Forum Entomologi Italiani
http://www.entomologiitaliani.net/public/forum/phpBB3/

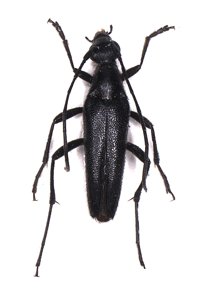
Stenurella nigra (Linnaeus, 1758) - Cerambycidae
http://www.entomologiitaliani.net/public/forum/phpBB3/viewtopic.php?f=145&t=1023
Pagina 1 di 1

Autore:  Hemerobius [ 16/06/2009, 10:49 ]
Oggetto del messaggio:  Stenurella nigra (Linnaeus, 1758) - Cerambycidae

Scusandomi per la quasi sicura banalità della specie raccolta in questo ambiente ...

Laterza, sbocco della gravina = Lama, 30 maggio 2009, a vista, 7 mm
Laterza_Lama(uscita)_30maggio2009_a-vista_7mm.jpg




Ciao Roberto :to:

Autore:  Daniele Sechi [ 16/06/2009, 19:16 ]
Oggetto del messaggio:  Re: Cerambicidi floricoli 3

Direi Stenurella nigra (Linnaeus, 1758)

Pagina 1 di 1 Tutti gli orari sono UTC + 1 ora [ ora legale ]
Powered by phpBB® Forum Software © phpBB Group
http://www.phpbb.com/