Benvenuto Ospite

Forum Entomologi Italiani

www.entomologiitaliani.net/forum
 
Oggi è 14/11/2025, 5:49

Tutti gli orari sono UTC + 1 ora [ ora legale ]

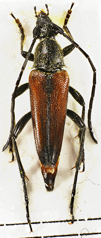
Stenurella bifasciata bifasciata (O. F. Müller, 1776) Dettagli della specie

4.VI.2011 - ITALIA - Umbria - PG, Magione circa 560 m slm


nuovo argomento
rispondi
Pagina 1 di 1 [ 3 messaggi ]
Autore Messaggio
MessaggioInviato: 06/06/2011, 8:43 
 

Iscritto il: 02/02/2011, 11:51
Messaggi: 275
Località: Magione (PG)
Nome: ilio rocchi
potrebbe essere Stenurella melanura (Linnaeus, 1758) ?

su fiori di camomilla ma anche su altre infiorescenze

8,5 mm
cerambicidae 2.jpg


_________________
_____________________
ilio rocchi


Top
profilo
 Oggetto del messaggio: Re: Cerambycidae
MessaggioInviato: 06/06/2011, 9:06 
Avatar utente

Iscritto il: 05/09/2009, 7:56
Messaggi: 3445
Località: Cesena
Nome: Gianfranco Sama
Addome rossiccio, pronoto con punteggiatura rada ? = Stenurella bifasciata bifasciata (O. F. Müller, 1776)

_________________
Gianfranco Sama

"Benedetto colui che ti aiuta a correggere i tuoi errori invece di scagliarteli contro"
___________________________________
Gershom Sholem


Top
profilo
 Oggetto del messaggio: Re: Cerambycidae
MessaggioInviato: 06/06/2011, 9:55 
 

Iscritto il: 02/02/2011, 11:51
Messaggi: 275
Località: Magione (PG)
Nome: ilio rocchi
grazie della precisazione
:hi:
ilio

_________________
_____________________
ilio rocchi


Top
profilo
Visualizza ultimi messaggi:  Ordina per  
nuovo argomento
rispondi
Pagina 1 di 1 [ 3 messaggi ]

Tutti gli orari sono UTC + 1 ora [ ora legale ]


Chi c’è in linea

Visitano il forum: Nessuno e 4 ospiti


Non puoi aprire nuovi argomenti
Non puoi rispondere negli argomenti
Non puoi modificare i tuoi messaggi
Non puoi cancellare i tuoi messaggi
Non puoi inviare allegati

Cerca per:
Vai a:  
cron