Benvenuto Ospite

Forum Entomologi Italiani

www.entomologiitaliani.net/forum
 
Oggi è 25/10/2025, 3:06

Tutti gli orari sono UTC + 1 ora [ ora legale ]

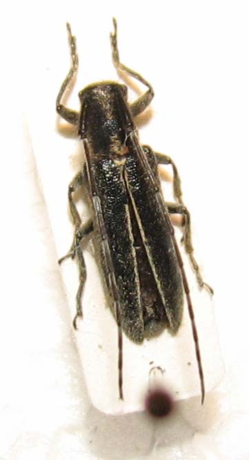
Agapanthia (Agapanthia) cardui (Linnaeus, 1767) Dettagli della specie

7.VI.2014 - ITALIA - Toscana - FI, Passo Giogo - Scarperia


nuovo argomento
rispondi
Pagina 1 di 1 [ 3 messaggi ]
Autore Messaggio
MessaggioInviato: 26/10/2014, 11:42 
 

Iscritto il: 17/05/2014, 20:49
Messaggi: 375
Località: Prato
Nome: Daniele Totis
E questa quale potrebbe essere. Foto non eccelsa ma non posso per ora meglio di così..
mm 12
Grazie.


002.jpg

Top
profilo
 Oggetto del messaggio: Re: abcora agapanthia sp.
MessaggioInviato: 26/10/2014, 12:15 
Avatar utente

Iscritto il: 01/11/2010, 21:21
Messaggi: 2106
Località: Brescia
Nome: Mario Grottolo
Agapanthia cardui


Top
profilo
 Oggetto del messaggio: Re: ancora agapanthia sp.
MessaggioInviato: 26/10/2014, 16:36 
 

Iscritto il: 17/05/2014, 20:49
Messaggi: 375
Località: Prato
Nome: Daniele Totis
Grazie !

:birra:


Top
profilo
Visualizza ultimi messaggi:  Ordina per  
nuovo argomento
rispondi
Pagina 1 di 1 [ 3 messaggi ]

Tutti gli orari sono UTC + 1 ora [ ora legale ]


Chi c’è in linea

Visitano il forum: Nessuno e 9 ospiti


Non puoi aprire nuovi argomenti
Non puoi rispondere negli argomenti
Non puoi modificare i tuoi messaggi
Non puoi cancellare i tuoi messaggi
Non puoi inviare allegati

Cerca per:
Vai a: