Benvenuto Ospite

Forum Entomologi Italiani

www.entomologiitaliani.net/forum
 
Oggi è 28/10/2025, 9:15

Tutti gli orari sono UTC + 1 ora [ ora legale ]

Pilemia hirsutula (Frölich, 1793) (cf.) - Cerambycidae

3.VI.2011 - GRECIA - EE, Kerpini - Chelmos (Achaia)


nuovo argomento
rispondi
Pagina 1 di 1 [ 7 messaggi ]
Autore Messaggio
MessaggioInviato: 20/06/2011, 19:47 
Avatar utente

Iscritto il: 25/11/2009, 9:31
Messaggi: 8157
Località: Lecce
Nome: Maurizio Bollino
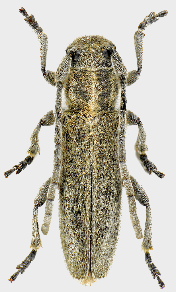
Raccolto in unico esemplare posato sul sentiero, quindi senza piante di riferimento. So che sarà una banalità, ma non riesco a districarmi.....

Dimensioni: 7 mm

Cerambycidae-Kerpini.jpg


_________________
Maurizio Bollino


Top
profilo
 Oggetto del messaggio: Re: Cerambycidae - Grecia
MessaggioInviato: 20/06/2011, 19:52 
Amministratore
Avatar utente

Iscritto il: 02/02/2009, 23:30
Messaggi: 7102
Località: Capaci (Pa)
Nome: Marcello Romano
Mi sbaglierò, ma mi pare tu lo abbia già fotografato!

_________________
:hi: Marcello Romano


Top
profilo
 Oggetto del messaggio: Re: Cerambycidae - Grecia
MessaggioInviato: 20/06/2011, 19:59 
Avatar utente

Iscritto il: 16/05/2010, 14:26
Messaggi: 761
Località: United Kingdom
Nome: Zdenko Lucbauer
Velvet Ant ha scritto:
Mi sbaglierò, ma mi pare tu lo abbia già fotografato!


:lol1: :lol1: :lol1: whats up Maurizio ? wine head ? :lol1: :lol1: :lol1: I would say the same like from Meteora...


Top
profilo
 Oggetto del messaggio: Re: Cerambycidae - Grecia
MessaggioInviato: 20/06/2011, 20:13 
Avatar utente

Iscritto il: 21/05/2009, 14:59
Messaggi: 6994
Località: Parigi
Nome: Riccardo Poloni
:gh: :gh: Direi che si tratta della stessa specie, vino pugliese o altro, la vecchiaia si fa sentire, caro il mio amico lucano :mrgreen: :mrgreen: :gh: :gh:

_________________
Riccardo Poloni
La dignità degli elementi
la libertà della poesia,
al di là dei tradimenti degli uomini
è magia, è magia, è magia...
Negrita, Rotolando verso sud


Top
profilo
 Oggetto del messaggio: Re: Cerambycidae - Grecia
MessaggioInviato: 20/06/2011, 22:31 
Avatar utente

Iscritto il: 25/11/2009, 9:31
Messaggi: 8157
Località: Lecce
Nome: Maurizio Bollino
Sarà, ma tra questo è gli altri c'è quasi 1 cm di differenza. Oltretutto, ho visto diverse decine di Pilemia hirsutula catturate da Zdeno, Franco e me, ed erano tutte delle stesse dimensioni, +-2 mm.
Ho fatto una tavola comparativa dei due esemplari allo stesso ingrandimento (Pilemia hirsutula a sx., Pilemia cf. hirsutula secondo voi, a dx.) e qualche cosa ancora non mi quadra. Per esempio, gli articoli antennali sono bicolori in hirsutula, uniformemente grigiastri nella più piccola. Anche l'estremità delle elitre mi sembra differente.

Pilemia-confronto.jpg


_________________
Maurizio Bollino


Top
profilo
 Oggetto del messaggio: Re: Cerambycidae - Grecia
MessaggioInviato: 20/06/2011, 23:21 
Avatar utente

Iscritto il: 16/05/2010, 14:26
Messaggi: 761
Località: United Kingdom
Nome: Zdenko Lucbauer
Maurizio, I would say left is female and right is male...


Top
profilo
 Oggetto del messaggio: Re: Cerambycidae - Grecia
MessaggioInviato: 21/06/2011, 12:46 
Avatar utente

Iscritto il: 21/05/2009, 14:59
Messaggi: 6994
Località: Parigi
Nome: Riccardo Poloni
Confermo l'opinione di Zdeno, anche secondo me si tratta di maschio e femmina. Questa specie è molto variabile in quanto a dimensioni.

I confirm Zdeno's opinion, for me too they are male and female. This species has a big range of variability of size.

_________________
Riccardo Poloni
La dignità degli elementi
la libertà della poesia,
al di là dei tradimenti degli uomini
è magia, è magia, è magia...
Negrita, Rotolando verso sud


Top
profilo
Visualizza ultimi messaggi:  Ordina per  
nuovo argomento
rispondi
Pagina 1 di 1 [ 7 messaggi ]

Tutti gli orari sono UTC + 1 ora [ ora legale ]


Chi c’è in linea

Visitano il forum: Nessuno e 4 ospiti


Non puoi aprire nuovi argomenti
Non puoi rispondere negli argomenti
Non puoi modificare i tuoi messaggi
Non puoi cancellare i tuoi messaggi
Non puoi inviare allegati

Cerca per:
Vai a: