| Autore |
Messaggio |
|
Dave
|
Inviato: 30/01/2011, 17:33 |
|
Iscritto il: 30/01/2011, 14:03 Messaggi: 62 Località: Czech Rep.
Nome: David Navrátil
|
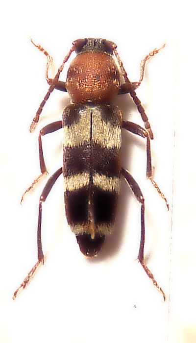
Greet all. I´am new on this splendid forum.My name is David Navrátil and collect Cerambycidae. Please of your determiner. My tip is Chlorophorus robustior Pic, 1900 loc. Turkey central, Refahyie env. 6.7.2006 , size 7mm Thanks, David.
|
|
| Top |
|
 |
|
Isotomus
|
Inviato: 30/01/2011, 18:25 |
|
Iscritto il: 05/09/2009, 7:56 Messaggi: 3445 Località: Cesena
Nome: Gianfranco Sama
|
Welcome in this Forum, David Difficile da dirsi con una fotografia, ma, per la banda elitrale postmediana concava al margine anteriore direi piuttosto Chlorophorus niehuisi Adlbauer, 1992It is hard to say on this group through a photograph but, because of the postmedian band on elytra concave on its anterior margin, I would say Chlorophorus niehuisi Adlbauer, 1992. But better to have more opinions. Here the original description
Adlbauer_1992_Turkey.pdf [1.39 MiB]
Scaricato 156 volte
_________________ Gianfranco Sama
"Benedetto colui che ti aiuta a correggere i tuoi errori invece di scagliarteli contro" ___________________________________ Gershom Sholem
|
|
| Top |
|
 |
|
Dave
|
Inviato: 30/01/2011, 18:53 |
|
Iscritto il: 30/01/2011, 14:03 Messaggi: 62 Località: Czech Rep.
Nome: David Navrátil
|
Gianfranco,thank you for your opinion. Ch. niehuisi has on forehead lustrous transverse belt . On photo this wrapper is missing. best regarts, David
|
|
| Top |
|
 |
|
Isotomus
|
Inviato: 30/01/2011, 19:59 |
|
Iscritto il: 05/09/2009, 7:56 Messaggi: 3445 Località: Cesena
Nome: Gianfranco Sama
|
David Navrátil ha scritto: Gianfranco,thank you for your opinion. Ch. niehuisi has on forehead lustrous transverse belt . On photo this wrapper is missing. best regarts, David Sure, I have seen it, but your alternative is C. robustior, which, however has the postmedian band straight on the anterior margin. However, are these characters always valid or can they vary 
_________________ Gianfranco Sama
"Benedetto colui che ti aiuta a correggere i tuoi errori invece di scagliarteli contro" ___________________________________ Gershom Sholem
|
|
| Top |
|
 |
|
Dave
|
Inviato: 30/01/2011, 21:59 |
|
Iscritto il: 30/01/2011, 14:03 Messaggi: 62 Località: Czech Rep.
Nome: David Navrátil
|
|
| Top |
|
 |
|
Phytoecia
|
Inviato: 30/01/2011, 22:15 |
|
Iscritto il: 28/07/2010, 11:11 Messaggi: 235 Località: Poland
Nome: Jacek Kurzawa
|
|
It seems to me that this is Chlorophorus robustior Pic, 1900.
It can't be Ch.niehuisi because dorsal transversal bands to front edge are NOT concave but straight.
In Adlbauer (1992) in key: .... Querbinde am Vorderrand fast gerade und gleich breit . . .Ch.robustior Pic, 1900 it looks as the same.
|
|
| Top |
|
 |
|
Xylosteus
|
Inviato: 31/01/2011, 11:13 |
|
Iscritto il: 13/09/2009, 18:04 Messaggi: 881
Nome: Pierpaolo Rapuzzi
|
|
In my opinion it is Chlorophorus robustior Pic, 1900. The first band in robustior is wider and transverse as in the specimens posted here. We collected Chlorophorus robustior in the same area last year too. Pierpaolo
|
|
| Top |
|
 |
|
Isotomus
|
Inviato: 31/01/2011, 11:43 |
|
Iscritto il: 05/09/2009, 7:56 Messaggi: 3445 Località: Cesena
Nome: Gianfranco Sama
|
 Ubi major ... 
_________________ Gianfranco Sama
"Benedetto colui che ti aiuta a correggere i tuoi errori invece di scagliarteli contro" ___________________________________ Gershom Sholem
|
|
| Top |
|
 |
|
aphodius
|
Inviato: 31/01/2011, 17:38 |
|
Iscritto il: 16/09/2009, 22:40 Messaggi: 599 Località: Czech Republic
|
Dave ha scritto: Greet all. I´am new on this splendid forum.My name is David Navrátil and collect Cerambycidae. Zdar Dejve, no konečně! Tož vítaj! Super!!! 
_________________ Daniel
Ἦν τὸ φῶς τὸ ἀληθινόν, ὃ φωτίζει πάντα ἄνθρωπον, ἐρχόμενον εἰς τὸν κόσμον. (ΚΑΤΑ ΙΩΑΝΝΗΝ, 1,9)
|
|
| Top |
|
 |
|
Dave
|
Inviato: 31/01/2011, 18:28 |
|
Iscritto il: 30/01/2011, 14:03 Messaggi: 62 Località: Czech Rep.
Nome: David Navrátil
|
Ahoj Dane, jak se máš!  Taky jsem rád, že jsem se sem konečně odhodlal přihlásit a jsem nadšený!  Dave 
|
|
| Top |
|
 |
|
Isotomus
|
Inviato: 31/01/2011, 18:57 |
|
Iscritto il: 05/09/2009, 7:56 Messaggi: 3445 Località: Cesena
Nome: Gianfranco Sama
|
Per un attimo ho avuto l'impressione di essere capitato sul forum ceco Mi aspetto una doverosa rimostranza di Dobodervus Tranquillo Alberto , è solo uno scambio di convenevoli Uno dice "Ciao Dave, finalmente! Benvenuto qui i! Super! (??) L'altro risponde: "Ciao Dan, come stai! Inoltre, sono contento che alla fine ho deciso di fare il login e sono entusiasta! Dave " 
_________________ Gianfranco Sama
"Benedetto colui che ti aiuta a correggere i tuoi errori invece di scagliarteli contro" ___________________________________ Gershom Sholem
|
|
| Top |
|
 |
|
Plagionotus
|
Inviato: 31/01/2011, 19:03 |
|
Iscritto il: 21/05/2009, 14:59 Messaggi: 6994 Località: Parigi
Nome: Riccardo Poloni
|
|
_________________ Riccardo Poloni La dignità degli elementi la libertà della poesia, al di là dei tradimenti degli uomini è magia, è magia, è magia... Negrita, Rotolando verso sud
|
|
| Top |
|
 |
|
Trichoferus
|
Inviato: 31/01/2011, 21:00 |
|
Iscritto il: 18/09/2009, 17:23 Messaggi: 217 Località: Czech rep.
Nome: Jan Hrbek
|
Benvenuti ragazzi noi preferiamo italiano 
_________________ Cerambycidae of Western palearctic region http://www.cerambycidae-hrbek.cz
|
|
| Top |
|
 |
|
Hesperophanes
|
Inviato: 31/01/2011, 21:18 |
|
Iscritto il: 04/01/2011, 22:14 Messaggi: 4 Località: Zlín, Moravia, Česká republika
Nome: Martin Kröner
|
Gianfranco Hai ragione, c'è una vista sul forum un sacco di cechi e ammiratori della famiglia Cerambycidae. Dave (David) è per me come un "asso di picche" o "Fox siti Cerambycidae", l'uomo ha talento. David, che voi stessi presi i pezzi in Turchia? Chlorophorus robustior Pic, 1900 è sul web molto sulle immagini per vedere. Ancora un altro Chlorophorus, che ho visto. Máš pravdu Gianfranco, je tu k potkání na fóru hodně čechů a obdivovatelů čeledi Cerambycidae. Dave (David) je pro mě takové "pikové eso" či "liška lokalit Cerambycidae", má talent ten pán. Davide, to jsi chytal sám ty kusy v Turecku? Chlorophorus robustior Pic, 1900 není na webu moc na fotkách k vidění. Zase další Chlorophorus, kterého jsem zatím neviděl. 
|
|
| Top |
|
 |
|
Dave
|
Inviato: 31/01/2011, 23:22 |
|
Iscritto il: 30/01/2011, 14:03 Messaggi: 62 Località: Czech Rep.
Nome: David Navrátil
|
|
Martin, determina Cerambycidae Centrotoma per un collega ed i pezzi sono Chlorophorus dalla Turchia. Ho determinato il campo è la chiave per Adlbauer e giunse alla conclusione che si tratta di unChlorophorus robustior. Purtroppo, non ho materiale di riferimento e così ho chiesto di confermare o smentire la mia determinazione.
Martine, determinuji tesaříky pro kolegu Centrutoma a mezi kusy ,které mi dal jsou i tito Chlorophorus z Turecka. Určoval jsem je pole klíče od Adlbauer a došel jsem k názoru že se jedná o Chlorophorus robustior. Bohužel nemám srovnávací materiál a tak jsem poprosil o potvrzení nebo vyvrácení mé determinace.
|
|
| Top |
|
 |
|