Forum Entomologi Italiani
http://www.entomologiitaliani.net/public/forum/phpBB3/

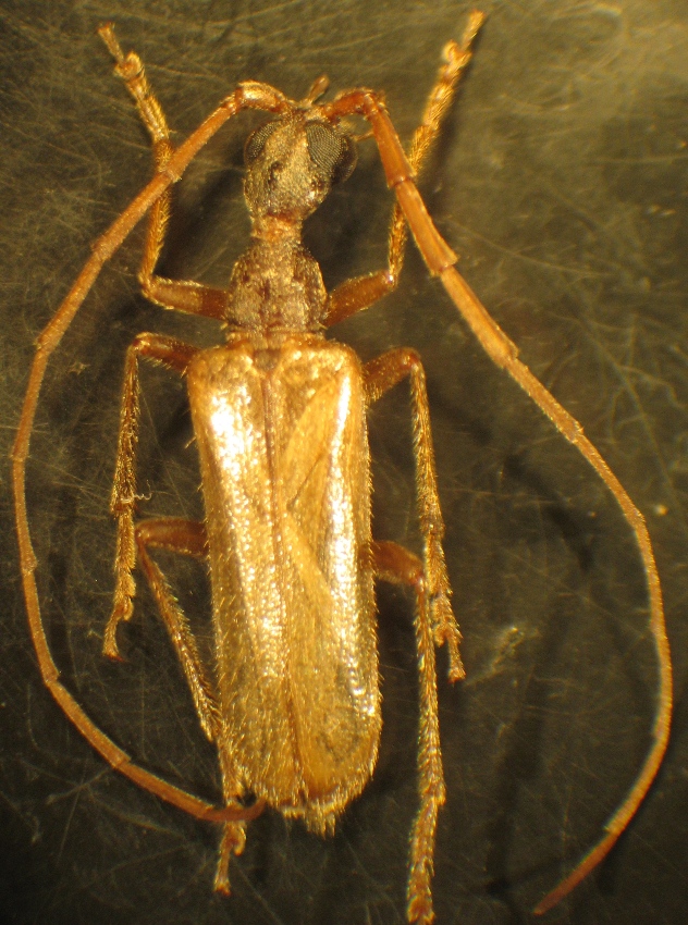
Vesperus luridus (Rossi, 1794) - Cerambycidae
http://www.entomologiitaliani.net/public/forum/phpBB3/viewtopic.php?f=145&t=13770
Pagina 1 di 1

Autore:  ruzzpa [ 07/11/2010, 10:38 ]
Oggetto del messaggio:  Vesperus luridus (Rossi, 1794) - Cerambycidae

giunto con fioca lampadina portico...
mm 25
sono in dubbio tra Vesperus strepens (Fabricius, 1792) e Vesperus luridus (Rossi, 1794)
le dimensioni credo si accavallano tra le due specie...
:hi:

Italia – Lazio – Latina – Is. Ventotene – m 0 – 100 - 40°47’37.8” N 13°25’39.3” E - X 2010 G.Ruzzante leg.

Allegati:
Italia – Lazio – Latina – Is. Ventotene – m 0 – 100 - 40°47’37.8” N 13°25’39.3” E - X 2010 G.Ruzzante leg.
IMG_0004.JPG


Autore:  Plagionotus [ 07/11/2010, 11:06 ]
Oggetto del messaggio:  Re: ??Vesperus - Is. Ventotene (LT), Lazio

Vesperus luridus (Rossi, 1790) per la località, lo strepens si trova solo in Liguria in Italia. Se non ti serve.... :D :)

Autore:  ruzzpa [ 07/11/2010, 12:24 ]
Oggetto del messaggio:  Re: ??Vesperus - Is. Ventotene (LT), Lazio

Stazione non nota secondo CKmap... :hi:

Autore:  Plagionotus [ 07/11/2010, 16:12 ]
Oggetto del messaggio:  Re: ??Vesperus - Is. Ventotene (LT), Lazio

Bene, anche se nel Lazio è frequente in molte località

Autore:  Andricus [ 07/11/2010, 16:22 ]
Oggetto del messaggio:  Re: ??Vesperus - Is. Ventotene (LT), Lazio

Da me in estate vengono attirati dal lampioncino che ho in giardino in quantità enormi, circa 10-15 maschi a notte, però non ho mai avuto il piacere di vedere una femmina :?

Autore:  ruzzpa [ 07/11/2010, 16:40 ]
Oggetto del messaggio:  Re: ??Vesperus - Is. Ventotene (LT), Lazio

Andricus ha scritto:
Da me in estate vengono attirati dal lampioncino che ho in giardino in quantità enormi, circa 10-15 maschi a notte, però non ho mai avuto il piacere di vedere una femmina :?


Ciao Andricus
le femmine sono attere... come in quasi tutte le specie Vesperus
:hi:

Autore:  Isotomus [ 07/11/2010, 19:59 ]
Oggetto del messaggio:  Re: ??Vesperus - Is. Ventotene (LT), Lazio

Plagionotus ha scritto:
Vesperus luridus (Rossi, 1790) per la località, lo strepens si trova solo in Liguria in Italia. Se non ti serve.... :D :)


hmmm !! Lo strepens c'è anche in Piemonte :mrgreen:

Autore:  Plagionotus [ 08/11/2010, 19:37 ]
Oggetto del messaggio:  Re: Vesperus luridus (Rossi, 1790) - Cerambycidae Vesperinae - Is. Ventotene (LT), Lazio

Infatti quando ho ripensato a cosa avevo scritto mi sono detto: adesso mi piglio le bacchettate di Isotomus, quindi diciamo che volevo dire in Liguria e nel sud del Piemonte :mrgreen: :mrgreen: . E adesso vado che sennò faccio tardi a pallavolo :mrgreen: :mrgreen:

Pagina 1 di 1 Tutti gli orari sono UTC + 1 ora [ ora legale ]
Powered by phpBB® Forum Software © phpBB Group
http://www.phpbb.com/