925 Dettagli della specie

VII.2020 - ITALIA - Trentino-Alto Adige - TN, Folgaria


nuovo argomento
rispondi
Pagina 1 di 1 [ 1 messaggio ]
Autore Messaggio
MessaggioInviato: 03/05/2021, 18:41 
Avatar utente

Iscritto il: 10/05/2009, 15:30
Messaggi: 7182
Località: Ancona
Nome: Giacomo Giovagnoli
Stomis (Stomis) rostratus ceresae Schatzmayr, 1925.

Folgaria (Trento); VII.2020

[grazie zio per le foto!!! :birra: ]

Dimensioni: 8mm
Comb3276-23zL6cr.jpg


Comb3277-88zL6cr.jpg



Ciao :)

_________________
Immagine Giacomo


Top
profilo
Visualizza ultimi messaggi:  Ordina per  
nuovo argomento
rispondi
Pagina 1 di 1 [ 1 messaggio ]

Tutti gli orari sono UTC + 1 ora [ ora legale ]


Chi c’è in linea

Visitano il forum: Nessuno e 4 ospiti


Non puoi aprire nuovi argomenti
Non puoi rispondere negli argomenti
Non puoi modificare i tuoi messaggi
Non puoi cancellare i tuoi messaggi
Non puoi inviare allegati

Cerca per:
Vai a: