| Autore |
Messaggio |
|
Isotomus
|
Inviato: 17/08/2011, 15:26 |
|
Iscritto il: 05/09/2009, 7:56 Messaggi: 3445 Località: Cesena
Nome: Gianfranco Sama
|
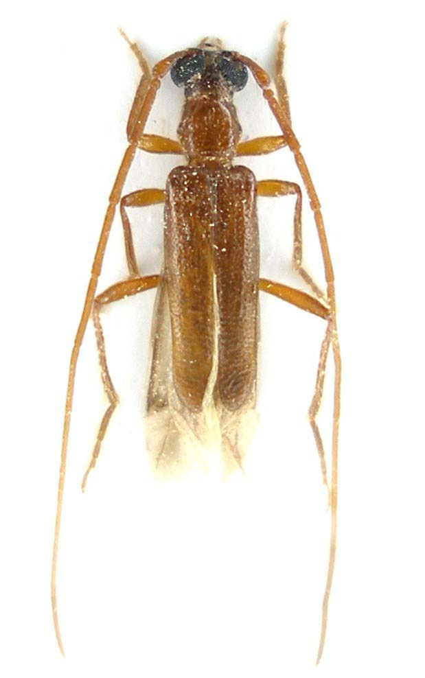
Bolivarita oculata Escalera, 1914Endemismo marocchino, una delle più grandi rarità fra i Cerambycidae della fauna paleartica. L'esemplare raffigurato, una femmina, è sfarfallato ieri (quasi un regalo di compleanno) da un rametto morto di Argania spinosa (L.) Skeels di cui è parassita specifico. Tanto l'insetto, quanto la sua pianta ospite sono endemismi del Marocco ed abitano la regione attorno ad Agadir, dalle pendici sud occidentali dell'Alto Atlante al versante nord occidentale dell'Anti Atlante. Suoi parenti prossimi abitano il deserto del Negev in Israele (Pseudobolivarita negevensis Sama & Orbach, 2003) e l’Africa meridionale. Sfarfalla a fine estate ed è soggetto a fototropismo positivo.
_________________ Gianfranco Sama
"Benedetto colui che ti aiuta a correggere i tuoi errori invece di scagliarteli contro" ___________________________________ Gershom Sholem
|
|
| Top |
|
 |
|
Mimmo011
|
Inviato: 17/08/2011, 15:56 |
|
Iscritto il: 08/07/2010, 10:53 Messaggi: 3171 Località: Matera
Nome: Domenico Cardinale
|
Grazie Gianfranco per le foto e le interessanti notizie! 
_________________ Saluti Mimmo
|
|
| Top |
|
 |
|
f.izzillo
|
Inviato: 17/08/2011, 19:33 |
|
Iscritto il: 22/12/2009, 13:31 Messaggi: 9646 Località: Napoli
Nome: Francesco Izzillo
|
Isotomus ha scritto: Bolivarita oculata Escalera, 1914Endemismo marocchino, una delle più grandi rarità fra i Cerambycidae della fauna paleartica. L'esemplare raffigurato, una femmina, è sfarfallato ieri ( quasi un regalo di compleanno) da un rametto morto di Argania spinosa (L.) Skeels di cui è parassita specifico. Tanto l'insetto, quanto la sua pianta ospite sono endemismi del Marocco ed abitano la regione attorno ad Agadir, dalle pendici sud occidentali dell'Alto Atlante al versante nord occidentale dell'Anti Atlante. Suoi parenti prossimi abitano il deserto del Negev in Israele (Pseudobolivarita negevensis Sama & Orbach, 2003) e l’Africa meridionale. Sfarfalla a fine estate ed è soggetto a fototropismo positivo. Bolivarita oculata_female_001-bis.jpg Bolivarita oculata_female_019.jpg Bolivarita oculata_female_Agadir_031.jpg Bolivarita oculata_female_Agadir_045.jpg ...e allora DOPPI AUGURI!
_________________ Francesco Izzillo
|
|
| Top |
|
 |
|
ruzzpa
|
Inviato: 17/08/2011, 22:08 |
|
Iscritto il: 23/06/2010, 11:11 Messaggi: 2784 Località: Cagliari
Nome: Gianpaolo Ruzzante
|
|
Sembra molto piccino ....
|
|
| Top |
|
 |
|
Dilar
|
Inviato: 17/08/2011, 23:15 |
|
Iscritto il: 06/02/2009, 9:07 Messaggi: 1706 Località: W-Mediterraneo
Nome: Davide Badano
|
La regione di Agadir si conferma sempre paradiso entomologico ricco di specie interessanti  , noi abbiamo in descrizione una specie "equivalente" a questa... Questi endemismi sono probabilmente dovuti al fatto che si tratta di un area di passaggio tra il W-Paleartico e l'Afrotropicale. 
|
|
| Top |
|
 |
|
Mikiphasmide
|
Inviato: 17/08/2011, 23:22 |
|
Iscritto il: 21/02/2011, 15:25 Messaggi: 3877 Località: Montecchio Emilia (RE)
Nome: Violi Michele
|
_________________ Michele 
|
|
| Top |
|
 |
|
Pippistrello
|
Inviato: 17/08/2011, 23:37 |
|
Iscritto il: 18/06/2010, 0:03 Messaggi: 1214 Località: Predore ( BG)
Nome: Claudio Deiaco
|
Complimentoni Gianfranco e tanti auguri !! 
_________________ Claudio Deiaco _____________________________________
|
|
| Top |
|
 |
|
Isotomus
|
Inviato: 18/08/2011, 8:44 |
|
Iscritto il: 05/09/2009, 7:56 Messaggi: 3445 Località: Cesena
Nome: Gianfranco Sama
|
In effetti ho dimenticato di indicare le dimensioni. 7 - 9 mm. La specie è relativamente piccola, ma soprattutto di colore quasi diafano ed estremamente mimetica, il che rende difficile (almeno con i miei mezzi, una piccola, ma validissima Olympus PS 320) soprattutto le foto in natura. Oltretutto si muove velocemente e freneticamente (non sta ferma un attimo) (solo con molta pazienza ho potuto approfittare di un paio di minuti di quiete), "odia" la luce (di giorno; di notte ne è attirata) e si riempie di polvere. Si sviluppa nei rametti secchi di Argania spinosa attaccati alle piante vive o caduti a terra perché urtati dalle capre che si arrampicano sulle piante per mangiare i frutti (simili alle olive) dell'Argania. Chi è stato in quella regione le avrà viste certamente (se non altro nelle cartoline illustrate). E' estremamente raro (non si vedono) trovare in allevamento esemplari vivi ed integri. Normalmente si trovano esemplari morti e mutilati. Assieme a questa femmina c'erano i resti di un paio di maschi morti. Grazie a tutti per gli auguri 
_________________ Gianfranco Sama
"Benedetto colui che ti aiuta a correggere i tuoi errori invece di scagliarteli contro" ___________________________________ Gershom Sholem
|
|
| Top |
|
 |
|
Isotomus
|
Inviato: 18/08/2011, 8:49 |
|
Iscritto il: 05/09/2009, 7:56 Messaggi: 3445 Località: Cesena
Nome: Gianfranco Sama
|
Dilar ha scritto: La regione di Agadir si conferma sempre paradiso entomologico ricco di specie interessanti  , noi abbiamo in descrizione una specie "equivalente" a questa... Questi endemismi sono probabilmente dovuti al fatto che si tratta di un area di passaggio tra il W-Paleartico e l'Afrotropicale.  Nella stessa regione si trovano altre belle specie: Crossotus tubericollis (specie africana che risale fino al Marocco meridionale dove si sviluppa su Acacia gummifera (specie endemica del Marocco), Nathrius berlandi (endemica di questa zona), Derolus mauritanicus, 2 specie di Trichoferus endemici del Marocco, Tetropiopsis numidica (anch'essa endemica, ma dell'Africa settentrionale), Agapanthia zappii (endemica), ecc. ecc.
