Benvenuto Ospite

Forum Entomologi Italiani

www.entomologiitaliani.net/forum
 
Oggi è 09/11/2025, 19:37

Tutti gli orari sono UTC + 1 ora [ ora legale ]

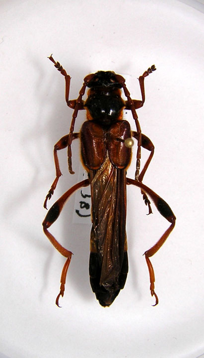
Necydalis (Necydalis) ulmi (Chevrolat, 1838) Dettagli della specie

VI.2007 - ITALIA - Abruzzo - PE, Civitella Casanova


nuovo argomento
rispondi
Vai alla pagina 1, 2  Prossimo
Pagina 1 di 2 [ 23 messaggi ]
Autore Messaggio
MessaggioInviato: 28/01/2011, 20:41 
Avatar utente

Iscritto il: 23/06/2010, 19:05
Messaggi: 2588
Località: Pescara
Nome: Alessio Morelli
Trovato da un amico, di un amico, su dei fiori :)
Lunghezza: 35 mm circa
:hi:
Necydalis 1.jpg



Top
profilo
 Oggetto del messaggio: Re: Necydalis ulmi ?
MessaggioInviato: 28/01/2011, 20:48 
 

Iscritto il: 31/05/2010, 13:17
Messaggi: 166
Località: Warsaw
Nome: Jan Tatur-Dytkowski
Necydalis major Linnaeus, 1758.

_________________
"Whenever I hear of the capture of rare beetles, I feel like an old war-horse at the sound of a trumpet"

- Charles Darwin


Ultima modifica di jaho il 28/01/2011, 20:58, modificato 1 volta in totale.

Top
profilo
 Oggetto del messaggio: Re: Necydalis ulmi ?
MessaggioInviato: 28/01/2011, 20:54 
Avatar utente

Iscritto il: 09/06/2009, 13:19
Messaggi: 1229
Località: Modena
Nome: Omar Pacchioni
chissa se leggerà questo post Riccardino (l ex dadopimpi) ehehhehe
Riccardo,q uesto è l insettino di cui ti parlavo l altra sera al circolo... se ci sei batti un colpo! :)

_________________
..OOOO.......OOO.....OO......OOO......OOOO
OO.....OO....OO..O.O..O....OO....O....OO....O
OO.....OO....OO....O...O....OOOOO....OOOO
..OOOO.......OO.........O....OO....O....OO....O


Top
profilo
 Oggetto del messaggio: Re: Necydalis ulmi ?
MessaggioInviato: 28/01/2011, 20:59 
Avatar utente

Iscritto il: 09/06/2009, 13:19
Messaggi: 1229
Località: Modena
Nome: Omar Pacchioni
sembra femmina di N.ulmi

_________________
..OOOO.......OOO.....OO......OOO......OOOO
OO.....OO....OO..O.O..O....OO....O....OO....O
OO.....OO....OO....O...O....OOOOO....OOOO
..OOOO.......OO.........O....OO....O....OO....O


Top
profilo
 Oggetto del messaggio: Re: Necydalis ulmi ?
MessaggioInviato: 28/01/2011, 21:37 
Avatar utente

Iscritto il: 05/02/2009, 17:28
Messaggi: 3226
Nome: Marco Uliana
Alessio89 ha scritto:
Trovato da un amico, di un amico, su dei fiori


Che culpo di fortuna :mrgreen: :P


Top
profilo
 Oggetto del messaggio: Re: Necydalis ulmi ?
MessaggioInviato: 28/01/2011, 23:04 
Avatar utente

Iscritto il: 05/09/2009, 7:56
Messaggi: 3445
Località: Cesena
Nome: Gianfranco Sama
Credo proprio si tratti di Necydalis ulmi (Chevrolat, 1838).
Complimenti, ritrovato in Abruzzo dopo circa un secolo :hp: Gli ultimi ritrovamenti di cui ho notizia risalgono a Costa (attorno al 1850, citazione di Avezzano) e a Leoni (1908) (citazione di Cerchio nella Marsica).
Ma da buon seguace di San Tommaso; siamo certi dell'esattezza del reperto ? Un Necydalis su fiori mi risulta molto, ma molto strano :? (seppure non impossibile, magari c'era caduto).

_________________
Gianfranco Sama

"Benedetto colui che ti aiuta a correggere i tuoi errori invece di scagliarteli contro"
___________________________________
Gershom Sholem


Ultima modifica di Isotomus il 28/01/2011, 23:07, modificato 1 volta in totale.

Top
profilo
 Oggetto del messaggio: Re: Necydalis ulmi ?
MessaggioInviato: 28/01/2011, 23:07 
Avatar utente

Iscritto il: 23/06/2010, 19:05
Messaggi: 2588
Località: Pescara
Nome: Alessio Morelli
Grazie a tutti :birra:
:hi:


Top
profilo
 Oggetto del messaggio: Re: Necydalis ulmi ?
MessaggioInviato: 28/01/2011, 23:41 
 

Iscritto il: 31/05/2010, 13:17
Messaggi: 166
Località: Warsaw
Nome: Jan Tatur-Dytkowski
Lower parts of tibiae should be at least a little darkened. Confused :?

_________________
"Whenever I hear of the capture of rare beetles, I feel like an old war-horse at the sound of a trumpet"

- Charles Darwin


Top
profilo
 Oggetto del messaggio: Re: Necydalis ulmi ?
MessaggioInviato: 29/01/2011, 0:05 
Avatar utente

Iscritto il: 09/06/2009, 13:19
Messaggi: 1229
Località: Modena
Nome: Omar Pacchioni
Gianfranco, solitamente dove si trovano su fogliame o su legna ???

_________________
..OOOO.......OOO.....OO......OOO......OOOO
OO.....OO....OO..O.O..O....OO....O....OO....O
OO.....OO....OO....O...O....OOOOO....OOOO
..OOOO.......OO.........O....OO....O....OO....O


Top
profilo
 Oggetto del messaggio: Re: Necydalis ulmi ?
MessaggioInviato: 30/01/2011, 10:47 
Avatar utente

Iscritto il: 05/09/2009, 7:56
Messaggi: 3445
Località: Cesena
Nome: Gianfranco Sama
conan ha scritto:
Gianfranco, solitamente dove si trovano su fogliame o su legna ???

Omar, scusa il ritardo, ma ho avuto Pierpaolo Rapuzzi di passaggio a Cesena e ho pensato ad altro.

Premesso che non ho mai avuto il piacere di vedere un Necydalis vivo in natura, posso confermarti che, almeno le specie nostrane, normalmente non frequentano i fiori. Secondo la letteratura, e ritorno ad incitarti a sfruttare le possibilità di Internet, per esempio questi siti http://www.cerambyx.uochb.cz/nulmi.htm o questo
http://www.entomologie-mv.de/Virgo%2020 ... lungen.pdf
Gli adulti si trovano presso le piante ospiti, spesso all'interno delle grandi cavità o sulle foglie o svolazzanti (assomigliano a dei grossi Imenotteri) attorno ad esse. Sono attirati dalle trappole zuccherine.
La biologia è descritta in un lavoro di Rejzek & Vlasak, di cui qualcuno di buona volontà potrebbe trovare il PDF: REJZEK, M. & VLASÁK, J. (2000 [1999]): Larval nutrition and female oviposition preferences of Necydalis ulmi Chevrolat, 1838. Biocosme Mésogéen (Nice) 16 (1-2): 55-66.

_________________
Gianfranco Sama

"Benedetto colui che ti aiuta a correggere i tuoi errori invece di scagliarteli contro"
___________________________________
Gershom Sholem


Top
profilo
 Oggetto del messaggio: Re: Necydalis ulmi ?
MessaggioInviato: 30/01/2011, 10:54 
Avatar utente

Iscritto il: 26/03/2010, 14:55
Messaggi: 5977
Località: Romania
Nome: Cosmin-Ovidiu Manci
Isotomus ha scritto:
conan ha scritto:
Gianfranco, solitamente dove si trovano su fogliame o su legna ???

Omar, scusa il ritardo, ma ho avuto Pierpaolo Rapuzzi di passaggio a Cesena e ho pensato ad altro.

Premesso che non ho mai avuto il piacere di vedere un Necydalis vivo in natura, posso confermarti che, almeno le specie nostrane, normalmente non frequentano i fiori. Secondo la letteratura, e ritorno ad incitarti a sfruttare le possibilità di Internet, per esempio questi siti http://www.cerambyx.uochb.cz/nulmi.htm o questo
http://www.entomologie-mv.de/Virgo%2020 ... lungen.pdf
Gli adulti si trovano presso le piante ospiti, spesso all'interno delle grandi cavità o sulle foglie o svolazzanti (assomigliano a dei grossi Imenotteri) attorno ad esse. Sono attirati dalle trappole zuccherine.
La biologia è descritta in un lavoro di Rejzek & Vlasak, di cui qualcuno di buona volontà potrebbe trovare il PDF: REJZEK, M. & VLASÁK, J. (2000 [1999]): Larval nutrition and female oviposition preferences of Necydalis ulmi Chevrolat, 1838. Biocosme Mésogéen (Nice) 16 (1-2): 55-66.


