|
Tutti gli orari sono UTC + 1 ora [ ora legale ] |

|
| Autore | Messaggio | ||
|---|---|---|---|
| conan |
|
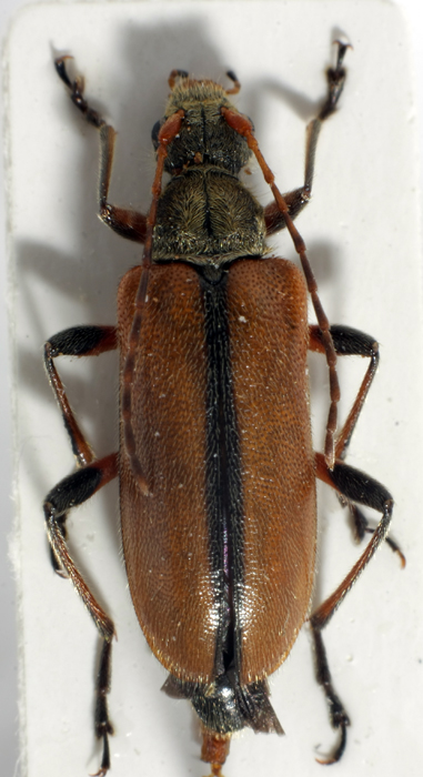
||
|
Iscritto il: 09/06/2009, 13:19 Messaggi: 1229 Località: Modena Nome: Omar Pacchioni |
|||
| Top |
|
||
| Tc70 |
|
||
|
Iscritto il: 09/11/2010, 19:52 Messaggi: 4518 Località: Brescia Nome: Luca Bodei |
|
||
| Top |
|
||
| Plagionotus |
|
||
|
Iscritto il: 21/05/2009, 14:59 Messaggi: 6994 Località: Parigi Nome: Riccardo Poloni |
|
||
| Top |
|
||
| conan |
|
||
|
Iscritto il: 09/06/2009, 13:19 Messaggi: 1229 Località: Modena Nome: Omar Pacchioni |
|
||
| Top |
|
||
| Plagionotus |
|
||
|
Iscritto il: 21/05/2009, 14:59 Messaggi: 6994 Località: Parigi Nome: Riccardo Poloni |
|
||
| Top |
|
||
|
Tutti gli orari sono UTC + 1 ora [ ora legale ] |
Chi c’è in linea |
Visitano il forum: Nessuno e 4 ospiti |
Non puoi aprire nuovi argomenti Non puoi rispondere negli argomenti Non puoi modificare i tuoi messaggi Non puoi cancellare i tuoi messaggi Non puoi inviare allegati |