_________________ Gianfranco Sama
"Benedetto colui che ti aiuta a correggere i tuoi errori invece di scagliarteli contro" ___________________________________ Gershom Sholem
|
|
| Top |
|
 |
|
Trichoferus
|
Inviato: 18/08/2011, 12:50 |
|
Iscritto il: 18/09/2009, 17:23 Messaggi: 217 Località: Czech rep.
Nome: Jan Hrbek
|
|
E isole di Capo Verde? Regione paleartica, o non più? Vi sono raccolti alcuni insetti?
_________________ Cerambycidae of Western palearctic region http://www.cerambycidae-hrbek.cz
|
|
| Top |
|
 |
|
Maurizio Bollino
|
Inviato: 18/08/2011, 13:09 |
|
Iscritto il: 25/11/2009, 9:31 Messaggi: 8157 Località: Lecce
Nome: Maurizio Bollino
|
Trichoferus ha scritto: E isole di Capo Verde? Regione paleartica, o non più? Vi sono raccolti alcuni insetti? Se ricordo bene (vado a memoria...), le isole di Capo Verde sono considerate parte della regione afrotropicale, e non sono mai state incluse nella regione paleartica.
_________________ Maurizio Bollino
|
|
| Top |
|
 |
|
Entomarci
|
Inviato: 18/08/2011, 13:41 |
|
Iscritto il: 05/08/2009, 18:02 Messaggi: 2264
Nome: Marcello Benelli
|
Isotomus ha scritto: Grazie a tutti per gli auguri  mi associo agli auguri! 
_________________ Marci "S'i fosse fuoco, arderei 'l mondo, S'i fosse vento, lo tempesterei, S'i fosse acqua, i' l'annegherei s'i fosse dio, mandereil' en profondo" ( Cecco Angiolieri).
|
|
| Top |
|
 |
|
Dilar
|
Inviato: 18/08/2011, 13:55 |
|
Iscritto il: 06/02/2009, 9:07 Messaggi: 1706 Località: W-Mediterraneo
Nome: Davide Badano
|
Isotomus ha scritto: Dilar ha scritto: La regione di Agadir si conferma sempre paradiso entomologico ricco di specie interessanti  , noi abbiamo in descrizione una specie "equivalente" a questa... Questi endemismi sono probabilmente dovuti al fatto che si tratta di un area di passaggio tra il W-Paleartico e l'Afrotropicale.  Nella stessa regione si trovano altre belle specie: Crossotus tubericollis (specie africana che risale fino al Marocco meridionale dove si sviluppa su Acacia gummifera (specie endemica del Marocco), Nathrius berlandi (endemica di questa zona), Derolus mauritanicus, 2 specie di Trichoferus endemici del Marocco, Tetropiopsis numidica (anch'essa endemica, ma dell'Africa settentrionale), Agapanthia zappii (endemica), ecc. ecc. Per i Neurotteri é proprio la stessa cosa!
|
|
| Top |
|
 |
|
Isotomus
|
Inviato: 18/08/2011, 14:34 |
|
Iscritto il: 05/09/2009, 7:56 Messaggi: 3445 Località: Cesena
Nome: Gianfranco Sama
|
Le Isole capoboverdiane sono fuori dalla regione paleartica  Ma c'è un solo Cerambicide autoctono.
_________________ Gianfranco Sama
"Benedetto colui che ti aiuta a correggere i tuoi errori invece di scagliarteli contro" ___________________________________ Gershom Sholem
|
|
| Top |
|
 |
|
Isotomus
|
Inviato: 18/08/2011, 17:21 |
|
Iscritto il: 05/09/2009, 7:56 Messaggi: 3445 Località: Cesena
Nome: Gianfranco Sama
|
Ed ecco il maschio, recuperato fortunosamente intatto fra i cadaveri in fondo al vaso.
_________________ Gianfranco Sama
"Benedetto colui che ti aiuta a correggere i tuoi errori invece di scagliarteli contro" ___________________________________ Gershom Sholem
|
|
| Top |
|
 |
|