quindi quello e tipo di "albero" che devo prima ricercare :)

_________________
Cosmin-Ovidiu Manci
**********************
cosmln's place - my blog
just insects
Dragonflies of Romania


Top
profilo
 Oggetto del messaggio: Re: Necydalis ulmi ?
MessaggioInviato: 30/01/2011, 11:11 
Avatar utente

Iscritto il: 05/09/2009, 7:56
Messaggi: 3445
Località: Cesena
Nome: Gianfranco Sama
Non solo, anche vecchie piante con cavità e grossi rami morti (old living plants with hollows, caries, big dead branches) :ok:

_________________
Gianfranco Sama

"Benedetto colui che ti aiuta a correggere i tuoi errori invece di scagliarteli contro"
___________________________________
Gershom Sholem


Top
profilo
 Oggetto del messaggio: Re: Necydalis ulmi ?
MessaggioInviato: 30/01/2011, 11:39 
Avatar utente

Iscritto il: 05/02/2009, 17:28
Messaggi: 3226
Nome: Marco Uliana
Isotomus ha scritto:
Premesso che non ho mai avuto il piacere di vedere un Necydalis vivo in natura


Naaa! Gianfranco ci sono riuscito pure io andando in Turchia una volta sola :gh: :lol1:

Porta pazienza :lov2: , non potevo non cogliere l'occasione di millantare questo, dopo tutta la mia incapacità di allevare cerambici... :cry:
Nella Turchia centrale (Sivas) ho beccato un individuo che è arrivato a volo su un vecchio albero cariato. L'ho dato a Pierpaolo, forse l'hai visto.


Top
profilo
 Oggetto del messaggio: Re: Necydalis ulmi ?
MessaggioInviato: 30/01/2011, 12:24 
Avatar utente

Iscritto il: 05/09/2009, 7:56
Messaggi: 3445
Località: Cesena
Nome: Gianfranco Sama
Beh, prima o poi ci riuscirò anch'io; ho tempo davanti :mrgreen: :?

_________________
Gianfranco Sama

"Benedetto colui che ti aiuta a correggere i tuoi errori invece di scagliarteli contro"
___________________________________
Gershom Sholem


Top
profilo
 Oggetto del messaggio: Re: Necydalis ulmi ?
MessaggioInviato: 30/01/2011, 12:29 
Avatar utente

Iscritto il: 22/12/2009, 13:31
Messaggi: 9646
Località: Napoli
Nome: Francesco Izzillo
Isotomus ha scritto:
conan ha scritto:
Gianfranco, solitamente dove si trovano su fogliame o su legna ???

Omar, scusa il ritardo, ma ho avuto Pierpaolo Rapuzzi di passaggio a Cesena e ho pensato ad altro.

Premesso che non ho mai avuto il piacere di vedere un Necydalis vivo in natura, posso confermarti che, almeno le specie nostrane, normalmente non frequentano i fiori. Secondo la letteratura, e ritorno ad incitarti a sfruttare le possibilità di Internet, per esempio questi siti http://www.cerambyx.uochb.cz/nulmi.htm o questo
http://www.entomologie-mv.de/Virgo%2020 ... lungen.pdf
Gli adulti si trovano presso le piante ospiti, spesso all'interno delle grandi cavità o sulle foglie o svolazzanti (assomigliano a dei grossi Imenotteri) attorno ad esse. Sono attirati dalle trappole zuccherine.La biologia è descritta in un lavoro di Rejzek & Vlasak, di cui qualcuno di buona volontà potrebbe trovare il PDF: REJZEK, M. & VLASÁK, J. (2000 [1999]): Larval nutrition and female oviposition preferences of Necydalis ulmi Chevrolat, 1838. Biocosme Mésogéen (Nice) 16 (1-2): 55-66.

Confermo: volano attorno alle grosse cavità nelle quali depongono e all'interno delle quali sono reperibili e si posano anche sul fogliame.

_________________
Francesco Izzillo


Top
profilo
Visualizza ultimi messaggi:  Ordina per  
nuovo argomento
rispondi
Vai alla pagina 1, 2  Prossimo
Pagina 1 di 2 [ 23 messaggi ]

Tutti gli orari sono UTC + 1 ora [ ora legale ]


Chi c’è in linea

Visitano il forum: Nessuno e 3 ospiti


Non puoi aprire nuovi argomenti
Non puoi rispondere negli argomenti
Non puoi modificare i tuoi messaggi
Non puoi cancellare i tuoi messaggi
Non puoi inviare allegati

Cerca per:
Vai a: