Forum Entomologi Italiani
http://www.entomologiitaliani.net/public/forum/phpBB3/

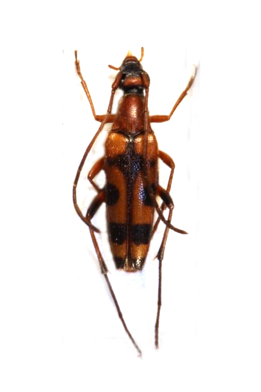
Stenurella septempunctata septempunctata (Fabricius, 1792) - Cerambycidae
http://www.entomologiitaliani.net/public/forum/phpBB3/viewtopic.php?f=145&t=16032
Pagina 1 di 1

Autore:  Apoderus [ 08/01/2011, 21:23 ]
Oggetto del messaggio:  Stenurella septempunctata septempunctata (Fabricius, 1792) - Cerambycidae

Non trovo nel forum immagini di Stenurella septempunctata. Potrebbe essere questa?
IMG_2406.JPG


8 mm

:hi:

Autore:  Isotomus [ 09/01/2011, 0:06 ]
Oggetto del messaggio:  Re: stenurella?

E' proprio lei Silvano, o, almeno, una delle 7000 varietà e combinazioni di colore e di maculatura conosciuti
Stenurella septempunctata septempunctata (Fabricius, 1792)
Visto che è l'unica e che figurerà come link nell'elenco delle specie italiane di Cerambycidae presenti sul forum , mi sono permesso di modificarla :ok:
Stenurella septempunctata.jpg


Certo che quando, dopo avere completato un lungo testo di un messaggio e clicco su "sfoglia" per inserire un'immagine,il chiude il programma "per proteggere il Computer" vado in bestia :x

Pagina 1 di 1 Tutti gli orari sono UTC + 1 ora [ ora legale ]
Powered by phpBB® Forum Software © phpBB Group
http://www.phpbb.com/