Benvenuto Ospite

Forum Entomologi Italiani

www.entomologiitaliani.net/forum
 
Oggi è 27/10/2025, 18:49

Tutti gli orari sono UTC + 1 ora [ ora legale ]

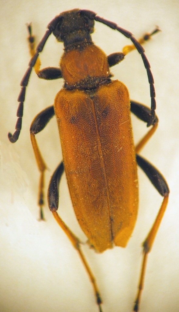
Stictoleptura rubra rubra (Linnaeus, 1758) Dettagli della specie

11.VIII.2010 - ITALIA - Valle d'Aosta - AO, dint. Pré Saint Didier (N 45°45'58,2" E 6°59'31,0"), 1.064m, G. Ratto leg.


nuovo argomento
rispondi
Pagina 1 di 1 [ 4 messaggi ]
Autore Messaggio
MessaggioInviato: 15/08/2010, 1:49 
Avatar utente

Iscritto il: 14/01/2010, 0:10
Messaggi: 3603
Località: Liguria, Genova
Nome: Giovanni Ratto
Valle d'Aosta
Pré Saint Didier (dintorni)
N 45°45'58,2" E 6°59'31,0"
11.VIII.2010 m 1.064
15 - 16 mm
leg. G. Ratto

Tovati tre esemplari (uno vivo, uno morto ma in perfetto stato, uno decapitato, sotto la corteccia dei tronchi visibili nelle foto qui allegate.

DSCF8902.JPG



DSCF8904.JPG



Tronchi1.JPG



Tronchi2.JPG



Tronchi3.JPG



:hi:

_________________
ImmagineGiovanni
Pactolinus gigas (Paykull, 1811)


Top
profilo
MessaggioInviato: 15/08/2010, 1:57 
Avatar utente

Iscritto il: 26/03/2010, 14:55
Messaggi: 5973
Località: Romania
Nome: Cosmin-Ovidiu Manci
female of Stictoleptura rubra (Linnaeus, 1758).

cosmln

_________________
Cosmin-Ovidiu Manci
**********************
cosmln's place - my blog
just insects
Dragonflies of Romania


Top
profilo
MessaggioInviato: 15/08/2010, 2:25 
Avatar utente

Iscritto il: 14/01/2010, 0:10
Messaggi: 3603
Località: Liguria, Genova
Nome: Giovanni Ratto
:ok: :lov2:

:hi:

_________________
ImmagineGiovanni
Pactolinus gigas (Paykull, 1811)


Top
profilo
MessaggioInviato: 15/08/2010, 12:45 
Avatar utente

Iscritto il: 05/08/2009, 18:02
Messaggi: 2264
Nome: Marcello Benelli
Personalmente l'ho allevata da tronchetti di abies piuttosto marcescenti. Vedo che stanno anche nel legno più compatto ad ogni modo.

_________________
Marci
"S'i fosse fuoco, arderei 'l mondo,
S'i fosse vento, lo tempesterei,
S'i fosse acqua, i' l'annegherei
s'i fosse dio, mandereil' en profondo" ( Cecco Angiolieri).


Top
profilo
Visualizza ultimi messaggi:  Ordina per  
nuovo argomento
rispondi
Pagina 1 di 1 [ 4 messaggi ]

Tutti gli orari sono UTC + 1 ora [ ora legale ]


Chi c’è in linea

Visitano il forum: Nessuno e 2 ospiti


Non puoi aprire nuovi argomenti
Non puoi rispondere negli argomenti
Non puoi modificare i tuoi messaggi
Non puoi cancellare i tuoi messaggi
Non puoi inviare allegati

Cerca per:
Vai a: